Riferimento annuncio 263016
        
    
    Appartamento Strada della Lucciola, 2, 05035 Narni (TR)
                
                0
            
        
€ 54.563    
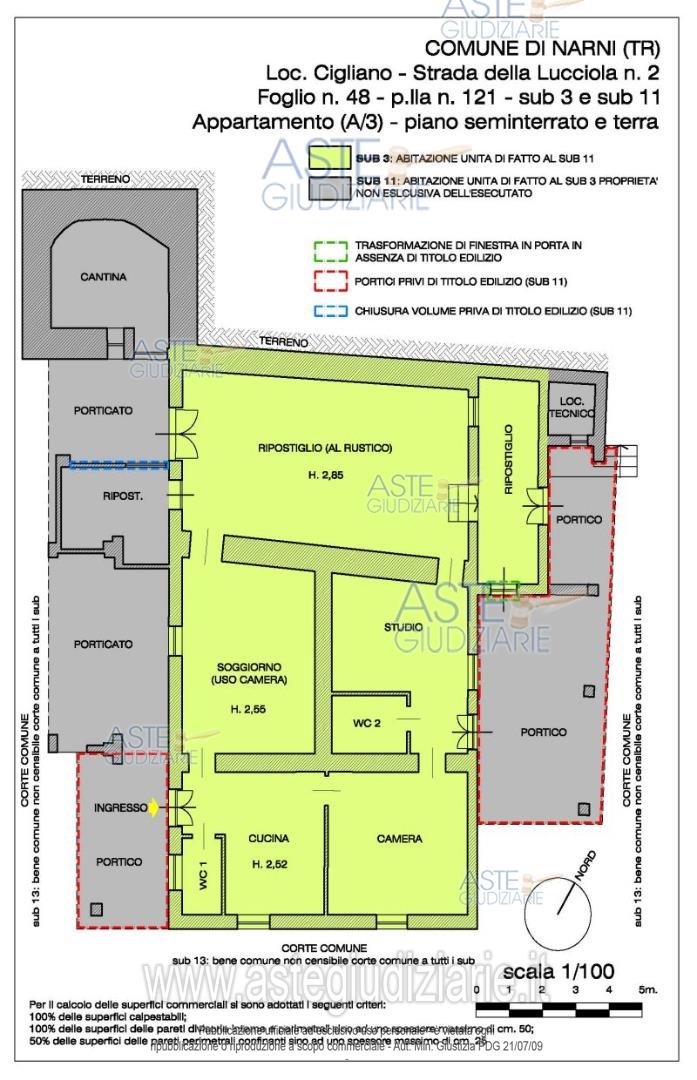
                Vendita all'asta Senza incanto, con gara telematica sincrona mista - LOTTO 1:  Piena proprietà -  L'appartamento è parte di un edificio composto di due livelli: al piano seminterrato/terra è ubicato l'appartamento oggetto di esecuzione. L'appartamento si compone di: ingresso/cucina, un piccolo servizio igienico, soggiorno, camera da letto, uno studio, un bagno cieco, un ripostiglio piccolo ed un locale ripostiglio di ampia superficie non rifinito internamente. Si rimanda alla perizia di stima per una puntuale descrizione dell’immobile. Prezzo base € 54.562,50 (offerta minima € 40.921,88). Data vendita 05/11/2025 ore 13:30. Giudice Francesco Angelini. Professionista delegato alla vendita Avv. Francesco Ciaccolini - Email "studiolegale@cavallari-ciaccolini-catapano.it"; Tel. 0744403154.  Rif. Tribunale di Terni - Contenzioso civile n. 2528/2022
            
   
| Superficie | mq | 
|---|---|
| Vani | |
| Bagni | |
| Piano | 0 | 
| Tipologia di vendita | Giudiziaria | 
|---|---|
| Modalità di vendita | Sincrona mista | 
| Termine presentazione offerte | 04/11/2025 ore 11:00 | 
| Data e ora inizio gara | 05/11/2025 ore 13:30 | 
 
                         
                         
                         
                         
                        