highlight_off
Riferimento annuncio 328792 info

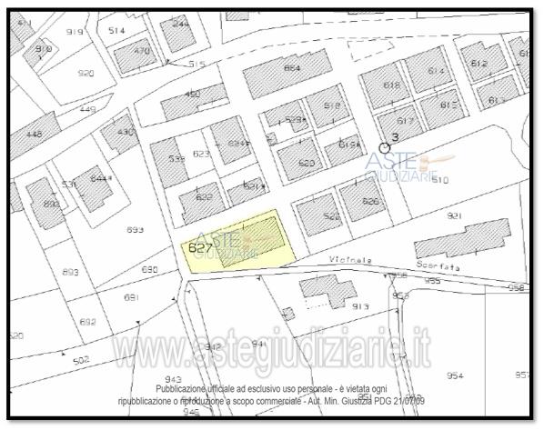
Appartamento Via M. Calabritto, 5, 84090 Pugliano SA, Italia, 84090 Montecorvino Pugliano (SA)

60,00
37409,00
0
€ 26.500
Vendita all'asta Senza incanto, con gara telematica asincrona - LOTTO UNICO: Quota indivisa pari ai 2/18 di: Unità abitativa al piano rialzato; Quota indivisa pari ai 2/9 di terreno agricolo; Quota indivisa pari a 2/9 di Terreno agricolo; Quota indivisa pari a 2/27 di Terreno agricolo. Prezzo base € 26.500,00. Data inizio operazioni di vendita: 05/05/2026 ore 10:00. Professionista delegato alla vendita: Dott. Marta Brigante. Custode Giudiziario: Dott. Marta Brigante - Email "m.brigante@commercialistisalerno.it". Liquidatore: Dott. Marta Brigante. Rif. Tribunale di Salerno - Liquidazione controllata(cci) n. 11/2025

Superficie 37409,00 mq
Vani 60,00
Bagni
Piano 0

Tipologia di vendita Giudiziaria
Modalità di vendita Asincrona telematica
Termine presentazione offerte 04/05/2026 ore 13:00
Data e ora inizio gara 05/05/2026 ore 10:00
Codice ID astegiudiziarie.it 4347109
60,00
37409,00
0
€ 26.500

Ti interessa questa vendita?

north_east

Clicca qui per essere indirizzato alla scheda sul sito di provenienza

Bene di astegiudiziarie.it