highlight_off
Riferimento annuncio 111703 info

Appartamento via Cappello 6, 90046 Monreale (PA)

6,00
118,00
1
0
€ 92.913
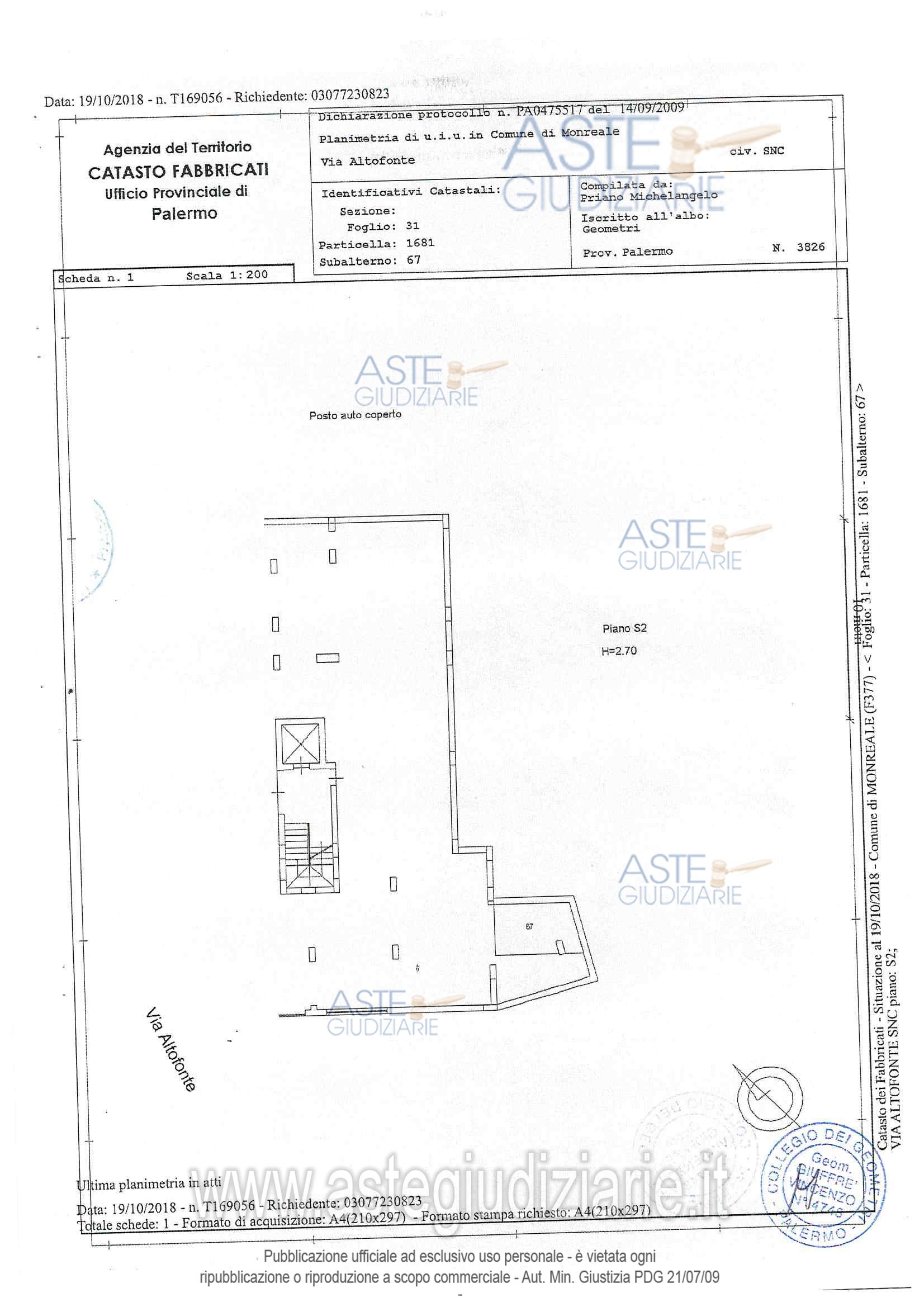
Vendita all'asta Senza incanto - LOTTO 1: Unico lotto - Immobile per civile abitazione sito nel Comune di Monreale (PA) con ingresso da via Cappello n. 6 e cantina al piano cantinato S1, identificato al NCEU di Monreale (PA) Fg. 31 p.lla 1681 sub 28 cat. A/2 classe 3 vani 6 rendita catastale 526,79 e posto auto coperto al piano S2 sub 67 mq 10 rendita catastale 15,49. Prezzo base € 92.912,50 (offerta minima € 69.609,37). Data vendita 21/01/2026 ore 10:00. Liquidazione coatta n. 1274/2017

Superficie 118,00 mq
Vani 6,00
Bagni 1
Piano 0

Tipologia di vendita Giudiziaria
Modalità di vendita Presso il venditore
Termine presentazione offerte 01/01/1900 ore 00:00
Data e ora inizio gara 21/01/2026 ore 10:00
Codice ID astegiudiziarie.it 4222514
6,00
118,00
1
0
€ 92.913

Ti interessa questa vendita?

north_east

Clicca qui per essere indirizzato alla scheda sul sito di provenienza

Bene di astegiudiziarie.it