Riferimento annuncio 323568
Appartamento Piazza dei Pescatori, 16047 Moconesi (GE)
4
1
2
€ 156.000
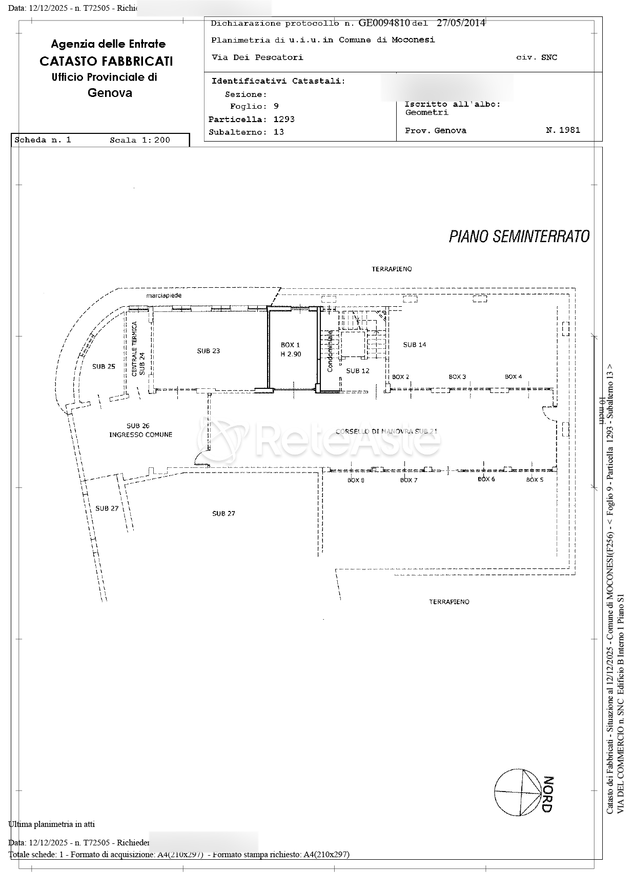
Luminoso appartamento di nuova costruzione, certificato in classe energetica A3 e dotato di autorimessa di pertinenza, ubicata al piano seminterrato, di 16 mq.
L’unità immobiliare, situata al secondo piano di una moderna palazzina con ascensore, ha una superficie complessiva di 78 mq, composta da soggiorno, cucina, due camere e bagno, ed è arricchita da 14 mq circa di balconi. L'abitazione è corredata di dotazioni tecniche avanzate, tra cui sistema di allarme e di climatizzazione.
Le murature esterne e i serramenti in alluminio a taglio termico con doppi vetri acustici e gas argon assicurano un ottimale isolamento termo-acustico. Il riscaldamento è centralizzato, e la gestione dei consumi è individuale grazie a crono-termostati e contatori dedicati ed un impianto solare terminco come supporto alle caldaie per la produzione di acqua calda sanitaria ed un impianto solare terminco come supporto alle caldaie per la produzione di acqua calda sanitaria. All'interno, troviamo pavimenti in ceramica di pregio; il bagno è dotato di rivestimenti moderni, sanitari sospesi e cabina doccia in cristallo. Le finiture esterne includono persiane alla genovese in alluminio e davanzali in marmo bianco.
L'immobile si colloca nel territorio di Moconesi, in un contesto che coniuga la quiete tipica dell'entroterra ligure e una ragionevole accessibilità ai servizi locali, inclusa la vicinanza al Comune di Gattorna.
L’acquisto di questa proprietà ha un'elevatissima valenza strategica grazie a un imminente elemento di valorizzazione: la definitiva concretizzazione del Tunnel della Val Fontanabuona. Questa infrastruttura, attesa da decenni, vedrà l'avvio dei cantieri entro febbraio 2026 (secondo gli ultimi aggiornamenti), ed è destinata a rivoluzionare la connettività, portando Moconesi a Rapallo in soli 10 minuti. Tale immediata prossimità alla costa è la premessa per un significativo aumento del valore immobiliare, specie se si considera la scarsa offerta abitativa e le quotazioni storicamente elevate dell'area del Golfo del Tigullio e Rapallo. Di conseguenza, l'acquisto di questa unità immobiliare completa di autorimessa/garage offre la rara opportunità di anticipare e capitalizzare l'effetto generato da questa importante miglioria infrastrutturale.
L’unità immobiliare, situata al secondo piano di una moderna palazzina con ascensore, ha una superficie complessiva di 78 mq, composta da soggiorno, cucina, due camere e bagno, ed è arricchita da 14 mq circa di balconi. L'abitazione è corredata di dotazioni tecniche avanzate, tra cui sistema di allarme e di climatizzazione.
Le murature esterne e i serramenti in alluminio a taglio termico con doppi vetri acustici e gas argon assicurano un ottimale isolamento termo-acustico. Il riscaldamento è centralizzato, e la gestione dei consumi è individuale grazie a crono-termostati e contatori dedicati ed un impianto solare terminco come supporto alle caldaie per la produzione di acqua calda sanitaria ed un impianto solare terminco come supporto alle caldaie per la produzione di acqua calda sanitaria. All'interno, troviamo pavimenti in ceramica di pregio; il bagno è dotato di rivestimenti moderni, sanitari sospesi e cabina doccia in cristallo. Le finiture esterne includono persiane alla genovese in alluminio e davanzali in marmo bianco.
L'immobile si colloca nel territorio di Moconesi, in un contesto che coniuga la quiete tipica dell'entroterra ligure e una ragionevole accessibilità ai servizi locali, inclusa la vicinanza al Comune di Gattorna.
L’acquisto di questa proprietà ha un'elevatissima valenza strategica grazie a un imminente elemento di valorizzazione: la definitiva concretizzazione del Tunnel della Val Fontanabuona. Questa infrastruttura, attesa da decenni, vedrà l'avvio dei cantieri entro febbraio 2026 (secondo gli ultimi aggiornamenti), ed è destinata a rivoluzionare la connettività, portando Moconesi a Rapallo in soli 10 minuti. Tale immediata prossimità alla costa è la premessa per un significativo aumento del valore immobiliare, specie se si considera la scarsa offerta abitativa e le quotazioni storicamente elevate dell'area del Golfo del Tigullio e Rapallo. Di conseguenza, l'acquisto di questa unità immobiliare completa di autorimessa/garage offre la rara opportunità di anticipare e capitalizzare l'effetto generato da questa importante miglioria infrastrutturale.
Bright newly built apartment, certified in energetic class A3 and equipped with a private garage located in the basement, measuring 16 sqm.
The property, situated on the second floor of a modern building with an elevator, has a total area of 78 sqm, consisting of a living room, kitchen, two bedrooms, and a bathroom, and is enriched by approximately 14 sqm of balconies. The home is equipped with advanced technical features, including an alarm system and air conditioning.
The external walls and aluminum windows with thermal break and double soundproof glass with argon gas ensure optimal thermal and acoustic insulation. The heating is centralized with solar panels, and consumption management is individual thanks to chrono-thermostats and dedicated meters. Inside, there are high-quality ceramic floors; the bathroom has modern coatings, suspended sanitary fixtures, and a glass shower cabin. The external finishes include aluminum Genoese blinds and white marble sills.
The property is located in the territory of Moconesi, in an environment that combines the typical tranquility of the Ligurian hinterland with reasonable accessibility to local services, including proximity to the Municipality of Gattorna.
The purchase of this property has a very high strategic value thanks to an imminent element of enhancement: the final realization of the Val Fontanabuona Tunnel. This infrastructure, awaited for decades, will see the start of construction by February 2026 (according to the latest updates) and is set to revolutionize connectivity, bringing Moconesi to Rapallo in just 10 minutes. This immediate proximity to the coast sets the stage for a significant increase in property value, especially when considering the limited housing supply and historically high prices in the Gulf of Tigullio and Rapallo area. Consequently, the purchase of this property complete with a garage offers the rare opportunity to anticipate and capitalize on the effect generated by this important infrastructure improvement.
The property, situated on the second floor of a modern building with an elevator, has a total area of 78 sqm, consisting of a living room, kitchen, two bedrooms, and a bathroom, and is enriched by approximately 14 sqm of balconies. The home is equipped with advanced technical features, including an alarm system and air conditioning.
The external walls and aluminum windows with thermal break and double soundproof glass with argon gas ensure optimal thermal and acoustic insulation. The heating is centralized with solar panels, and consumption management is individual thanks to chrono-thermostats and dedicated meters. Inside, there are high-quality ceramic floors; the bathroom has modern coatings, suspended sanitary fixtures, and a glass shower cabin. The external finishes include aluminum Genoese blinds and white marble sills.
The property is located in the territory of Moconesi, in an environment that combines the typical tranquility of the Ligurian hinterland with reasonable accessibility to local services, including proximity to the Municipality of Gattorna.
The purchase of this property has a very high strategic value thanks to an imminent element of enhancement: the final realization of the Val Fontanabuona Tunnel. This infrastructure, awaited for decades, will see the start of construction by February 2026 (according to the latest updates) and is set to revolutionize connectivity, bringing Moconesi to Rapallo in just 10 minutes. This immediate proximity to the coast sets the stage for a significant increase in property value, especially when considering the limited housing supply and historically high prices in the Gulf of Tigullio and Rapallo area. Consequently, the purchase of this property complete with a garage offers the rare opportunity to anticipate and capitalize on the effect generated by this important infrastructure improvement.
Vente en attente de l’émission d’un avis nouveau. Lumineux appartement de construction récente, certifié en classe énergétique A3 et équipé d'un garage privatif, situé au sous-sol, de 16 m².
L'unité immobilière, située au deuxième étage d'un immeuble moderne avec ascenseur, a une superficie totale de 78 m², composée d'un salon, d'une cuisine, de deux chambres et d'une salle de bains, et est enrichie par environ 14 m² de balcons. La maison est équipée d'équipements techniques avancés, notamment un système d'alarme et de climatisation.
Les murs extérieurs et les menuiseries en aluminium à rupture de pont thermique avec doubles vitrages acoustiques et gaz argon assurent une isolation thermique et acoustique optimale. Le chauffage est centralisé avec des panneaux solaires, et la gestion des consommations est individuelle grâce à des programmateurs et des compteurs dédiés. À l'intérieur, nous trouvons des sols en carrelage de qualité ; la salle de bains est équipée de revêtements modernes, de sanitaires suspendus et d'une cabine de douche en verre. Les finitions extérieures comprennent des persiennes à l'italienne en aluminium et des seuils en marbre blanc.
La propriété est située dans la région de Moconesi, dans un cadre alliant la tranquillité typique de l'arrière-pays ligure et une accessibilité raisonnable aux services locaux, y compris la proximité avec la commune de Gattorna.
L'acquisition de cette propriété revêt une très grande valeur stratégique grâce à un élément de valorisation imminent : la concrétisation définitive du Tunnel de la Val Fontanabuona. Cette infrastructure, attendue depuis des décennies, verra le début des travaux d'ici février 2026 (selon les dernières mises à jour), et est destinée à révolutionner la connectivité, en rapprochant Moconesi de Rapallo en seulement 10 minutes. Cette proximité immédiate de la côte est la prémisse d'une augmentation significative de la valeur immobilière, notamment si l'on considère la faible offre de logements et les prix historiquement élevés de la région du Golfe de Tigullio et de Rapallo. Par conséquent, l'acquisition de cette unité immobilière avec garage offre la rare opportunité d'anticiper et de capitaliser sur l'effet généré par cette amélioration majeure des infrastructures.
L'unité immobilière, située au deuxième étage d'un immeuble moderne avec ascenseur, a une superficie totale de 78 m², composée d'un salon, d'une cuisine, de deux chambres et d'une salle de bains, et est enrichie par environ 14 m² de balcons. La maison est équipée d'équipements techniques avancés, notamment un système d'alarme et de climatisation.
Les murs extérieurs et les menuiseries en aluminium à rupture de pont thermique avec doubles vitrages acoustiques et gaz argon assurent une isolation thermique et acoustique optimale. Le chauffage est centralisé avec des panneaux solaires, et la gestion des consommations est individuelle grâce à des programmateurs et des compteurs dédiés. À l'intérieur, nous trouvons des sols en carrelage de qualité ; la salle de bains est équipée de revêtements modernes, de sanitaires suspendus et d'une cabine de douche en verre. Les finitions extérieures comprennent des persiennes à l'italienne en aluminium et des seuils en marbre blanc.
La propriété est située dans la région de Moconesi, dans un cadre alliant la tranquillité typique de l'arrière-pays ligure et une accessibilité raisonnable aux services locaux, y compris la proximité avec la commune de Gattorna.
L'acquisition de cette propriété revêt une très grande valeur stratégique grâce à un élément de valorisation imminent : la concrétisation définitive du Tunnel de la Val Fontanabuona. Cette infrastructure, attendue depuis des décennies, verra le début des travaux d'ici février 2026 (selon les dernières mises à jour), et est destinée à révolutionner la connectivité, en rapprochant Moconesi de Rapallo en seulement 10 minutes. Cette proximité immédiate de la côte est la prémisse d'une augmentation significative de la valeur immobilière, notamment si l'on considère la faible offre de logements et les prix historiquement élevés de la région du Golfe de Tigullio et de Rapallo. Par conséquent, l'acquisition de cette unité immobilière avec garage offre la rare opportunité d'anticiper et de capitaliser sur l'effet généré par cette amélioration majeure des infrastructures.
Vente en attente de l’émission d’un avis nouveau. Helle Neubauwohnung, zertifiziert in der Energieklasse A3 und mit eigener Garage im Untergeschoss von 16 Quadratmetern.
Die Wohneinheit befindet sich im zweiten Stock eines modernen Gebäudes mit Aufzug und verfügt über eine Gesamtfläche von 78 Quadratmetern, bestehend aus Wohnzimmer, Küche, zwei Schlafzimmern und Bad, sowie etwa 14 Quadratmetern Balkon. Die Wohnung ist mit modernster Technik ausgestattet, darunter Alarmanlage und Klimatisierungssystem.
Die Außenmauern und die thermisch getrennten Aluminiumfenster mit Schallschutz- und Argongas-Doppelverglasung sorgen für eine optimale Wärme- und Schallisolation. Die Heizung erfolgt zentral über Solarkollektoren, und der Verbrauch wird durch individuelle Verwaltung dank programmierbaren Thermostaten und eigenen Zählern reguliert. Im Inneren gibt es hochwertige Keramikfußböden; das Badezimmer ist mit modernen Verkleidungen, Hänge-WCs und einer Duschkabine aus Glas ausgestattet. Die äußeren Veredelungen umfassen aluminiumgefertigte genuesische Fensterläden und Fensterbänke aus weißem Marmor.
Die Immobilie liegt im Gebiet von Moconesi in einer Umgebung, die die typische Ruhe des ligurischen Hinterlandes mit einer angemessenen Erreichbarkeit der örtlichen Dienstleistungen verbindet, einschließlich der Nähe zur Gemeinde Gattorna.
Der Kauf dieses Anwesens hat einen sehr hohen strategischen Wert aufgrund eines bevorstehenden Wertsteigerungselements: der endgültigen Realisierung des Tunnels Val Fontanabuona. Diese Infrastruktur, die seit Jahrzehnten erwartet wird, wird voraussichtlich bis Februar 2026 (laut den neuesten Updates) mit dem Bau beginnen und die Konnektivität revolutionieren, indem Moconesi in nur 10 Minuten mit Rapallo verbunden wird. Diese unmittelbare Nähe zur Küste ist der Garant für eine signifikante Wertsteigerung der Immobilie, insbesondere wenn man das knappe Wohnungsangebot und die historisch hohen Immobilienpreise im Bereich des Golfs von Tigullio und Rapallo berücksichtigt. Daher bietet der Kauf dieser Immobilie mit eigener Garage eine seltene Gelegenheit, den Effekt dieser wichtigen Infrastrukturverbesserung frühzeitig zu antizipieren und zu nutzen.
Die Wohneinheit befindet sich im zweiten Stock eines modernen Gebäudes mit Aufzug und verfügt über eine Gesamtfläche von 78 Quadratmetern, bestehend aus Wohnzimmer, Küche, zwei Schlafzimmern und Bad, sowie etwa 14 Quadratmetern Balkon. Die Wohnung ist mit modernster Technik ausgestattet, darunter Alarmanlage und Klimatisierungssystem.
Die Außenmauern und die thermisch getrennten Aluminiumfenster mit Schallschutz- und Argongas-Doppelverglasung sorgen für eine optimale Wärme- und Schallisolation. Die Heizung erfolgt zentral über Solarkollektoren, und der Verbrauch wird durch individuelle Verwaltung dank programmierbaren Thermostaten und eigenen Zählern reguliert. Im Inneren gibt es hochwertige Keramikfußböden; das Badezimmer ist mit modernen Verkleidungen, Hänge-WCs und einer Duschkabine aus Glas ausgestattet. Die äußeren Veredelungen umfassen aluminiumgefertigte genuesische Fensterläden und Fensterbänke aus weißem Marmor.
Die Immobilie liegt im Gebiet von Moconesi in einer Umgebung, die die typische Ruhe des ligurischen Hinterlandes mit einer angemessenen Erreichbarkeit der örtlichen Dienstleistungen verbindet, einschließlich der Nähe zur Gemeinde Gattorna.
Der Kauf dieses Anwesens hat einen sehr hohen strategischen Wert aufgrund eines bevorstehenden Wertsteigerungselements: der endgültigen Realisierung des Tunnels Val Fontanabuona. Diese Infrastruktur, die seit Jahrzehnten erwartet wird, wird voraussichtlich bis Februar 2026 (laut den neuesten Updates) mit dem Bau beginnen und die Konnektivität revolutionieren, indem Moconesi in nur 10 Minuten mit Rapallo verbunden wird. Diese unmittelbare Nähe zur Küste ist der Garant für eine signifikante Wertsteigerung der Immobilie, insbesondere wenn man das knappe Wohnungsangebot und die historisch hohen Immobilienpreise im Bereich des Golfs von Tigullio und Rapallo berücksichtigt. Daher bietet der Kauf dieser Immobilie mit eigener Garage eine seltene Gelegenheit, den Effekt dieser wichtigen Infrastrukturverbesserung frühzeitig zu antizipieren und zu nutzen.
这是一间明亮的新建公寓,能源等级为A3,配有16平方米的地下车库。 该物业位于带有电梯的现代大楼的二楼,总面积为78平方米,包括起居室、厨房、两间卧室和浴室,还有约14平方米的阳台。该住宅配备先进的技术设施,包括报警系统和空调系统。 外墙和带有声学双层玻璃和氩气的隔热铝窗确保优异的隔热和隔音效果。采用太阳能集热板供暖,消费管理则通过定时温控器和独立计量器进行。室内铺有高档陶瓷地板;卫生间配有现代装饰、壁挂卫生设备和玻璃淋浴房。外饰包括铝制翻板百叶窗和白色大理石窗台。 这一物业位于莫科内西(Moconesi),结合了利古里亚内陆的宁静和对当地服务的合理可及性,包括靠近加托尔纳(Gattorna)市政厅。 购买该属性具有极高的战略性,因为即将实现的价值提升元素是:瓦尔·丰塔纳布奥纳隧道的最终建成。这一基础设施期待已久,最新进展显示,工程将于2026年2月前开工,旨在改善连接性,使莫科内西到拉帕洛(Rapallo)只需10分钟。这种与海岸的紧密接近,将极大提高房地产价值,特别是考虑到该地区提供的住房稀缺和拉帕洛湾(Golfo del Tigullio)和拉帕洛地区历史上高昂的房价。因此,购买这套带有地下车库/车库的物业为您提供了一个难得的机会,来提前和利用这一重要基础设施改进所带来的效益。
Объявление аукциона по данной продаже будет вскоре опубликовано. Светлая квартира нового строительства, сертифицированная по классу энергетической эффективности A3 и оснащенная автостоянкой, расположенной на подвальном этаже площадью 16 квадратных метров. Недвижимость, расположенная на втором этаже современного дома с лифтом, имеет общую площадью 78 кв.м., состоит из гостиной, кухни, двух спален и ванной комнаты, а также обогащена площадью около 14 кв.м. балконы. Жилье оборудовано передовыми техническими средствами, включая систему сигнализации и кондиционирования. Внешние стены и алюминиевые окна с тепловым разделением с двойным стеклопакетом и газом аргоном обеспечивают оптимальную тепло- и звукоизоляцию. Отопление централизованное с солнечными панелями, а учет потребления индивидуален благодаря кроно-термостатам и индивидуальным счетчикам. Внутри квартиры вы найдете высококачественные керамические полы; в ванной комнате современная отделка, подвесной сантехнический оборудование и душевая кабина из стекла. Внешняя отделка включает алюминиевые ставни "alla genovese" и белые мраморные подоконники. Имущество находится в Moconesi, в контексте, сочетающем тишину типичного лигурийского внутреннего района и разумную доступность к местным услугам, включая близость к коммуне Gattorna. Покупка этой недвижимости имеет высокую стратегическую ценность благодаря предстоящему фактору ценности: окончательная реализация Тоннеля Val Fontanabuona. Эта инфраструктура, ожидаемая уже десятилетия, начнет свою строительство к февралю 2026 года (согласно последним обновлениям) и должна революционизировать связь, сократив время пути от Moconesi до Rapallo всего за 10 минут. Это непосредственное приближение к побережью является предпосылкой для значительного повышения стоимости недвижимости, особенно учитывая недостаточное жилищное предложение и исторически высокие цены в районе Tigullio и Rapallo. Следовательно, покупка этой жилой недвижимости с автостоянкой / гаражом предоставляет редкую возможность перед заранее оценить и капитализировать влияние этого важного улучшения инфраструктуры.
| Superficie | mq |
|---|---|
| Vani | 4 |
| Bagni | 1 |
| Piano | 2 |
| Tipologia di vendita | Privata |
|---|---|
| Modalità di vendita | Raccolta offerte |