highlight_off
Riferimento annuncio 318722 info

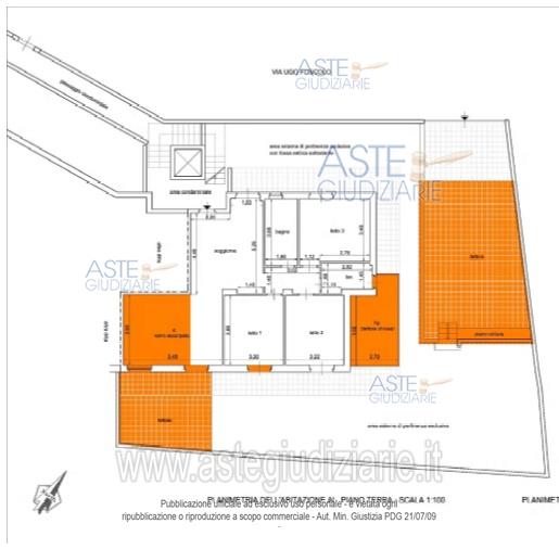
Appartamento Via Ugo Foscolo, 51C, 95030 Mascalucia CT, Italia, 95030 Mascalucia (CT)

6,50
94,95
1
0
€ 198.000
Vendita all'asta Senza incanto, con gara telematica sincrona - LOTTO UNICO: Villino al piano terra, con annessa area esterna e garage di pertinenza esclusiva posto al piano interrato. Prezzo base € 198.000,00 (offerta minima € 148.500,00). Data vendita 21/01/2026 ore 11:00. Professionista delegato alla vendita Avv. Daniele D'arrigo - Email "danieledarrigo@hotmail.it". Custode Giudiziario Avv. Daniele D'arrigo - Email "danieledarrigo@hotmail.it". Rif. Tribunale di Catania - Esecuzione immobiliare post legge 80 n. 99/2023

Superficie 94,95 mq
Vani 6,50
Bagni 1
Piano 0

Tipologia di vendita Giudiziaria
Modalità di vendita Sincrona telematica
Termine presentazione offerte 01/01/1900 ore 00:00
Data e ora inizio gara 21/01/2026 ore 11:00
Codice ID astegiudiziarie.it 4338502
6,50
94,95
1
0
€ 198.000

Ti interessa questa vendita?

north_east

Clicca qui per essere indirizzato alla scheda sul sito di provenienza

Bene di astegiudiziarie.it