highlight_off
Riferimento annuncio 286760 info

Appartamento Piazza Caduti, 1, 46010 Mariana Mantovana MN, Italia, 46010 Mariana Mantovana (MN)

6,50
163,00
0
€ 32.513
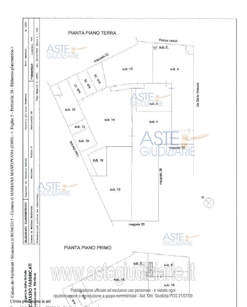
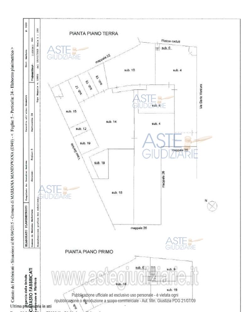
Vendita in attesa dell'emissione del nuovo bando d'asta. LOTTO 5: in comune di Mariana Mantovana, piazza Caduti 1, unità immobiliare adibita a civile abitazione ed in corso di costruzione, posta al piano primo di un complesso condominiale e composta da ingresso su soggiorno cucina, due camere da letto, bagno, lavanderia e doppio ripostiglio, dotata di area esterna e autorimessa nel cortile comune anch'essa da ultimare. Ultimo prezzo base € 32.512,50 (offerta minima € 24.384,38). Professionista delegato alla vendita Avv. Matteo Binelli - Email "segreteria@binelliavvocati.it"; Tel. 0376326468. Custode Giudiziario Sovemo Srl - Email "immobiliaremantova@sovemo.com". Rif. Tribunale di Mantova - Esecuzione immobiliare post legge 80 n. 227/2014

Superficie 163,00 mq
Vani 6,50
Bagni
Piano 0

Tipologia di vendita Giudiziaria
Modalità di vendita Sincrona mista
Termine presentazione offerte 29/09/2025 ore 12:00
Data e ora inizio gara 02/10/2025 ore 16:00
Codice ID astegiudiziarie.it 413476
6,50
163,00
0
€ 32.513

Ti interessa questa vendita?

north_east

Clicca qui per essere indirizzato alla scheda sul sito di provenienza

Bene di astegiudiziarie.it