highlight_off
Riferimento annuncio 294405 info

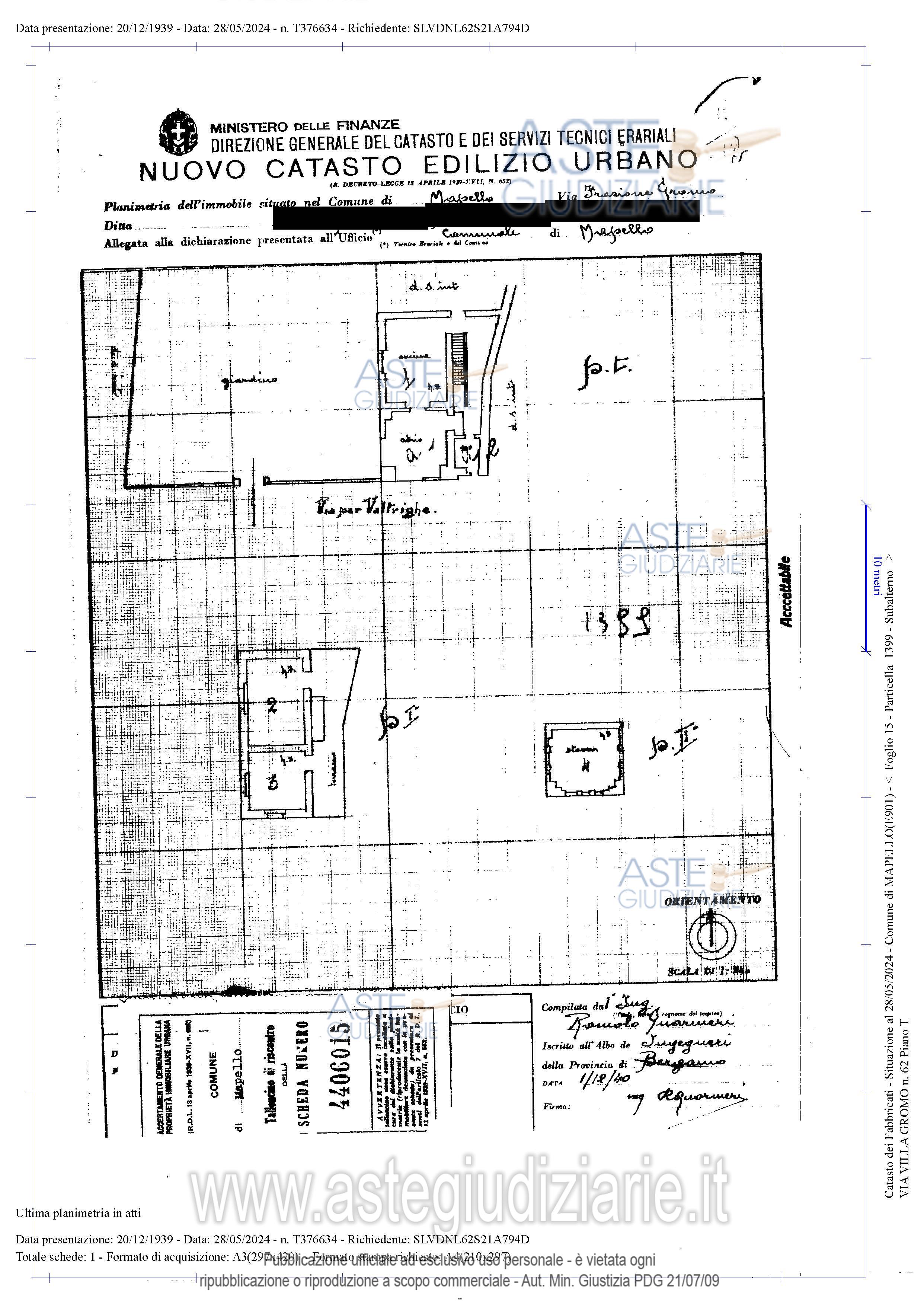
Appartamento via Guglielmo Marconi, 24030 Mapello (BG)

0
€ 2.683.653
Vendita all'asta Senza incanto, con gara telematica asincrona - LOTTO UNICO: Complesso immobiliare a carattere prevalentemente residenziale costituito da una villa storica settecentesca con le sue pertinenze, conosciuta come Villa Gromo o Villa Zanchi Antona Traversi, composto da: - villa barocca settecentesca di tre piani fuori terra comprendente numerosi locali, disposta a U intorno ad un cortile con altri due cortili ai lati est ed ovest e circondata da parco - edificio di tre piani fuori terra ad uso portineria - tre fabbricati costituenti corte agricola con portici e loggiati. Prezzo base € 2.683.653,00 (offerta minima € 2.012.740,00). Data inizio operazioni di vendita: 14/01/2026 ore 11:00. Giudice Vincenzo Domenico Scibetta. Professionista delegato alla vendita Not. Antonio Giannetta - Email "assnotbergamo@notariato.it"; Tel. 035219426. Custode Giudiziario Istituto Vendite Giudiziarie Di Bergamo - Email "immobiliare@ivgbergamo.it"; Tel. 0350763005. Rif. Tribunale di Bergamo - Esecuzione immobiliare post legge 80 n. 1499/2013

Superficie mq
Vani
Bagni
Piano 0

Tipologia di vendita Giudiziaria
Modalità di vendita Asincrona telematica
Termine presentazione offerte 01/01/1900 ore 00:00
Data e ora inizio gara 14/01/2026 ore 11:00
Codice ID astegiudiziarie.it 4319521
0
€ 2.683.653

Ti interessa questa vendita?

north_east

Clicca qui per essere indirizzato alla scheda sul sito di provenienza

Bene di astegiudiziarie.it