highlight_off
Riferimento annuncio 332944 info

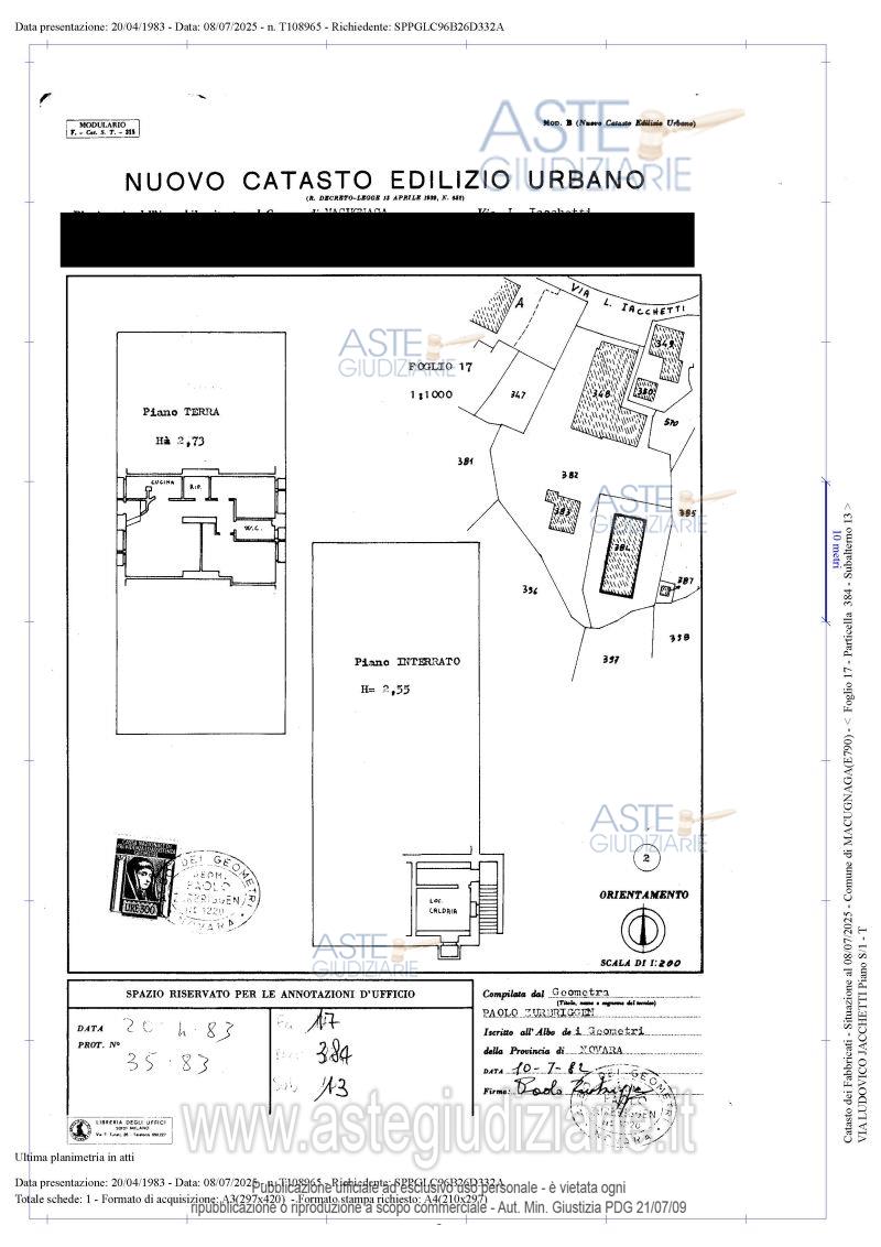
Appartamento Via Ludovico Jacchetti, 21, 28876 Staffa VB, Italia, 28876 Macugnaga (VB)

50,00
94,00
0
€ 150.000
Vendita all'asta Senza incanto, con gara telematica asincrona - LOTTO UNICO: Appartamento al piano terra, inserito in contesto condominiale, composto da: soggiorno, cucina, disimpegno, ripostiglio, bagno, n. 2 camere. Prezzo base € 150.000,00 (offerta minima € 112.500,00). Data inizio operazioni di vendita: 23/06/2026 ore 10:00. Giudice: Dott. Antonietta Sacco. Custode Giudiziario: Aste Giudiziarie Inlinea Spa - Email "ufficiocustodie@astegiudiziarie.it". Rif. Tribunale di Verbania - Espropriazione immobiliare (cartabia) n. 46/2025

Superficie 94,00 mq
Vani 50,00
Bagni
Piano 0

Tipologia di vendita Giudiziaria
Modalità di vendita Asincrona telematica
Termine presentazione offerte 22/06/2026 ore 12:00
Data e ora inizio gara 23/06/2026 ore 10:00
Codice ID astegiudiziarie.it 4350329
50,00
94,00
0
€ 150.000

Ti interessa questa vendita?

north_east

Clicca qui per essere indirizzato alla scheda sul sito di provenienza

Bene di astegiudiziarie.it