highlight_off
Riferimento annuncio 316754 info

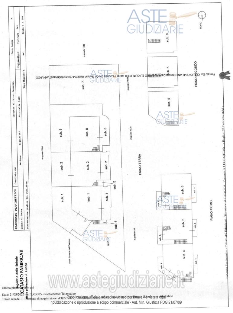
Appartamento Lucca, Via di Sorbano Del Vescovo n. 860D Piano T, 55100 Lucca (LU)

4,00
71,00
0
€ 117.000
Vendita all'asta Senza incanto, con gara telematica sincrona mista - LOTTO UNICO: Unità immobiliare per civile abitazione facente parte di più ampio fabbricato sito in Lucca, Via di Sorbano Del Vescovo n. 860D Piano T. Si compone di ingresso-soggiorno con angolo cottura, ripostiglio, disimpegno, servizio igienico, due camere da letto e resedi esclusive ad uso giardino. Sono compresi diritti di comproprietà sulle parti comuni del fabbricato. Prezzo base € 117.000,00 (offerta minima € 87.750,00). Data vendita 04/12/2025 ore 09:00. Giudice Dott. Giacomo Lucente. Professionista delegato alla vendita Avv. Nicola Virdis. Custode Giudiziario Ivg Lucca - Email "custodieivg@gmail.com". Rif. Tribunale di Lucca - Espropriazione immobiliare (cartabia) n. 198/2024

Superficie 71,00 mq
Vani 4,00
Bagni
Piano 0

Tipologia di vendita Giudiziaria
Modalità di vendita Sincrona mista
Termine presentazione offerte 03/12/2025 ore 12:00
Data e ora inizio gara 04/12/2025 ore 09:00
Codice ID astegiudiziarie.it 4336735
4,00
71,00
0
€ 117.000

Ti interessa questa vendita?

north_east

Clicca qui per essere indirizzato alla scheda sul sito di provenienza

Bene di astegiudiziarie.it