highlight_off
Riferimento annuncio 267174 info

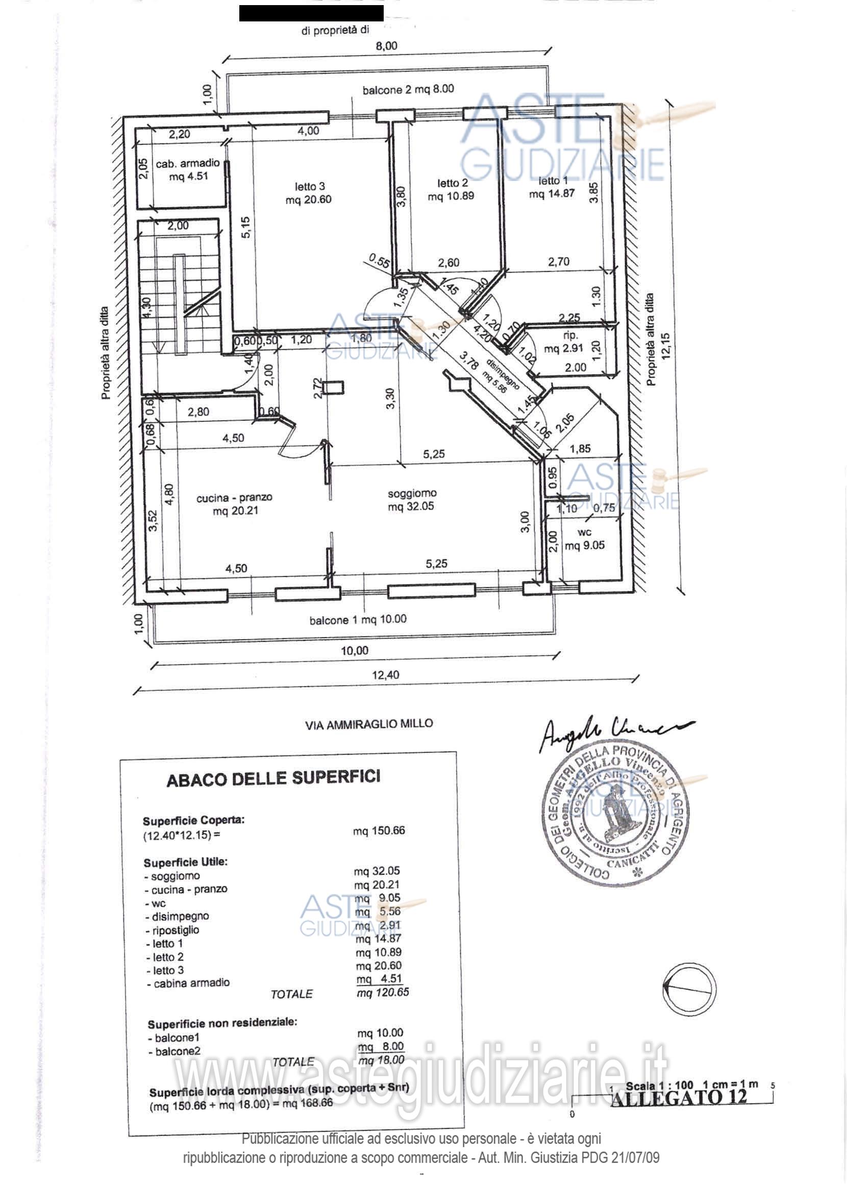
Appartamento Via Ammiraglio Millo, 23, 92027 Licata AG, Italia, 92027 Licata (AG)

168,00
4
€ 22.403
Vendita all'asta Senza incanto, con gara telematica sincrona mista - LOTTO UNICO: Lotto unico: appartamento in Licata (Ag) via Ammiraglio Millo n. 23, piano quarto, di mq 168 c.ca, al NCEU f. 105, part. 196 sub 5. Prezzo base € 22.403,00 (offerta minima € 16.802,00). Data vendita 20/02/2026 ore 17:30. Professionista delegato alla vendita Dott. Giuseppe Antonio Lentini - Email "giuseppeantoniolentini@gmail.com"; Cell. 3385659043; Tel. 0922553407. Custode Giudiziario Dott. Giuseppe Antonio Lentini - Email "giuseppeantoniolentini@gmail.com"; Cell. 3385659043; Tel. 0922553407. Rif. Tribunale di Agrigento - Esecuzione immobiliare post legge 80 n. 47/2003

Superficie 168,00 mq
Vani
Bagni
Piano 4

Tipologia di vendita Giudiziaria
Modalità di vendita Sincrona mista
Termine presentazione offerte 01/01/1900 ore 00:00
Data e ora inizio gara 20/02/2026 ore 17:30
Codice ID astegiudiziarie.it 4288439
168,00
4
€ 22.403

Ti interessa questa vendita?

north_east

Clicca qui per essere indirizzato alla scheda sul sito di provenienza

Bene di astegiudiziarie.it