highlight_off
Riferimento annuncio 287953 info

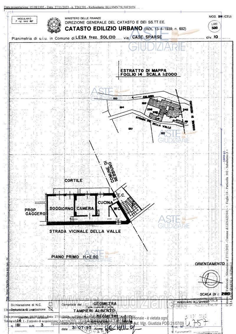
Appartamento Traversa di Via Sempione, 1, 28040 Lesa NO, Italia, 28040 Lesa (NO)

3,50
92,00
1
0
€ 58.000
Vendita all'asta Senza incanto, con gara telematica asincrona - LOTTO UNICO: Appartamento al piano primo, composto da cucina, wc, camera soggiorno, balconi. Completa la proprietà un box singolo. Prezzo base € 58.000,00 (offerta minima € 43.500,00). Data inizio operazioni di vendita: 19/12/2025 ore 10:00. Giudice Dott. Antonietta Sacco. Custode Giudiziario Aste Giudiziarie Inlinea Spa - Email "ufficiocustodie@astegiudiziarie.it". Rif. Tribunale di Verbania - Esecuzione immobiliare post legge 80 n. 24/2023

Superficie 92,00 mq
Vani 3,50
Bagni 1
Piano 0

Tipologia di vendita Giudiziaria
Modalità di vendita Asincrona telematica
Termine presentazione offerte 18/12/2025 ore 12:00
Data e ora inizio gara 19/12/2025 ore 10:00
Codice ID astegiudiziarie.it 4314599
3,50
92,00
1
0
€ 58.000

Ti interessa questa vendita?

north_east

Clicca qui per essere indirizzato alla scheda sul sito di provenienza

Bene di astegiudiziarie.it