highlight_off
Riferimento annuncio 315814 info

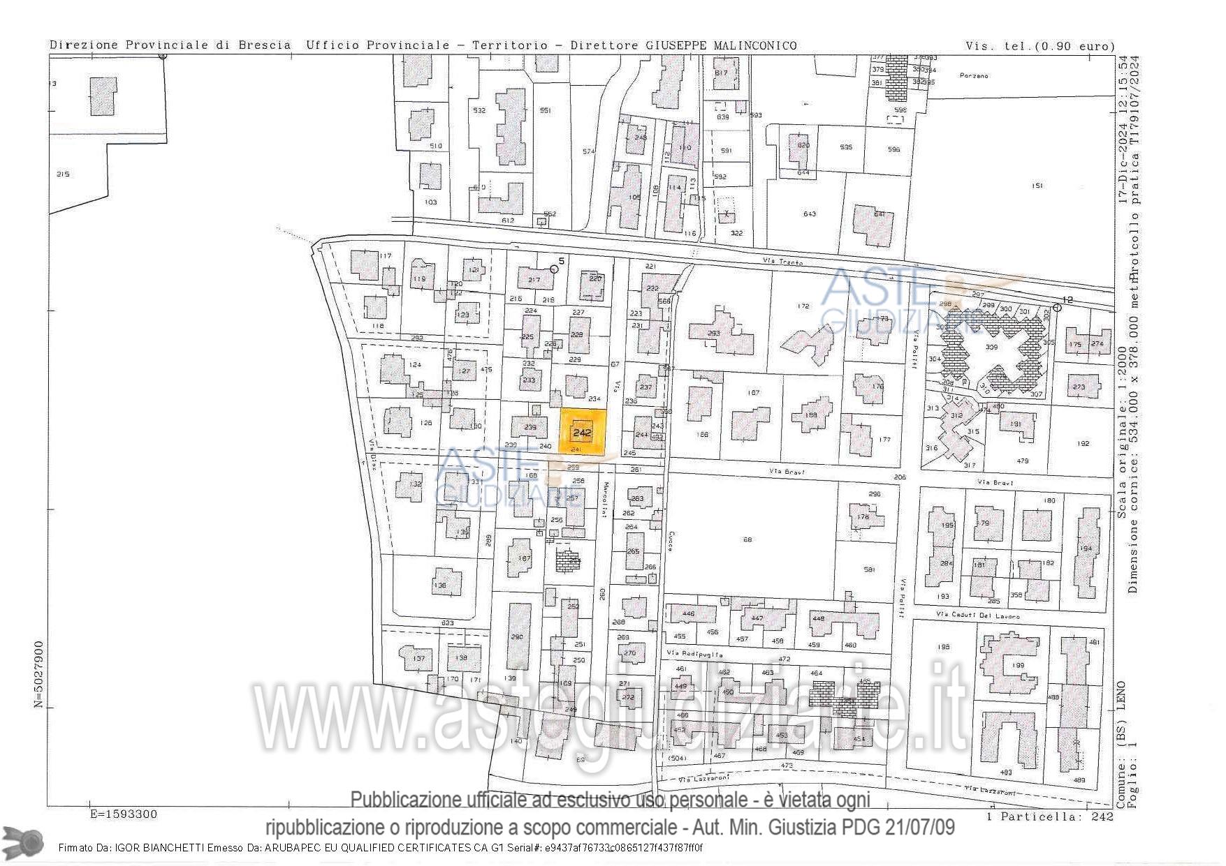
Appartamento Quartiere LA FAMIGLIA - VIA BRAVI 13, 25024 Leno (BS)

8,00
0
€ 255.000
Vendita all'asta Senza incanto, con gara telematica asincrona - LOTTO UNICO: Piena proprietà. Trattasi, ex perizia, di villetta unifamiliare sviluppata al piano terra, primo ed interrato, il tutto censito al Catasto Fabbricati - Sez. NCT - Fg. 1 mapp. 242 sub 1 P. T-1, cat. A3 - cl. 3 - vani 8 - R.C.Euro 301,61 mapp. 242 sub 2 P. S1, cat. C6 - cl. 2 - mq. 39 - R.C.Euro 44,31con le proporzionali quote delle parti comuni ai sensi di legge. Prezzo base € 255.000,00 (offerta minima € 191.250,00). Data inizio operazioni di vendita: 27/01/2026 ore 12:30. Giudice Dellesecuzione Giudice. Professionista delegato alla vendita Not. Roberto Forino. Custode Giudiziario Not. Roberto Forino - Email "visiteimmobili@anpebrescia.it". Rif. Tribunale di Brescia - Espropriazione immobiliare (cartabia) n. 403/2024

Superficie mq
Vani 8,00
Bagni
Piano 0

Tipologia di vendita Giudiziaria
Modalità di vendita Asincrona telematica
Termine presentazione offerte 01/01/1900 ore 00:00
Data e ora inizio gara 27/01/2026 ore 12:30
Codice ID astegiudiziarie.it 4336758
8,00
0
€ 255.000

Ti interessa questa vendita?

north_east

Clicca qui per essere indirizzato alla scheda sul sito di provenienza

Bene di astegiudiziarie.it