highlight_off
Riferimento annuncio 313141 info

Appartamento Contrada Villa Andreoli, 16, 66034 Lanciano CH, Italia, 66034 Lanciano (CH)

4,50
120,00
0
€ 40.000
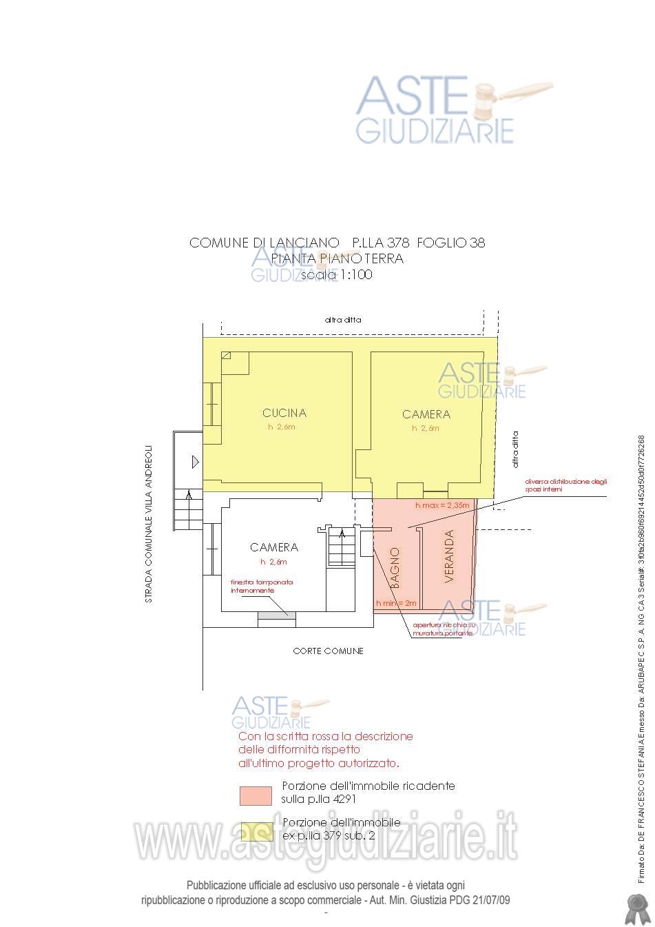
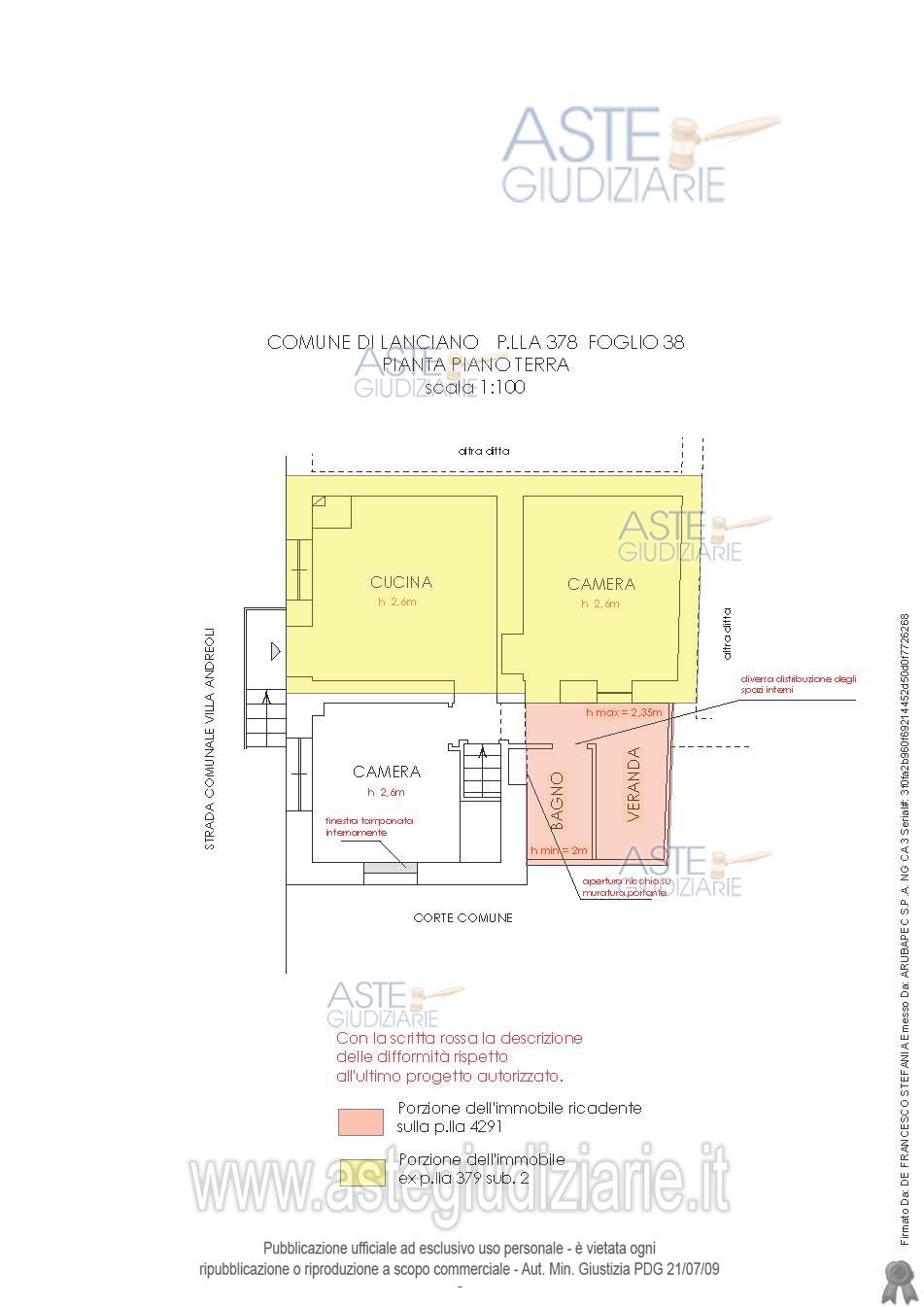
Vendita all'asta Senza incanto, con gara telematica asincrona - LOTTO UNICO: L’unità immobiliare si sviluppa su due piani piano terra e piano primo seminterrato, ed ha una superficie lorda di circa 120 mq. oltre al porticato al piano seminterrato. Al piano terra, cucina, disimpegno, bagno, veranda e due camere da letto, di cui una con finestra su veranda e non direttamente aperta all’esterno. Una scala interna comunica con il piano seminterrato costituito da taverna, cantina e corte porticata. Prezzo base € 40.000,00 (offerta minima € 30.000,00). Data inizio operazioni di vendita: 22/10/2025 ore 10:30. Giudice Chiara D'alfonso. Professionista delegato alla vendita Avv. Carla De Bartolomeis - Email "dbcarla@email.it"; Cell. 3491487196; Tel. 0872321973. Custode Giudiziario Ivg - Email "ivglanciano@gmail.com"; Tel. 0872715361. Rif. Tribunale di Lanciano - Espropriazione immobiliare (cartabia) n. 26/2024

Superficie 120,00 mq
Vani 4,50
Bagni
Piano 0

Tipologia di vendita Giudiziaria
Modalità di vendita Asincrona telematica
Termine presentazione offerte 21/10/2025 ore 12:00
Data e ora inizio gara 22/10/2025 ore 10:30
Codice ID astegiudiziarie.it 4333247
4,50
120,00
0
€ 40.000

Ti interessa questa vendita?

north_east

Clicca qui per essere indirizzato alla scheda sul sito di provenienza

Bene di astegiudiziarie.it