highlight_off
Riferimento annuncio 320419 info

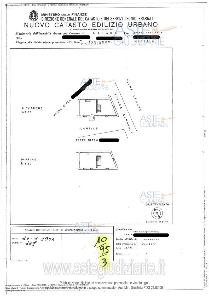
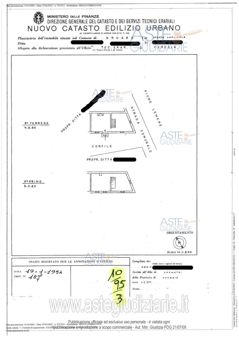
Appartamento Via Boldara, 27, 30020 Gruaro (VE)

4,00
105,00
0
€ 29.950
Vendita all'asta Senza incanto, con gara telematica sincrona - LOTTO UNICO: Fabbricato d'abitazione (PT-1) con cortile ad uso comune posto sul lato Sud dell'immobile. Sono presenti parti comuni di fabbricato ai sensi dell'art.1117 del Codice Civile. L'edificio è stato costruito anteriormente al 01/09/1967 e risulta essere libero con parti crollate (da considerarsi pericolante e collabente). Difformità catastali sanabili. Prezzo base € 29.950,00 (offerta minima € 22.462,50). Data vendita 16/01/2026 ore 16:00. Giudice Dott. Elisa Tesco. Professionista delegato alla vendita Not. Giorgio Pertegato - Email "notaio@notaiopertegato.it". Custode Giudiziario Ass. Not. Associazione Notarile - Email "custodi@associazionenotarile.pn.it"; Tel. 3294536349. Rif. Tribunale di Pordenone - Espropriazione immobiliare (cartabia) n. 75/2024

Superficie 105,00 mq
Vani 4,00
Bagni
Piano 0

Tipologia di vendita Giudiziaria
Modalità di vendita Sincrona telematica
Termine presentazione offerte 01/01/1900 ore 00:00
Data e ora inizio gara 16/01/2026 ore 16:00
Codice ID astegiudiziarie.it 4340353
4,00
105,00
0
€ 29.950

Ti interessa questa vendita?

north_east

Clicca qui per essere indirizzato alla scheda sul sito di provenienza

Bene di astegiudiziarie.it