highlight_off
Riferimento annuncio 123840 info

Appartamento 09035 Gonnosfanadiga SU, Italia, 09035 Gonnosfanadiga (SU)

10,00
237,00
0
€ 29.440
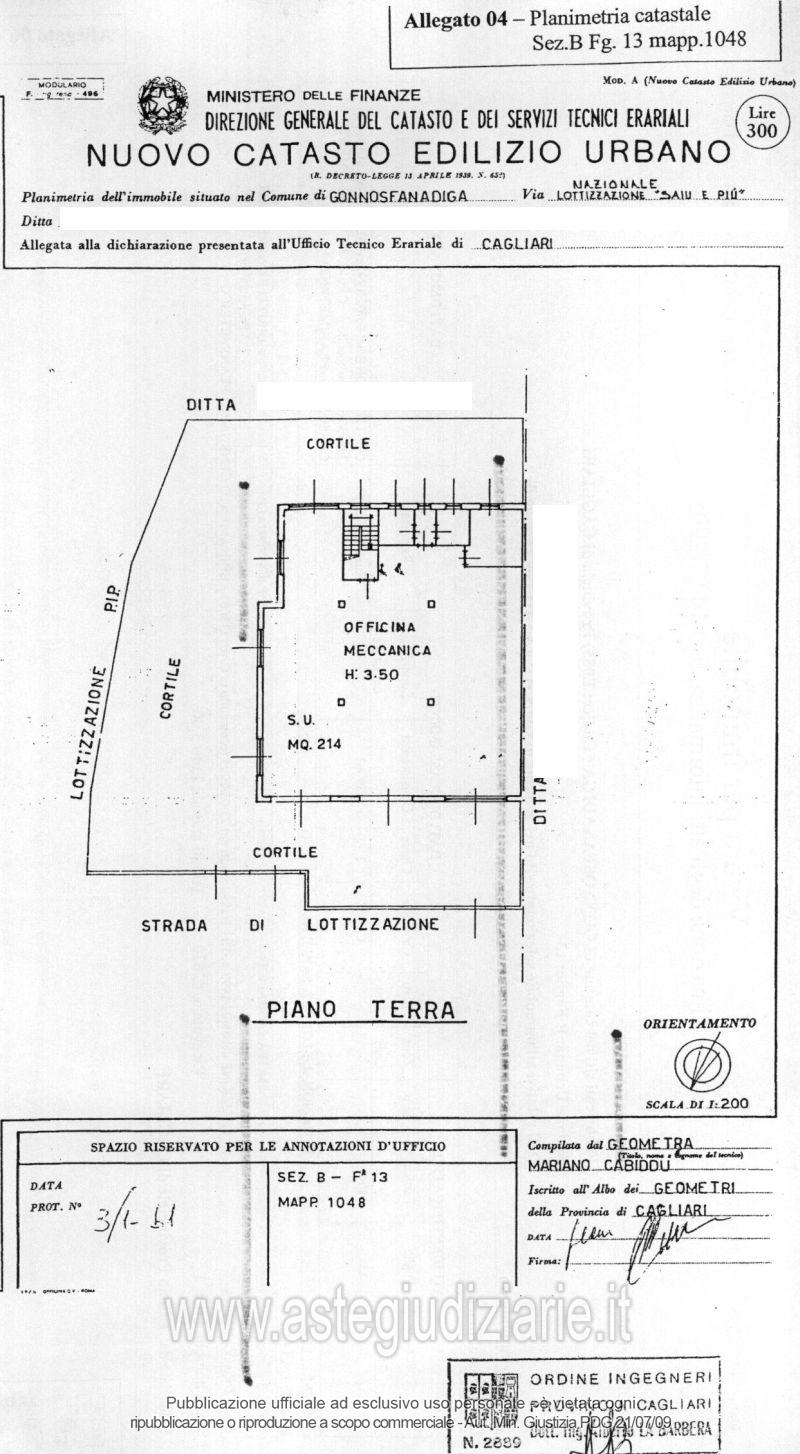
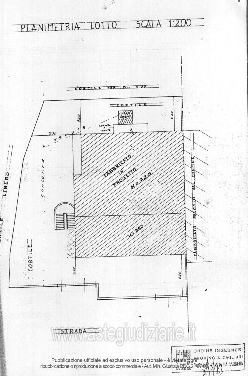
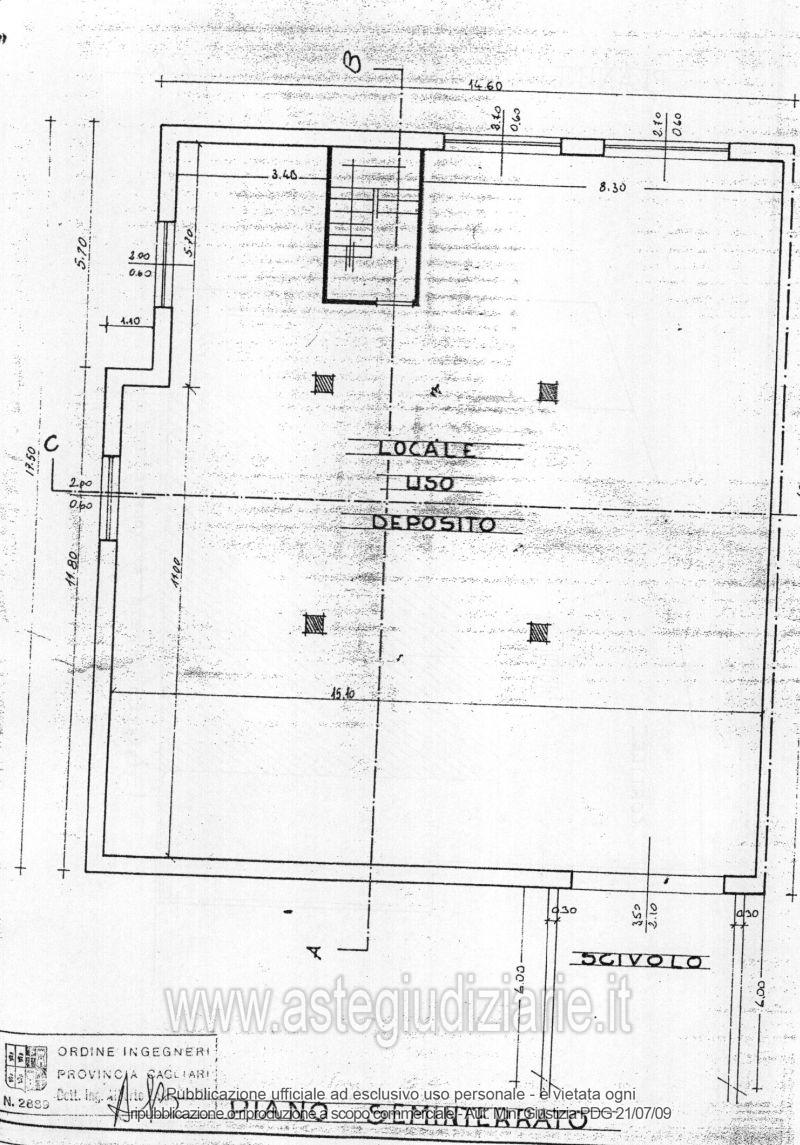
Vendita all'asta Senza incanto, con gara telematica asincrona - LOTTO UNICO: Piena proprietà del fabbricato disposto su tre livelli, sito in località “Rienazzu”, composto di locale artigianale (attualmente adibito ad appartamento) di mq 237 circa, al piano seminterrato; locale artigianale adibito ad officina meccanica di mq 214 circa con annesso giardino al piano terra; appartamento ad uso civile abitazione al piano primo. Prezzo base € 29.440,00 (offerta minima € 22.080,00). Data inizio operazioni di vendita: 16/12/2025 ore 09:00. Giudice Silvia Cocco. Professionista delegato alla vendita Not. Massimiliano Vadilonga - Email "ufficiouniconotai@pec.it"; Tel. 07060222574. Custode Giudiziario Ivg Cagliari - Email "ivg.visiteimmobili@tiscali.it"; Tel. 0702299036. Rif. Tribunale di Cagliari - Esecuzione immobiliari n. 546/2002

Superficie 237,00 mq
Vani 10,00
Bagni
Piano 0

Tipologia di vendita Giudiziaria
Modalità di vendita Asincrona telematica
Termine presentazione offerte 01/01/1900 ore 00:00
Data e ora inizio gara 16/12/2025 ore 09:00
Codice ID astegiudiziarie.it 138542
10,00
237,00
0
€ 29.440

Ti interessa questa vendita?

north_east

Clicca qui per essere indirizzato alla scheda sul sito di provenienza

Bene di astegiudiziarie.it