highlight_off
Riferimento annuncio 278801 info

Appartamento Loc. San Simone, 09035 Gonnosfanadiga (VS)

6,00
120,00
0
€ 18.700
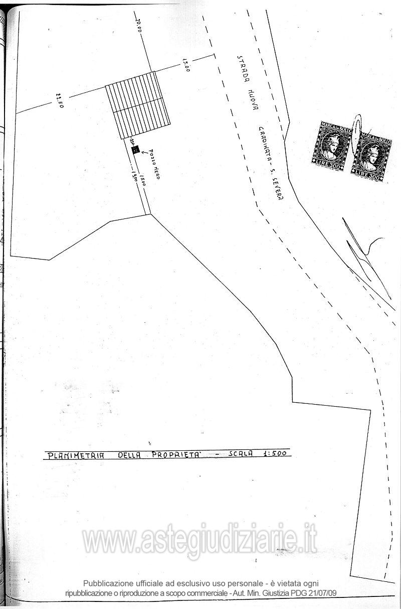
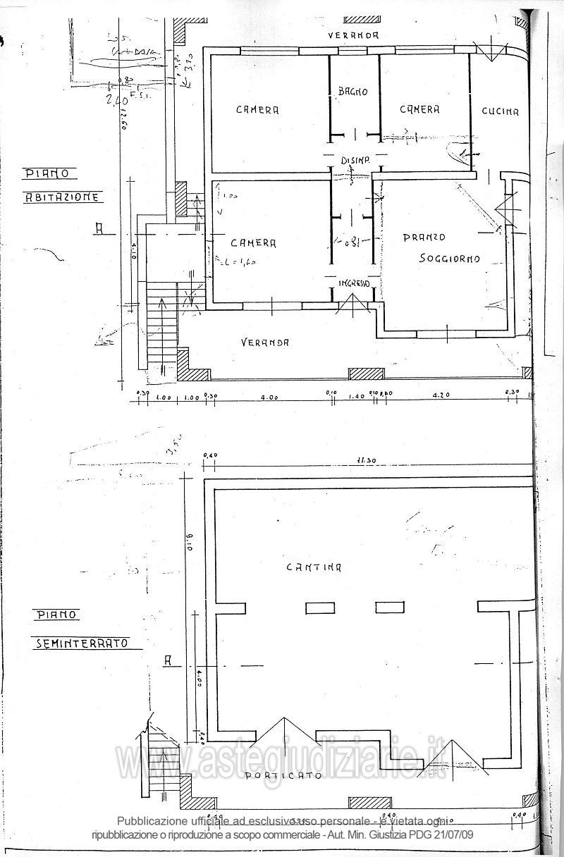
Vendita all'asta Senza incanto, con gara telematica asincrona - LOTTO UNICO: Quota pari all’intero del diritto di proprietà sull’unità immobiliare per civile abitazione al piano rialzato composto da: ingresso, salone, cucina, tre camere, bagno, salone, disimpegno, tre verande. Prezzo base € 18.700,00 (offerta minima € 14.025,00). Data inizio operazioni di vendita: 09/06/2026 ore 09:00. Giudice Valentina Frongia. Professionista delegato alla vendita Giuditta Grilletti - Email "ufficiouniconotai@pec.it"; Tel. 07060222574. Custode Giudiziario Ivg Cagliari - Email "ivg.visiteimmobili@tiscali.it"; Cell. 0702299036. Rif. Tribunale di Cagliari - Esecuzione immobiliari n. 909/1995

Superficie 120,00 mq
Vani 6,00
Bagni
Piano 0

Tipologia di vendita Giudiziaria
Modalità di vendita Asincrona telematica
Termine presentazione offerte 01/01/1900 ore 00:00
Data e ora inizio gara 09/06/2026 ore 09:00
Codice ID astegiudiziarie.it 163218
6,00
120,00
0
€ 18.700

Ti interessa questa vendita?

north_east

Clicca qui per essere indirizzato alla scheda sul sito di provenienza

Bene di astegiudiziarie.it