highlight_off
Riferimento annuncio 323352 info

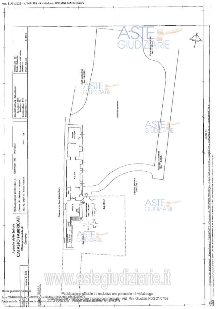
Appartamento V. al Capo di Santa Chiara, Genova GE, Italia, 16100 Genova (GE)

15,00
1656,00
0
€ 8.452.103
Vendita all'asta Senza incanto, con gara telematica sincrona mista - LOTTO UNICO: Intera proprietà di villa storica in parco privato, composta da appartamenti su più livelli, oltre a posti auto e box. Prezzo base € 8.452.103,30 (offerta minima € 6.339.077,48). Data vendita 11/03/2026 ore 16:00. Professionista delegato alla vendita Avv. Andrea Lenzo - Email "a.lenzo@studiolegalebalbi.it"; Tel. 010252321. Custode Giudiziario Dott. Renata Boilini - Email "immobiliare@sovemo.com"; Tel. 0105299253. Rif. Tribunale di Genova - Esecuzione immobiliare post legge 80 n. 174/2020

Superficie 1656,00 mq
Vani 15,00
Bagni
Piano 0

Tipologia di vendita Giudiziaria
Modalità di vendita Sincrona mista
Termine presentazione offerte 09/03/2026 ore 12:00
Data e ora inizio gara 11/03/2026 ore 16:00
Codice ID astegiudiziarie.it 4342853
15,00
1656,00
0
€ 8.452.103

Ti interessa questa vendita?

north_east

Clicca qui per essere indirizzato alla scheda sul sito di provenienza

Bene di astegiudiziarie.it