highlight_off
Riferimento annuncio 155591 info

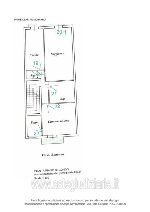
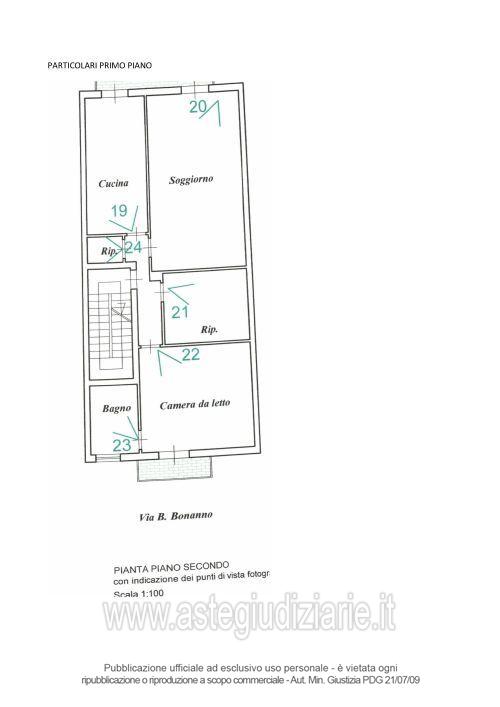
Appartamento Via B. Bonanno, 192, 93012 Gela CL, Italia, 93012 Gela (CL)

0
€ 14.810
Vendita all'asta Senza incanto, con gara telematica sincrona mista - LOTTO 4: Appartamento a terzo piano. Prezzo base € 14.810,00 (offerta minima € 11.107,50). Data vendita 14/11/2025 ore 16:00. Giudice Dott. Patrizia Castellano. Professionista delegato alla vendita Avv. Mario Francesco Gaetano Cosenza - Email "astegiudiziarie.gela@gmail.com"; Cell. 3337620438. Custode Giudiziario Avv. Mario Francesco Gaetano Cosenza - Email "astegiudiziarie.gela@gmail.com"; Cell. 3337620438. Rif. Tribunale di Gela - Esecuzione immobiliare post legge 80 n. 66/2009

Superficie mq
Vani
Bagni
Piano 0

Tipologia di vendita Giudiziaria
Modalità di vendita Sincrona mista
Termine presentazione offerte 01/01/1900 ore 00:00
Data e ora inizio gara 14/11/2025 ore 16:00
Codice ID astegiudiziarie.it 234423
0
€ 14.810

Ti interessa questa vendita?

north_east

Clicca qui per essere indirizzato alla scheda sul sito di provenienza

Bene di astegiudiziarie.it