highlight_off
Riferimento annuncio 331152 info

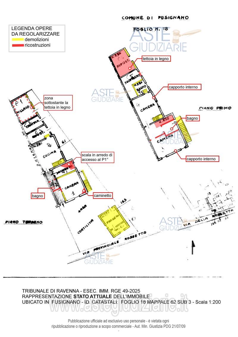
Appartamento Via Rossetta II PUNTA, 87, 48032 Rossetta RA, Italia, 48010 Fusignano (RA)

168,85
0
€ 151.000
Vendita all'asta Senza incanto, con gara telematica asincrona - LOTTO UNICO: EDIFICIO DI CIVILE ABITAZIONE CIELO-TERRA, CON ACCESSO INDIPENDENTE, DISPOSTA SU DUE PIANI. Prezzo base € 151.000,00 (offerta minima € 113.250,00). Data inizio operazioni di vendita: 26/05/2026 ore 11:00. Giudice: Dott. Paolo Gilotta. Professionista delegato alla vendita: Avv. Maurizio Pavirani. Custode Giudiziario: Avv. Maurizio Pavirani - Email "mpavirani@paviraniassociati.it". Rif. Tribunale di Ravenna - Espropriazione immobiliare (cartabia) n. 49/2025

Superficie 168,85 mq
Vani
Bagni
Piano 0

Tipologia di vendita Giudiziaria
Modalità di vendita Asincrona telematica
Termine presentazione offerte 25/05/2026 ore 23:59
Data e ora inizio gara 26/05/2026 ore 11:00
Codice ID astegiudiziarie.it 4348963
168,85
0
€ 151.000

Ti interessa questa vendita?

north_east

Clicca qui per essere indirizzato alla scheda sul sito di provenienza

Bene di astegiudiziarie.it