highlight_off
Riferimento annuncio 322028 info

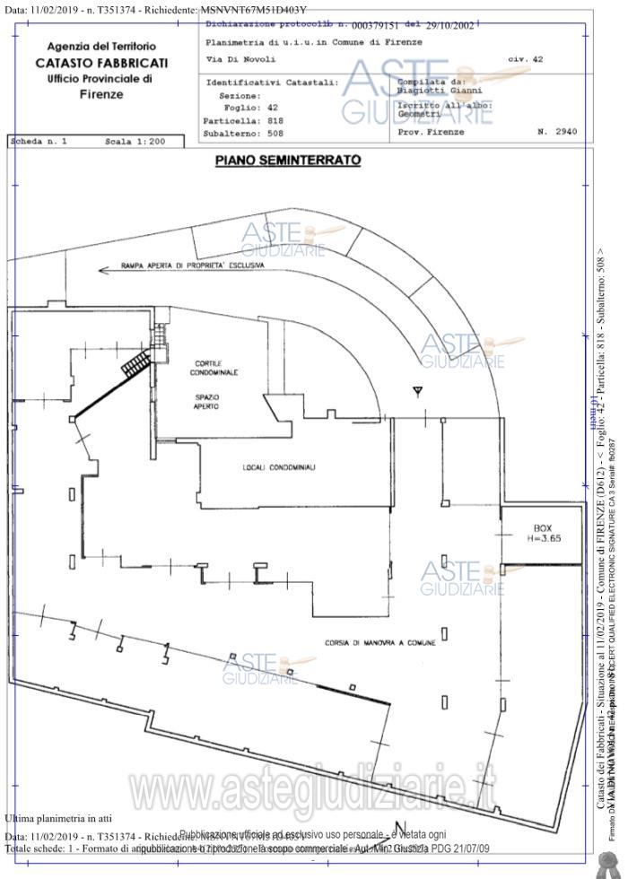
Appartamento Via NOVOLI DI 42/B e 42/C, 50100 Firenze (FI)

120,00
0
€ 300.000
Vendita all'asta Senza incanto, con gara telematica sincrona - LOTTO UNICO: Piena proprietà di un appartamento ad uso civile abitazione e di un box auto di pertinenza. Prezzo base € 300.000,00 (offerta minima € 225.000,00). Data vendita 27/02/2026 ore 15:30. Giudice Giovanna Mazza. Professionista delegato alla vendita Dott. Stefano Berti - Email "stefano.berti@studioberti.fi.it". Custode Giudiziario Istituto Vendite Giudiziarie Di Firenze - Email "prenota.fi@isveg.it"; Tel. 0552340830. Rif. Tribunale di Firenze - Esecuzione immobiliare post legge 80 n. 60/2018

Superficie 120,00 mq
Vani
Bagni
Piano 0

Tipologia di vendita Giudiziaria
Modalità di vendita Sincrona telematica
Termine presentazione offerte 01/01/1900 ore 00:00
Data e ora inizio gara 27/02/2026 ore 15:30
Codice ID astegiudiziarie.it 4341675
120,00
0
€ 300.000

Ti interessa questa vendita?

north_east

Clicca qui per essere indirizzato alla scheda sul sito di provenienza

Bene di astegiudiziarie.it