highlight_off
Riferimento annuncio 265020 info

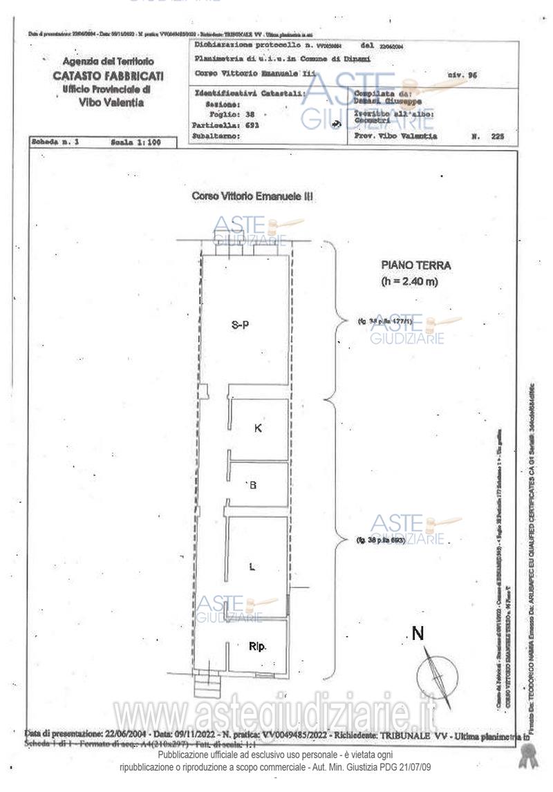
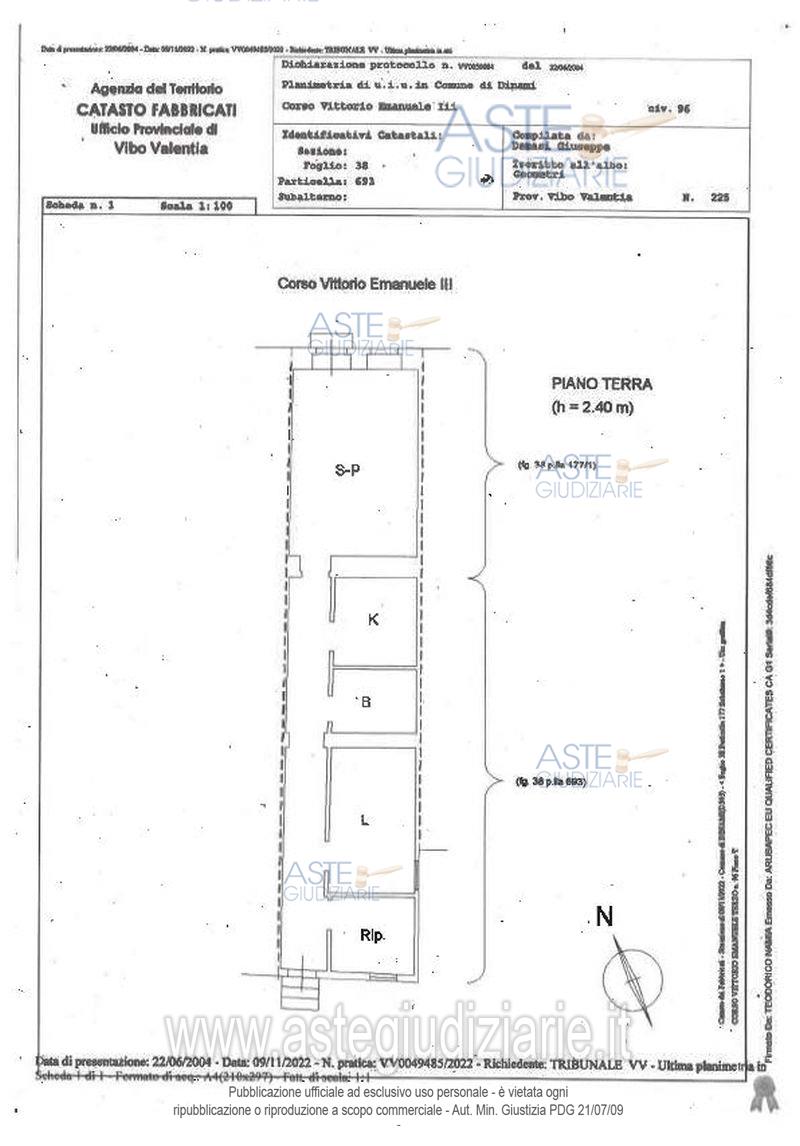
Appartamento Frazione di Monsoreto, Corso Vittorio Emanuele III, 96, 89833 Dinami (VV)

4,00
500,00
0
€ 19.683
Vendita all'asta Senza incanto, con gara telematica sincrona mista - LOTTO UNICO: Immobile per civile abitazione posto al piano terra di vani 4, composto da ingresso, zona pranzo / cucina, bagno, letto con ripostiglio annesso. Superficie catastale e commerciale di mq 64. Prezzo base € 19.683,00 (offerta minima € 14.762,25). Data vendita 03/03/2026 ore 11:00. Giudice Dott. Giulia Orefice. Professionista delegato alla vendita Avv. Anna Figliano - Email "studiolegalefigliano@libero.it"; Tel. 0963269488. Custode Giudiziario Avv. Anna Figliano - Email "studiolegalefigliano@libero.it"; Tel. 0963269488. Rif. Tribunale di Vibo Valentia - Esecuzione immobiliare post legge 80 n. 55/2021

Superficie 500,00 mq
Vani 4,00
Bagni
Piano 0

Tipologia di vendita Giudiziaria
Modalità di vendita Sincrona mista
Termine presentazione offerte 01/01/1900 ore 00:00
Data e ora inizio gara 03/03/2026 ore 11:00
Codice ID astegiudiziarie.it 4298631
4,00
500,00
0
€ 19.683

Ti interessa questa vendita?

north_east

Clicca qui per essere indirizzato alla scheda sul sito di provenienza

Bene di astegiudiziarie.it