highlight_off
Riferimento annuncio 309531 info

Appartamento Via Gondar, 15, 00053 Civitavecchia (RM)

7,00
104,09
1
€ 138.750
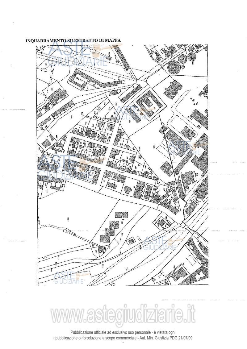
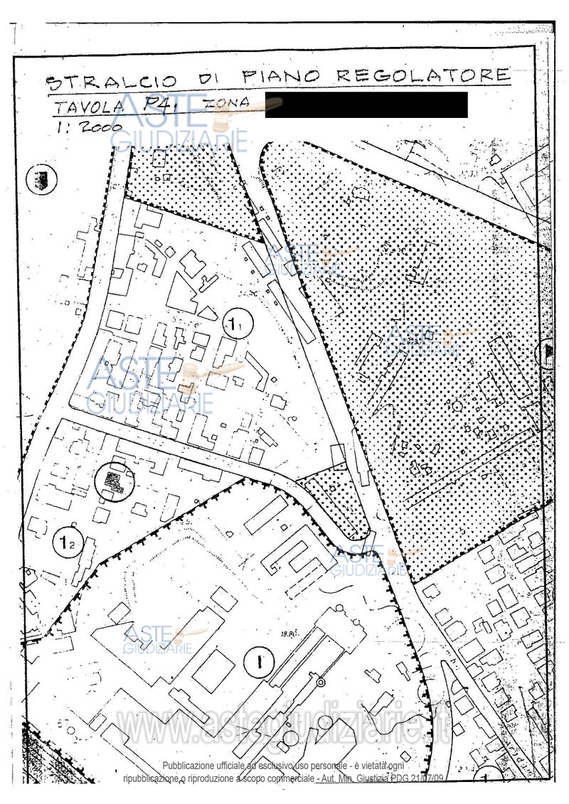
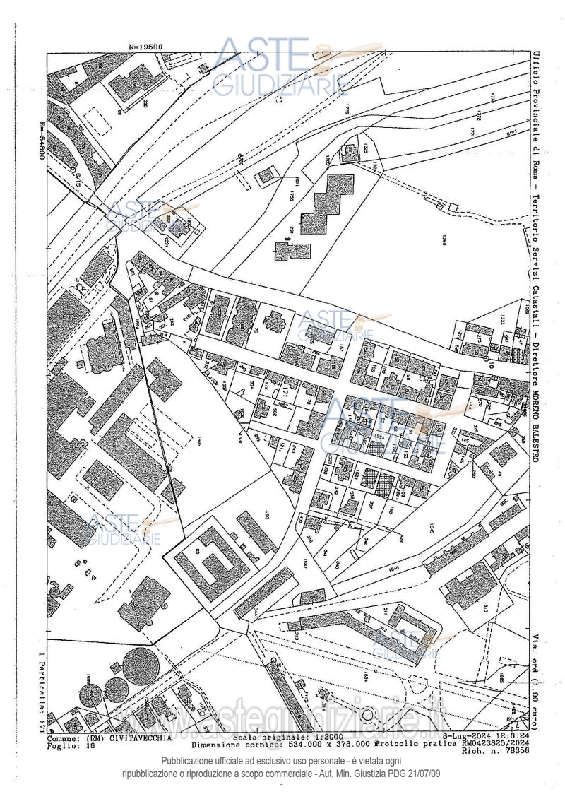
Vendita all'asta Senza incanto, con gara telematica asincrona - LOTTO 0: Piena proprietà su appartamento posto al primo piano con accesso attraverso il vialetto di pertinenza esclusiva posto al piano terra composto di soggiorno, cucina, studio, due bagni, due camere, un ripostiglio, disimpegno, un terrazzino e un balcone. Identificato in Catasto Urbano al foglio 16, particella 171, subalterno 6, graffato con subalterno 3 Categoria A/4, consistenza 7 vani. Difformità come da perizia di stima. Prezzo base € 138.750,00 (offerta minima € 104.062,50). Data inizio operazioni di vendita: 12/01/2026 ore 15:30. Giudice Stefano Palmaccio. Professionista delegato alla vendita Avv. Renato Arseni - Email "avv.renato.arseni@gmail.com"; Tel. 069953073. Custode Giudiziario Avv. Renato Arseni - Email "avv.renato.arseni@gmail.com"; Tel. 069953073. Rif. Tribunale di Civitavecchia - Espropriazione immobiliare (cartabia) n. 62/2024

Superficie 104,09 mq
Vani 7,00
Bagni
Piano 1

Tipologia di vendita Giudiziaria
Modalità di vendita Asincrona telematica
Termine presentazione offerte 01/01/1900 ore 00:00
Data e ora inizio gara 12/01/2026 ore 15:30
Codice ID astegiudiziarie.it 4331240
7,00
104,09
1
€ 138.750

Ti interessa questa vendita?

north_east

Clicca qui per essere indirizzato alla scheda sul sito di provenienza

Bene di astegiudiziarie.it