highlight_off
Riferimento annuncio 314922 info

Appartamento Via Nazionale, 29, 02015 Cittaducale (RI)

7,00
1
0
€ 54.844
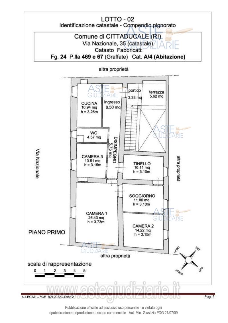
Vendita all'asta Senza incanto, con gara telematica asincrona - LOTTO 2: Piena proprietà per la quota di 1/1 Edificio ad uso residenziale ABITAZIONE indipendente Comune di CITTADUCALE (RI) – 02015 Centro Storico Capoluogo Via Nazionale n. 29; Edificio “terra-tetto”, autonomo, indipendente, ubicato nella cinta esterna nord del centro storico con ingresso ed affaccio principale sulla Via Nazionale (“ex Salaria”) civico n. 29 (catastalmente n. 35). L’edificio, risalente al XIX sec. si sviluppa su due livelli p.terra e primo. Prezzo base € 54.843,75 (offerta minima € 41.132,81). Data inizio operazioni di vendita: 13/07/2026 ore 11:20. Giudice: Roberto Colonnello. Professionista delegato alla vendita: Avv. Francesca Blasi - Email "francesca@avvocatoblasi.it"; Tel. 0746/204591; Cell. 333/1710346. Custode Giudiziario: Avv. Francesca Blasi - Email "francesca@avvocatoblasi.it"; Tel. 0746/204591; Cell. 333/1710346. Rif. Tribunale di Rieti - Esecuzione immobiliare post legge 80 n. 92/2022

Superficie mq
Vani 7,00
Bagni 1
Piano 0

Tipologia di vendita Giudiziaria
Modalità di vendita Asincrona telematica
Termine presentazione offerte 01/01/1900 ore 00:00
Data e ora inizio gara 13/07/2026 ore 11:20
Codice ID astegiudiziarie.it 4335900
7,00
1
0
€ 54.844

Ti interessa questa vendita?

north_east

Clicca qui per essere indirizzato alla scheda sul sito di provenienza

Bene di astegiudiziarie.it