highlight_off
Riferimento annuncio 301337 info

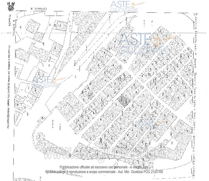
Appartamento Via Berta, 2, 60043 Cerreto d'Esi AN, Italia, 60043 Cerreto d'Esi (AN)

3,90
78,00
1
0
€ 20.194
Vendita all'asta Senza incanto, con gara telematica asincrona - LOTTO 1: Fabbricato civile ubicato a Cerreto d'Esi (AN) - via Berta n. 2, piano T-1-2 posto in vendita per ildiritto di Proprietà (1/1). Il bene consiste in un edificio di edificazione remota posto nel nucleostorico di Cerreto d’Esi, formato da piano terra, primo, e secondo. Prezzo base € 20.193,75 (offerta minima € 15.145,31). Data inizio operazioni di vendita: 21/10/2025 ore 12:45. Professionista delegato alla vendita Dott. Elisa Cesaretti. Custode Giudiziario Dott. Elisa Cesaretti - Email "e.studiocesaretti@gmail.com"; Cell. 3388419121. Rif. Tribunale di Ancona - Espropriazione immobiliare (cartabia) n. 82/2024

Superficie 78,00 mq
Vani 3,90
Bagni 1
Piano 0

Tipologia di vendita Giudiziaria
Modalità di vendita Asincrona telematica
Termine presentazione offerte 01/01/1900 ore 00:00
Data e ora inizio gara 21/10/2025 ore 12:45
Codice ID astegiudiziarie.it 4324780
3,90
78,00
1
0
€ 20.194

Ti interessa questa vendita?

north_east

Clicca qui per essere indirizzato alla scheda sul sito di provenienza

Bene di astegiudiziarie.it