highlight_off
Riferimento annuncio 268399 info

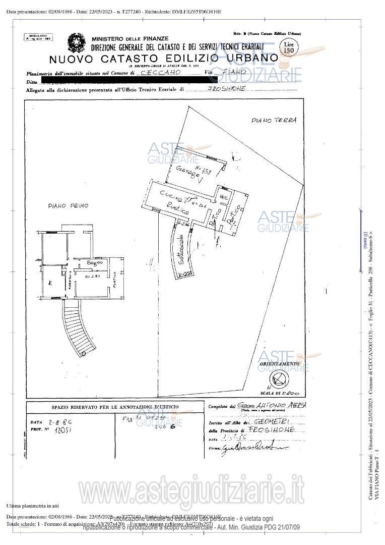
Appartamento Via Armando Diaz, 143, 03023 Ceccano (FR)

8,00
212,50
2
0
€ 61.171
Vendita all'asta Senza incanto, con gara telematica asincrona - LOTTO 1: Appartamento al piano primo e locale deposito, garage, portico e corte esclusiva di mq. 650,00. Prezzo base € 61.171,00 (offerta minima € 45.878,00). Data inizio operazioni di vendita: 19/11/2025 ore 15:15. Giudice Dott. Andrea Petteruti. Professionista delegato alla vendita Dott. Franco Silenzi - Email "silenzifranco@virgilio.it". Custode Giudiziario Dott. Franco Silenzi - Email "silenzifranco@virgilio.it". Rif. Tribunale di Frosinone - Esecuzione immobiliare post legge 80 n. 19/2023

Superficie 212,50 mq
Vani 8,00
Bagni 2
Piano 0

Tipologia di vendita Giudiziaria
Modalità di vendita Asincrona telematica
Termine presentazione offerte 18/11/2025 ore 12:00
Data e ora inizio gara 19/11/2025 ore 15:15
Codice ID astegiudiziarie.it 4296585
8,00
212,50
2
0
€ 61.171

Ti interessa questa vendita?

north_east

Clicca qui per essere indirizzato alla scheda sul sito di provenienza

Bene di astegiudiziarie.it