highlight_off
Riferimento annuncio 332858 info

Appartamento Contrada Zotta Papera o Raisa, 94010 Catenanuova (EN)

5,00
90,00
0
€ 9.342
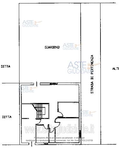
Vendita all'asta Senza incanto, con gara telematica sincrona mista - LOTTO 2: 4/6 proprietà di fabbricato di circa mq 90,00 , vani 5, piano primo. Prezzo base € 9.342,08 (offerta minima € 7.006,56). Data vendita 03/09/2026 ore 10:00. Giudice: Evelia Tricani. Professionista delegato alla vendita: Avv. Giovanni Cannata - Email "giovanni.cannata@avvnicosia.legalmail.it". Custode Giudiziario: Avv. Giovanni Cannata - Email "giovanni.cannata@avvnicosia.legalmail.it"; Tel. 0935/633083. Rif. Tribunale di Enna - Esecuzione immobiliare post legge 80 n. 66/1997

Superficie 90,00 mq
Vani 5,00
Bagni
Piano 0

Tipologia di vendita Giudiziaria
Modalità di vendita Sincrona mista
Termine presentazione offerte 01/01/1900 ore 00:00
Data e ora inizio gara 03/09/2026 ore 10:00
Codice ID astegiudiziarie.it 300450
5,00
90,00
0
€ 9.342

Ti interessa questa vendita?

north_east

Clicca qui per essere indirizzato alla scheda sul sito di provenienza

Bene di astegiudiziarie.it