highlight_off
Riferimento annuncio 328030 info

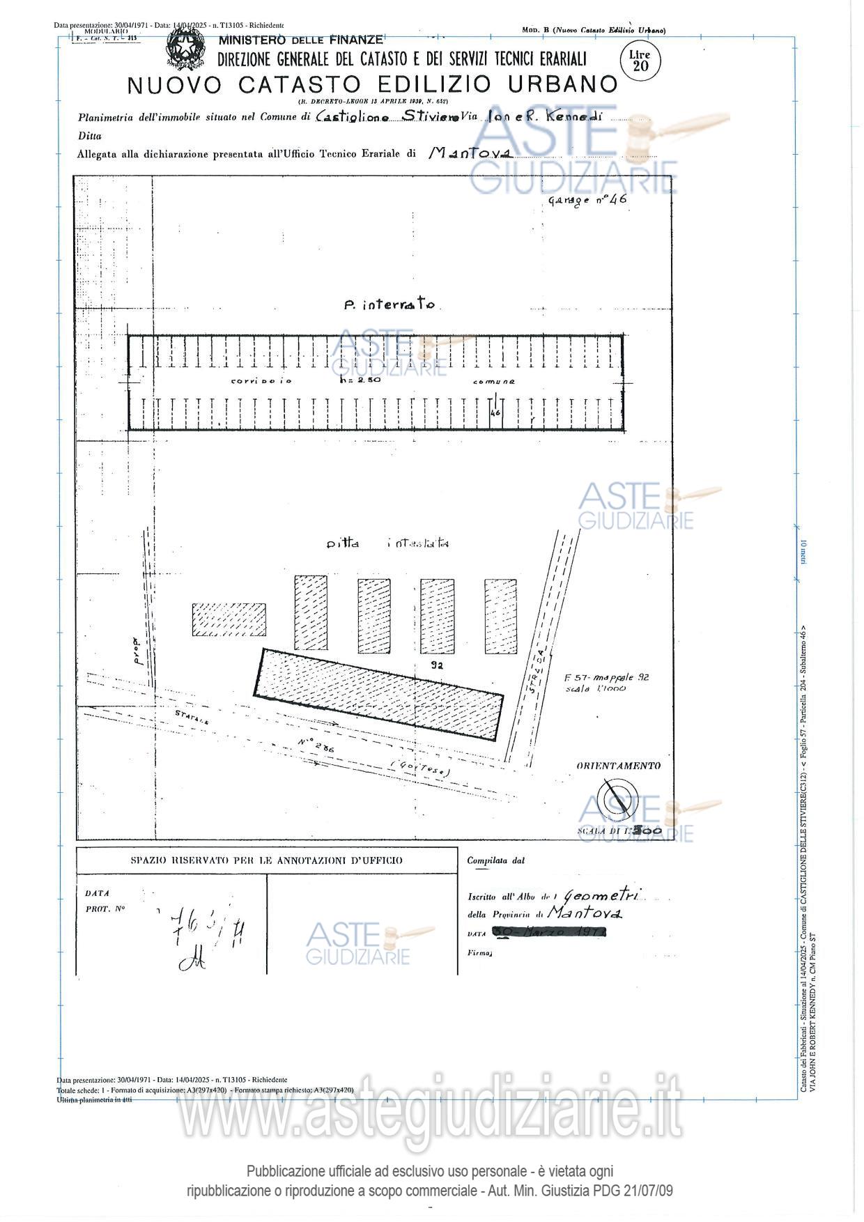
Appartamento via John e Robert Kennedy n. 38, 46043 Castiglione delle Stiviere (MN)

5,50
94,00
0
€ 25.500
Vendita all'asta Senza incanto, con gara telematica sincrona mista - LOTTO UNICO: APPARTAMENTO E GARAGE UBICATI A CASTIGLIONE DELLE STIVIERE (MN), VIA JOHN E ROBERT KENNEDY N. 38. Prezzo base € 25.500,00 (offerta minima € 19.200,00). Data vendita 28/05/2026 ore 16:00. Professionista delegato alla vendita: Avv. Pietro Zivelonghi - Email "zivelonghipietro@gmail.com"; Tel. 0376/1590520. Custode Giudiziario: Sovemo Srl - Email "immobiliaremantova@sovemo.com"; Tel. 0376/220694. Rif. Tribunale di Mantova - Espropriazione immobiliare (cartabia) n. 60/2025

Superficie 94,00 mq
Vani 5,50
Bagni
Piano 0

Tipologia di vendita Giudiziaria
Modalità di vendita Sincrona mista
Termine presentazione offerte 01/01/1900 ore 00:00
Data e ora inizio gara 28/05/2026 ore 16:00
Codice ID astegiudiziarie.it 4345835
5,50
94,00
0
€ 25.500

Ti interessa questa vendita?

north_east

Clicca qui per essere indirizzato alla scheda sul sito di provenienza

Bene di astegiudiziarie.it