highlight_off
Riferimento annuncio 279439 info

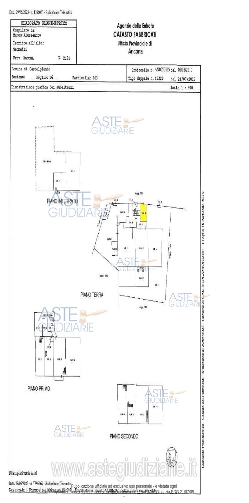
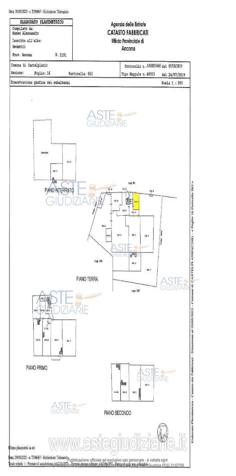
Appartamento Via Stazione, 60031 Castelplanio (AN)

5,00
126,00
0
€ 30.319
Vendita all'asta Senza incanto, con gara telematica asincrona - LOTTO 1: Piena proprietà di porzione di fabbricato costituita da un appartamento di civile abitazione posto al piano terra, con annessi corte e giardino di pertinenza; da una cantina posta al piano seminterrato e da un posto auto scoperto posto al pianoterra. Prezzo base € 30.319,37 (offerta minima € 22.740,00). Data inizio operazioni di vendita: 12/03/2026 ore 10:00. Professionista delegato alla vendita Avv. Alessandro Maria Brunetti - Email "segreteria@asteavvocati.it"; Tel. 0719940177. Custode Giudiziario Avv. Silvia Bugatti - Email "silviabugatti@hotmail.it". Rif. Tribunale di Ancona - Espropriazione immobiliare (cartabia) n. 67/2023

Superficie 126,00 mq
Vani 5,00
Bagni
Piano 0

Tipologia di vendita Giudiziaria
Modalità di vendita Asincrona telematica
Termine presentazione offerte 11/03/2026 ore 12:00
Data e ora inizio gara 12/03/2026 ore 10:00
Codice ID astegiudiziarie.it 4307955
5,00
126,00
0
€ 30.319

Ti interessa questa vendita?

north_east

Clicca qui per essere indirizzato alla scheda sul sito di provenienza

Bene di astegiudiziarie.it