highlight_off
Riferimento annuncio 298548 info

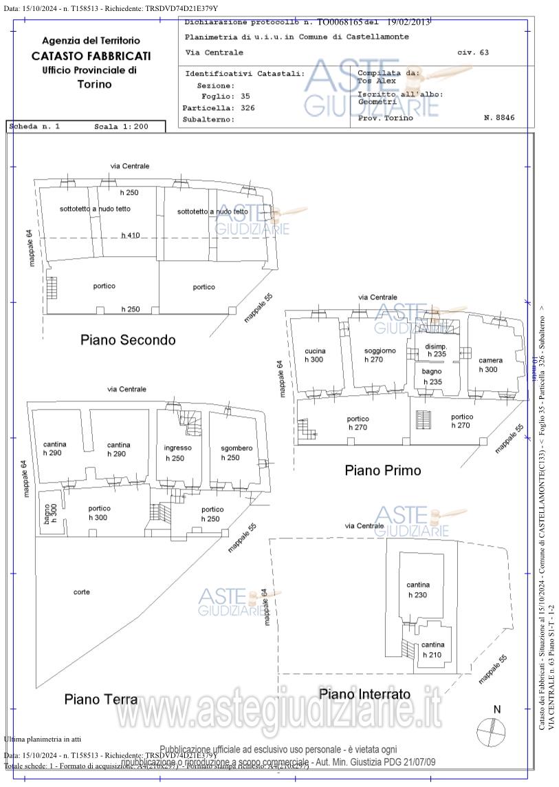
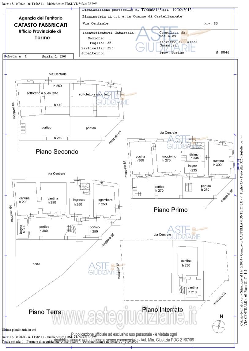
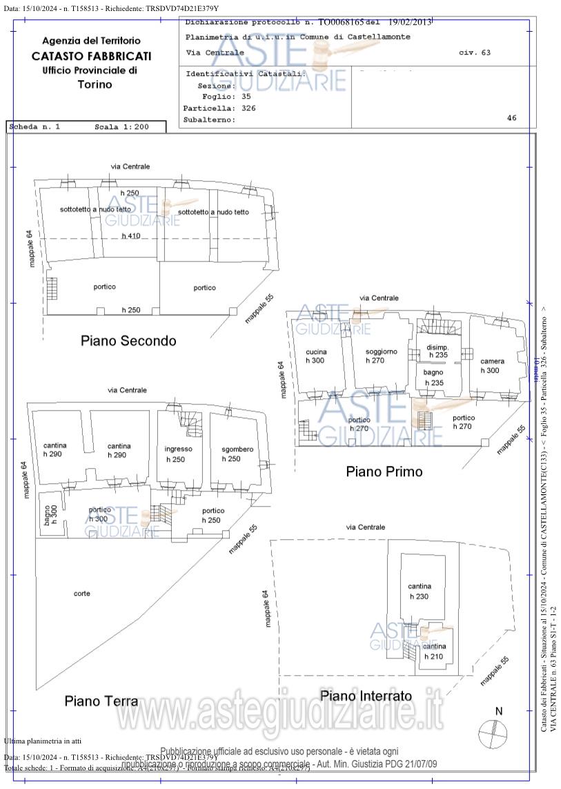
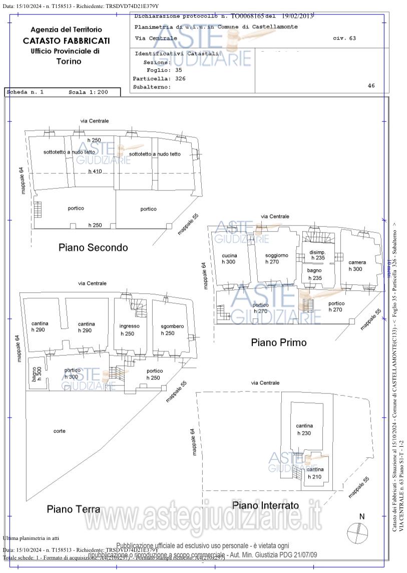
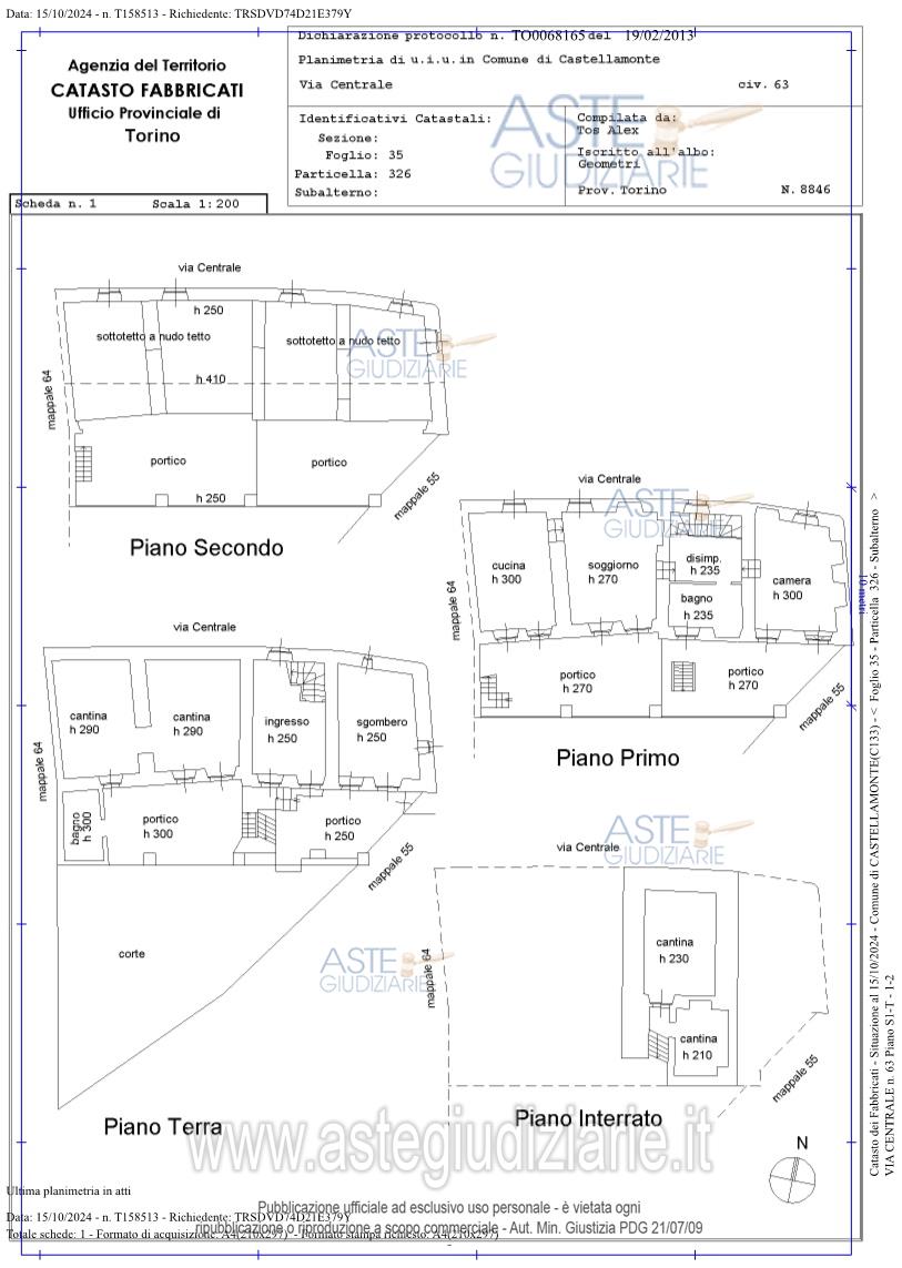
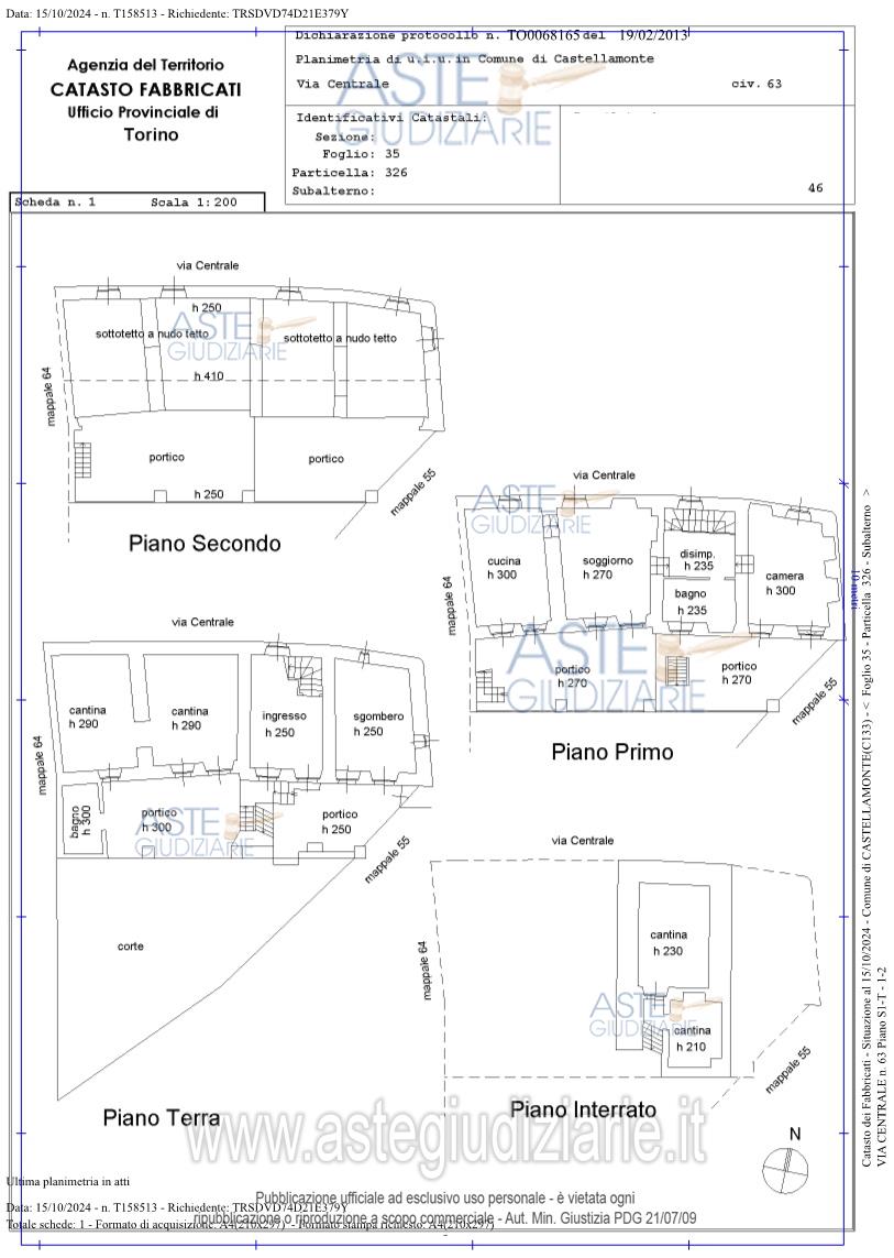
Appartamento Via Centrale, 63, 10010 San Giovanni TO, Italia, 10081 Castellamonte (TO)

7,50
215,00
1
0
€ 56.813
Vendita all'asta Senza incanto, con gara telematica asincrona - LOTTO UNICO: Unità immobiliare abitativa dislocata su tre livelli fuori terra ed uno entroterra con cantine. Prezzo base € 56.812,50 (offerta minima € 42.609,38). Data inizio operazioni di vendita: 02/12/2025 ore 09:15. Professionista delegato alla vendita Avv. Emanuela Milano - Email "emamilano@libero.it"; Cell. 3393587861. Custode Giudiziario Torino Ifir Piemonte - Email "richiestevisite.ivrea@ivgpiemonte.it". Rif. Tribunale di Ivrea - Espropriazione immobiliare (cartabia) n. 147/2024

Superficie 215,00 mq
Vani 7,50
Bagni 1
Piano 0

Tipologia di vendita Giudiziaria
Modalità di vendita Asincrona telematica
Termine presentazione offerte 01/12/2025 ore 12:00
Data e ora inizio gara 02/12/2025 ore 09:15
Codice ID astegiudiziarie.it 4322614
7,50
215,00
1
0
€ 56.813

Ti interessa questa vendita?

north_east

Clicca qui per essere indirizzato alla scheda sul sito di provenienza

Bene di astegiudiziarie.it