highlight_off
Riferimento annuncio 258754 info

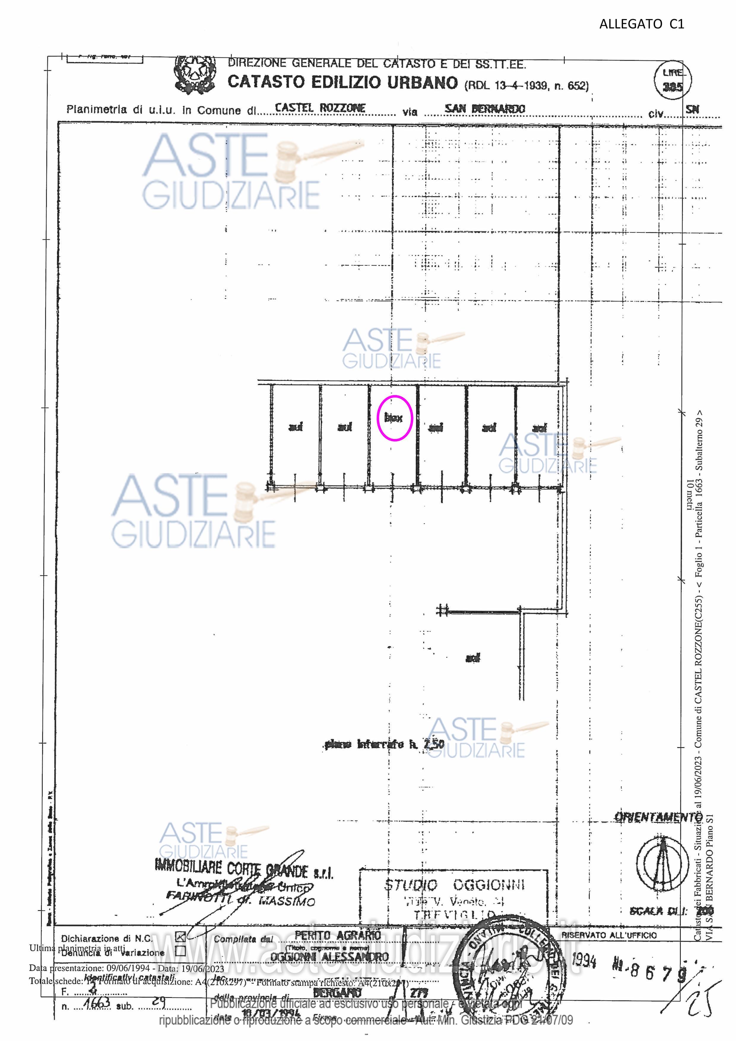
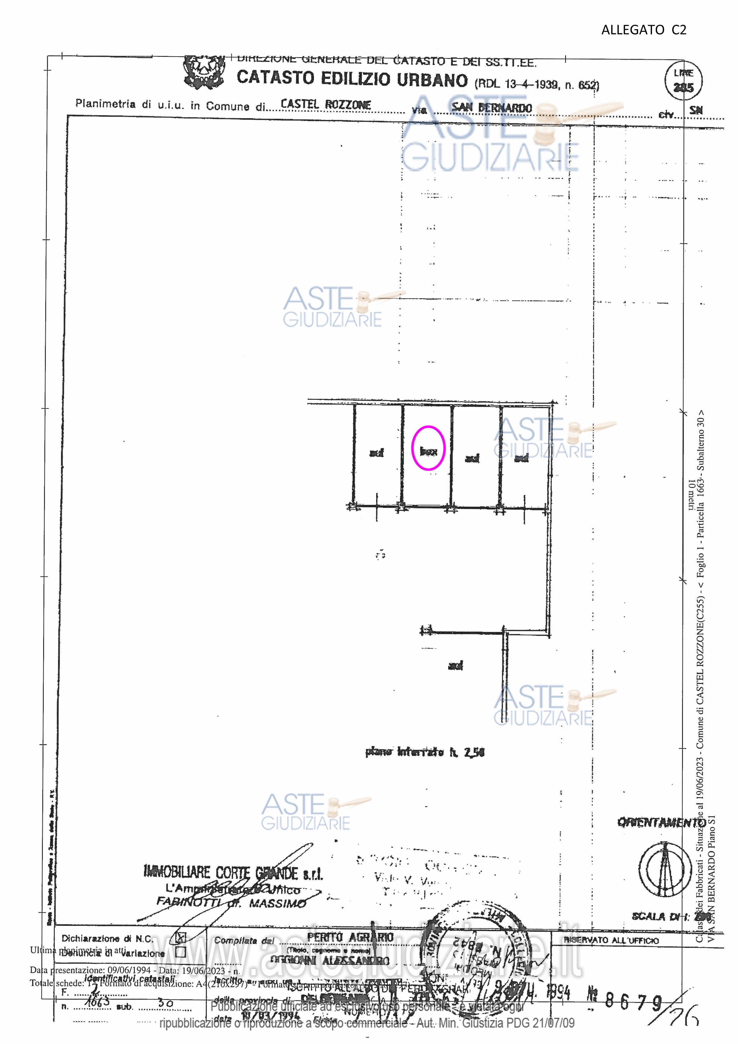
Appartamento VIA SAN BERNARDO 22, 24040 Castel Rozzone (BG)

18,00
0
€ 9.104
Vendita all'asta Senza incanto, con gara telematica asincrona - LOTTO UNICO: Autorimessa al piano interrato. Prezzo base € 9.103,94 (offerta minima € 6.827,96). Data inizio operazioni di vendita: 27/11/2025 ore 15:30. Professionista delegato alla vendita Dott. Vincenzo Simone - Email "V.SIMONE@BONOMELLIFRANZONI.COM"; Tel. 035248297. Custode Giudiziario Dott. Mauro Freti - Email "mauro.freti@studiofretieassociati.it"; Tel. 035248378. Rif. Tribunale di Bergamo - Esecuzione immobiliare post legge 80 n. 59/2023

Superficie 18,00 mq
Vani
Bagni
Piano 0

Tipologia di vendita Giudiziaria
Modalità di vendita Asincrona telematica
Termine presentazione offerte 01/01/1900 ore 00:00
Data e ora inizio gara 27/11/2025 ore 15:30
Codice ID astegiudiziarie.it 4292897
18,00
0
€ 9.104

Ti interessa questa vendita?

north_east

Clicca qui per essere indirizzato alla scheda sul sito di provenienza

Bene di astegiudiziarie.it