highlight_off
Riferimento annuncio 309405 info

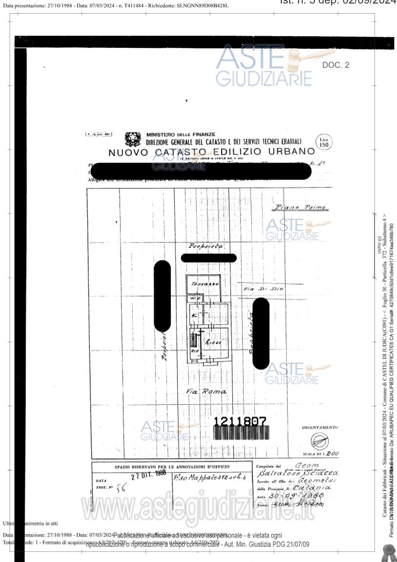
Appartamento via Roma n. 126, 95040 Castel di Iudica (CT)

3,50
95,00
0
€ 18.563
Vendita all'asta Senza incanto, con gara telematica sincrona mista - LOTTO UNICO: Abitazione sita nel comune di Castel di Iudica, posta al piano primo con ingresso dalla via Roma n. 126 censita al catasto fabbricati al foglio 30, particella 372 sub 4, categ. A/3, cl 3, consistenza vani 3,5, rendita € 234,99. Classe “G”. Prezzo base € 18.562,50 (offerta minima € 13.921,87). Data vendita 08/10/2026 ore 18:00. Professionista delegato alla vendita: Avv. Francesca Sagone - Email "francescasagone@virgilio.it"; Tel. 0933/1960311; Cell. 333/3616046. Custode Giudiziario: Avv. Francesca Sagone - Email "francescasagone@virgilio.it"; Tel. 0933/1960311; Cell. 333/3616046. Rif. Tribunale di Caltagirone - Esecuzione immobiliare post legge 80 n. 10/2023

Superficie 95,00 mq
Vani 3,50
Bagni
Piano 0

Tipologia di vendita Giudiziaria
Modalità di vendita Sincrona mista
Termine presentazione offerte 07/10/2026 ore 12:00
Data e ora inizio gara 08/10/2026 ore 18:00
Codice ID astegiudiziarie.it 4331164
3,50
95,00
0
€ 18.563

Ti interessa questa vendita?

north_east

Clicca qui per essere indirizzato alla scheda sul sito di provenienza

Bene di astegiudiziarie.it