highlight_off
Riferimento annuncio 283974 info

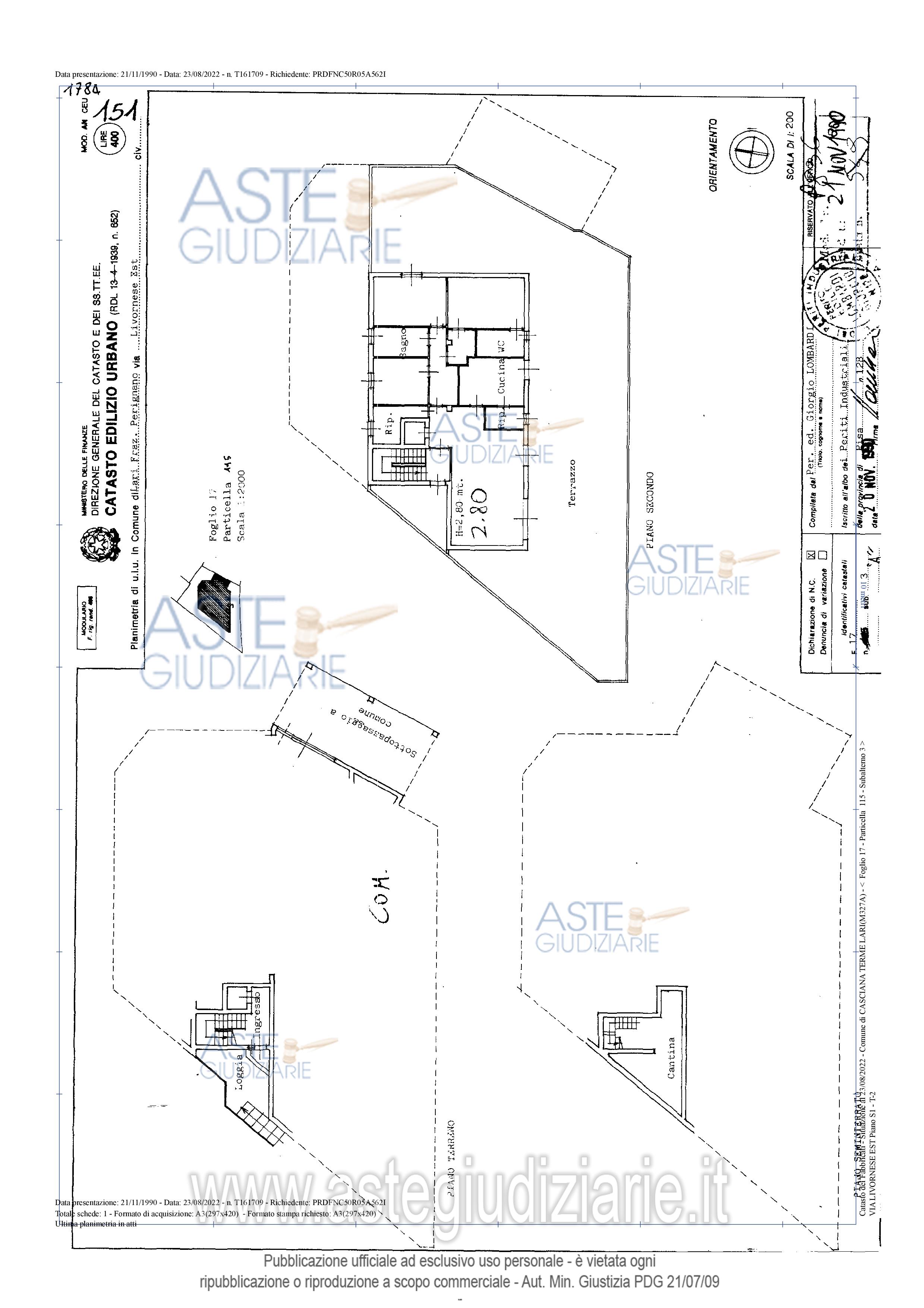
Appartamento Via Livornese Est, 193, 56035 Perignano PI, Italia, 56035 Casciana Terme Lari (PI)

9,00
260,00
2
€ 135.548
Vendita all'asta Senza incanto, con gara telematica asincrona - LOTTO UNICO: Appartamento situato al piano secondo, inserito in più ampio fabbricato a destinazione mista, completo di terrazze, cantina e loggia, di superficie convenzionale complessiva di 229,50 mq . Prezzo base € 135.548,44 (offerta minima € 101.661,33). Data inizio operazioni di vendita: 20/03/2026 ore 10:00. Giudice Dott. Marco Zinna. Professionista delegato alla vendita Dott. Andrea Ciuti - Email "ANDREA@STUDIO-CIUTI.IT"; Tel. 050779042. Custode Giudiziario Dott. Cosimo Erriquez - Email "prenotazionipisa@astagiudiziaria.com"; Cell. 3468748140; Tel. 3468748140. Rif. Tribunale di Pisa - Esecuzione immobiliare post legge 80 n. 15/2022

Superficie 260,00 mq
Vani 9,00
Bagni
Piano 2

Tipologia di vendita Giudiziaria
Modalità di vendita Asincrona telematica
Termine presentazione offerte 19/03/2026 ore 13:00
Data e ora inizio gara 20/03/2026 ore 10:00
Codice ID astegiudiziarie.it 4311449
9,00
260,00
2
€ 135.548

Ti interessa questa vendita?

north_east

Clicca qui per essere indirizzato alla scheda sul sito di provenienza

Bene di astegiudiziarie.it