highlight_off
Riferimento annuncio 331851 info

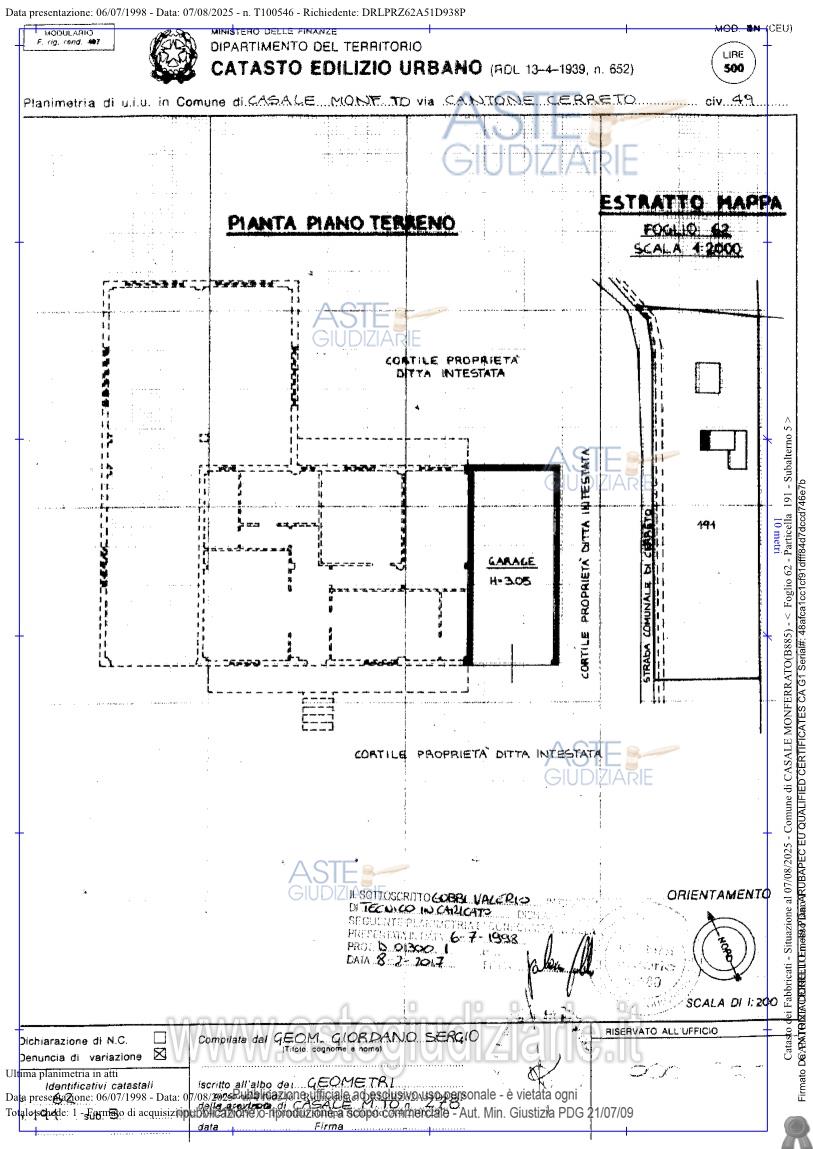
Appartamento Cantone Cerreto, 49, 15033 Santa Maria del Tempio AL, Italia, 15033 Casale Monferrato (AL)

6,00
148,00
0
€ 138.809
Vendita all'asta Senza incanto, con gara telematica asincrona - LOTTO UNICO: Nel fabbricato di civile abitazione elevato a un piano fuori terra:-al piano rialzato: appartamento composto da ingresso-soggiorno, cucina con ripostiglio, due bagni e due camere da letto.L’accesso all’appartamento avviene tramite breve rampa di scala dal piano cortilizio e poi dal terrazzo posizionato a sud-ovest; un secondo terrazzo disimpegna a nord-est le camere da letto.-al piano terreno: autorimessa;-al piano terreno: magazzino. Prezzo base € 138.809,34 (offerta minima € 104.107,01). Data inizio operazioni di vendita: 09/06/2026 ore 10:00. Professionista delegato alla vendita: Avv. Domenico Monteleone - Email "vendite@bcmz.it"; Tel. 0161/1896180. Custode Giudiziario: Avv. Domenico Monteleone - Email "vendite@bcmz.it"; Tel. 0161/1896180. Rif. Tribunale di Vercelli - Espropriazione immobiliare (cartabia) n. 46/2025

Superficie 148,00 mq
Vani 6,00
Bagni
Piano 0

Tipologia di vendita Giudiziaria
Modalità di vendita Asincrona telematica
Termine presentazione offerte 08/06/2026 ore 12:00
Data e ora inizio gara 09/06/2026 ore 10:00
Codice ID astegiudiziarie.it 4349387
6,00
148,00
0
€ 138.809

Ti interessa questa vendita?

north_east

Clicca qui per essere indirizzato alla scheda sul sito di provenienza

Bene di astegiudiziarie.it