highlight_off
Riferimento annuncio 306681 info

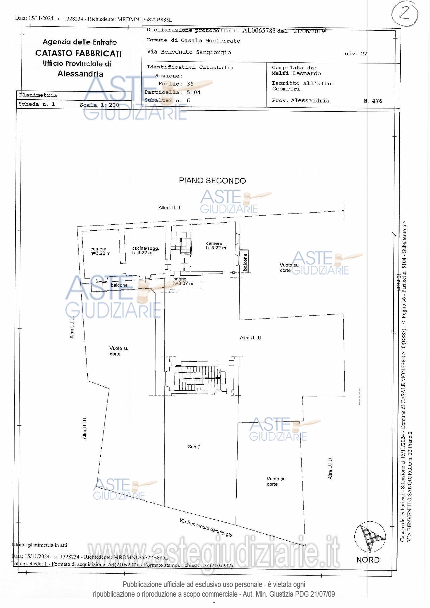
Appartamento Via Benvenuto Sangiorgio, 22, 15033 Casale Monferrato AL, Italia, 15033 Casale Monferrato (AL)

4,00
94,00
2
€ 39.863
Vendita all'asta Senza incanto, con gara telematica asincrona - LOTTO 2: Unità residenziale posta al piano secondo, ma non a regime condominiale. L’unità è accessibile dal cortile (presunto comune) da scala interna che serve tutte e due le unità poste in vendita e si sviluppa su un unico piano con ingresso su cucina/soggiorno ed una camera serviti da balcone. Il bagno si trova sul pianerottolo esterno. L’unità ha di pertinenza una ulteriore camera non comunicante ma accessibile dal medesimo pianerottolo ove è ubicato il bagno e parte di un balcone non direttamente accessibile. . Prezzo base € 39.862,50 (offerta minima € 29.896,87). Data inizio operazioni di vendita: 04/11/2025 ore 16:00. Giudice Edoardo Gaspari. Professionista delegato alla vendita Avv. Francesca Olmo - Email "avv.francescaolmo@gmail.com"; Tel. 0161210172. Custode Giudiziario Avv. Francesca Olmo - Email "avv.francescaolmo@gmail.com"; Tel. 0161210172. Rif. Tribunale di Vercelli - Espropriazione immobiliare (cartabia) n. 164/2024

Superficie 94,00 mq
Vani 4,00
Bagni
Piano 2

Tipologia di vendita Giudiziaria
Modalità di vendita Asincrona telematica
Termine presentazione offerte 03/11/2025 ore 12:00
Data e ora inizio gara 04/11/2025 ore 16:00
Codice ID astegiudiziarie.it 4329069
4,00
94,00
2
€ 39.863

Ti interessa questa vendita?

north_east

Clicca qui per essere indirizzato alla scheda sul sito di provenienza

Bene di astegiudiziarie.it