highlight_off
Riferimento annuncio 331897 info

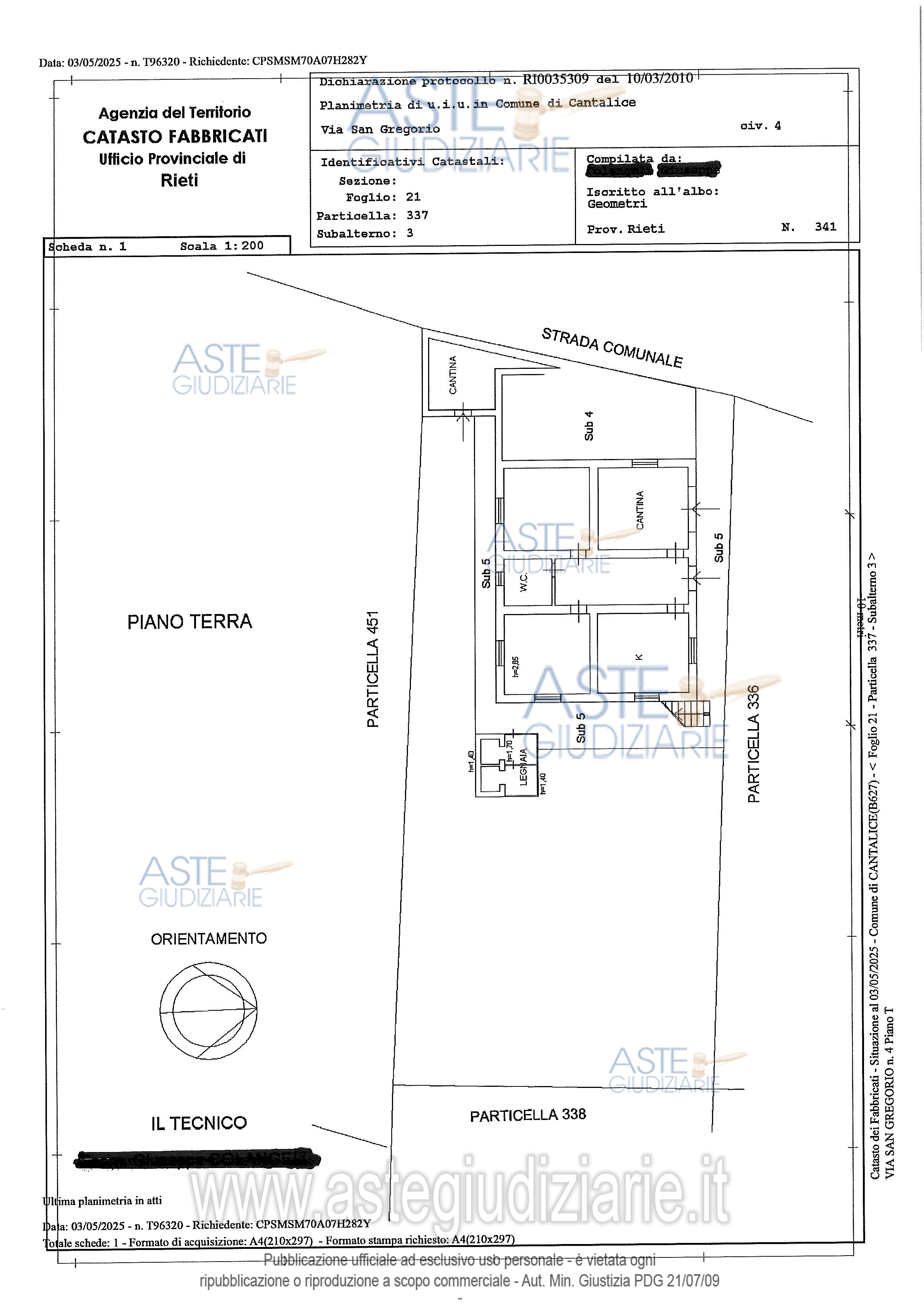
Appartamento Via San Gregorio, snc, 02014 Cantalice (RI)

6,50
125,00
0
€ 14.100
Vendita all'asta Senza incanto, con gara telematica asincrona - LOTTO 2: Immobile sito nel Comune di Cantalice (RI) in Via S. Gregorio snc, Diritto di usufrutto per la quota di 1/1, L'appartamento è composto da un disimpegno, una cucina con balcone, un soggiorno/pranzo anch'esso con balcone. La zona notte, accessibile da un disimpegno , include un ripostiglio , un bagno , uno studio e due camere da letto entrambe con balcone. Prezzo base € 14.100,00 (offerta minima € 10.575,00). Data inizio operazioni di vendita: 13/07/2026 ore 10:20. Giudice: Marilina Guglielmi. Professionista delegato alla vendita: Avv. Massimiliano Rosati - Email "avv.mrosati@gmail.com"; Tel. 0746/498729. Custode Giudiziario: Avv. Massimiliano Rosati - Email "avv.mrosati@gmail.com"; Tel. 0746/498729. Rif. Tribunale di Rieti - Espropriazione immobiliare (cartabia) n. 88/2024

Superficie 125,00 mq
Vani 6,50
Bagni
Piano 0

Tipologia di vendita Giudiziaria
Modalità di vendita Asincrona telematica
Termine presentazione offerte 01/01/1900 ore 00:00
Data e ora inizio gara 13/07/2026 ore 10:20
Codice ID astegiudiziarie.it 4349617
6,50
125,00
0
€ 14.100

Ti interessa questa vendita?

north_east

Clicca qui per essere indirizzato alla scheda sul sito di provenienza

Bene di astegiudiziarie.it