highlight_off
Riferimento annuncio 331896 info

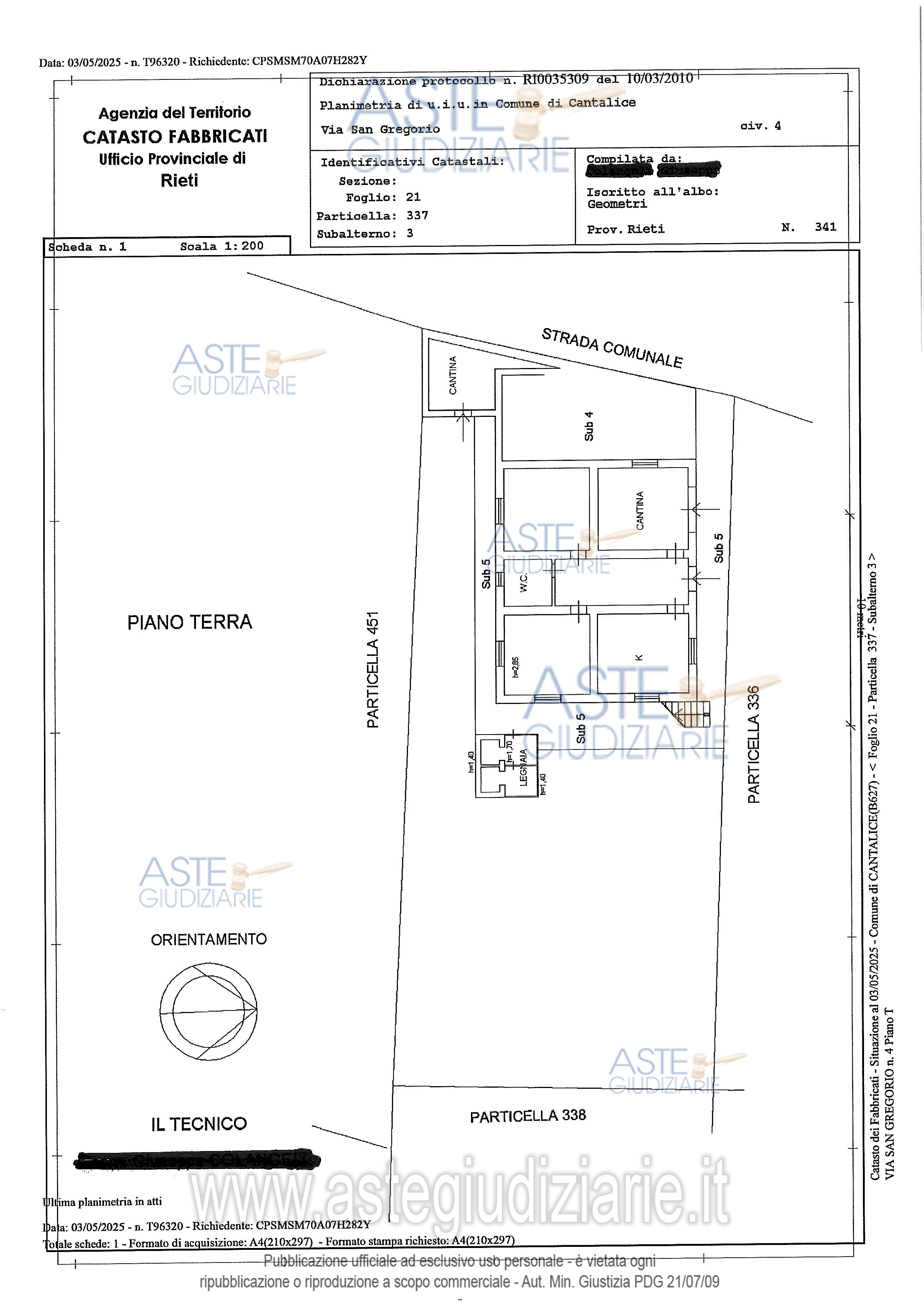
Appartamento Via San Gregorio, snc, 02014 Cantalice (RI)

4,50
117,00
0
€ 53.050
Vendita all'asta Senza incanto, con gara telematica asincrona - LOTTO 1: Immobile sito nel Comune di Cantalice (RI) in Via S. Gregorio snc, Diritti pari a 1/1 della piena proprietà, sita al piano terra di una palazzina di due unità complessive, si accede direttamente al piano terra tramite un disimpegno, dal quale si distribuiscono tutti gli ambienti principali: una cucina/pranzo una cantina comunicante , due camere da letto rispettivamente e un Wc. Prezzo base € 53.050,00 (offerta minima € 39.787,50). Data inizio operazioni di vendita: 13/07/2026 ore 10:20. Giudice: Marilina Guglielmi. Professionista delegato alla vendita: Avv. Massimiliano Rosati - Email "avv.mrosati@gmail.com"; Tel. 0746/498729. Custode Giudiziario: Avv. Massimiliano Rosati - Email "avv.mrosati@gmail.com"; Tel. 0746/498729. Rif. Tribunale di Rieti - Espropriazione immobiliare (cartabia) n. 88/2024

Superficie 117,00 mq
Vani 4,50
Bagni
Piano 0

Tipologia di vendita Giudiziaria
Modalità di vendita Asincrona telematica
Termine presentazione offerte 01/01/1900 ore 00:00
Data e ora inizio gara 13/07/2026 ore 10:20
Codice ID astegiudiziarie.it 4349616
4,50
117,00
0
€ 53.050

Ti interessa questa vendita?

north_east

Clicca qui per essere indirizzato alla scheda sul sito di provenienza

Bene di astegiudiziarie.it