highlight_off
Riferimento annuncio 305750 info

Appartamento Via Torino, 35, 13862 Brusnengo BI, Italia, 13862 Brusnengo (BI)

8,00
187,00
1
0
€ 81.150
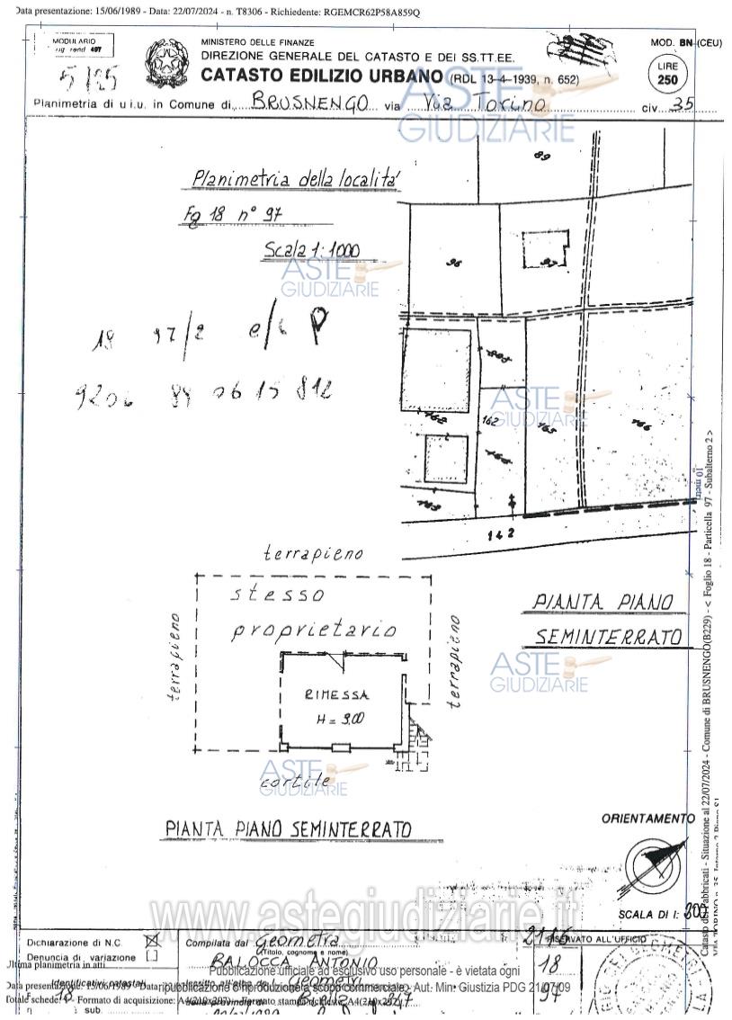
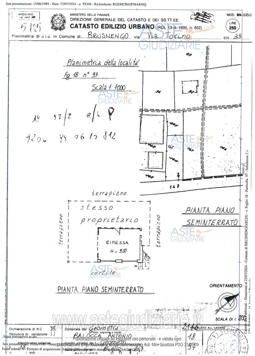
Vendita all'asta Senza incanto, con gara telematica asincrona - LOTTO UNICO: Fabbricato di civile abitazione elevato ad un piano fuori terra oltre al piano seminterrato ed al piano sottotetto con pertinente terreno . Prezzo base € 81.150,00 (offerta minima € 60.862,50). Data inizio operazioni di vendita: 11/11/2025 ore 16:30. Giudice Emanuele Migliore. Professionista delegato alla vendita Avv. Barbara Mazzanti - Email "info@centroasteimmobiliari.it"; Tel. 0150991500. Custode Giudiziario Avv. Barbara Mazzanti - Email "info@centroasteimmobiliari.it"; Tel. 0150991500. Rif. Tribunale di Biella - Espropriazione immobiliare (cartabia) n. 43/2024

Superficie 187,00 mq
Vani 8,00
Bagni 1
Piano 0

Tipologia di vendita Giudiziaria
Modalità di vendita Asincrona telematica
Termine presentazione offerte 10/11/2025 ore 13:00
Data e ora inizio gara 11/11/2025 ore 16:30
Codice ID astegiudiziarie.it 4328353
8,00
187,00
1
0
€ 81.150

Ti interessa questa vendita?

north_east

Clicca qui per essere indirizzato alla scheda sul sito di provenienza

Bene di astegiudiziarie.it