highlight_off
Riferimento annuncio 317004 info

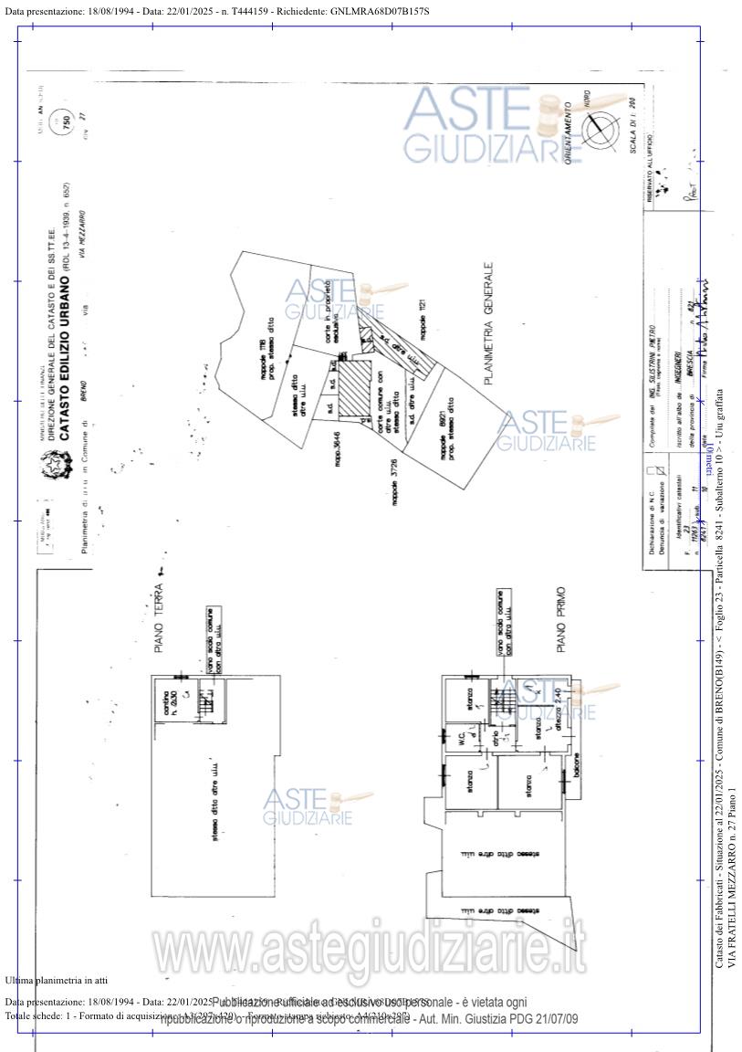
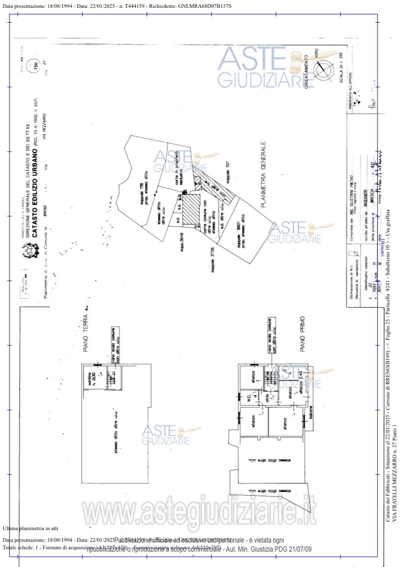
Appartamento via Fratelli Mezzarro, 25043 Breno (BS)

6,00
2557,50
0
€ 7.667
Vendita all'asta Senza incanto, con gara telematica asincrona - LOTTO UNICO: Quota indivisa di 1/3 gravata di diritto di abitazione immobile sito in Breno (BS) oltre a quote di 1/3 e 1/6 di aree e manufatti di pertinenza (in parte da demolire). Prezzo base € 7.667,16 (offerta minima € 7.667,16). Data inizio operazioni di vendita: 04/12/2025 ore 12:00. Professionista delegato alla vendita Avv. Giulia Picotti - Email "SEGRETERIASTUDIOPICOTTI@GMAIL.COM"; Cell. 3294505930; Tel. 03043518. Rif. Tribunale di Brescia - Liquidazione controllata(cci) n. 86/2024

Superficie 2557,50 mq
Vani 6,00
Bagni
Piano 0

Tipologia di vendita Giudiziaria
Modalità di vendita Asincrona telematica
Termine presentazione offerte 03/12/2025 ore 12:00
Data e ora inizio gara 04/12/2025 ore 12:00
Codice ID astegiudiziarie.it 4337695
6,00
2557,50
0
€ 7.667

Ti interessa questa vendita?

north_east

Clicca qui per essere indirizzato alla scheda sul sito di provenienza

Bene di astegiudiziarie.it