highlight_off
Riferimento annuncio 321042 info

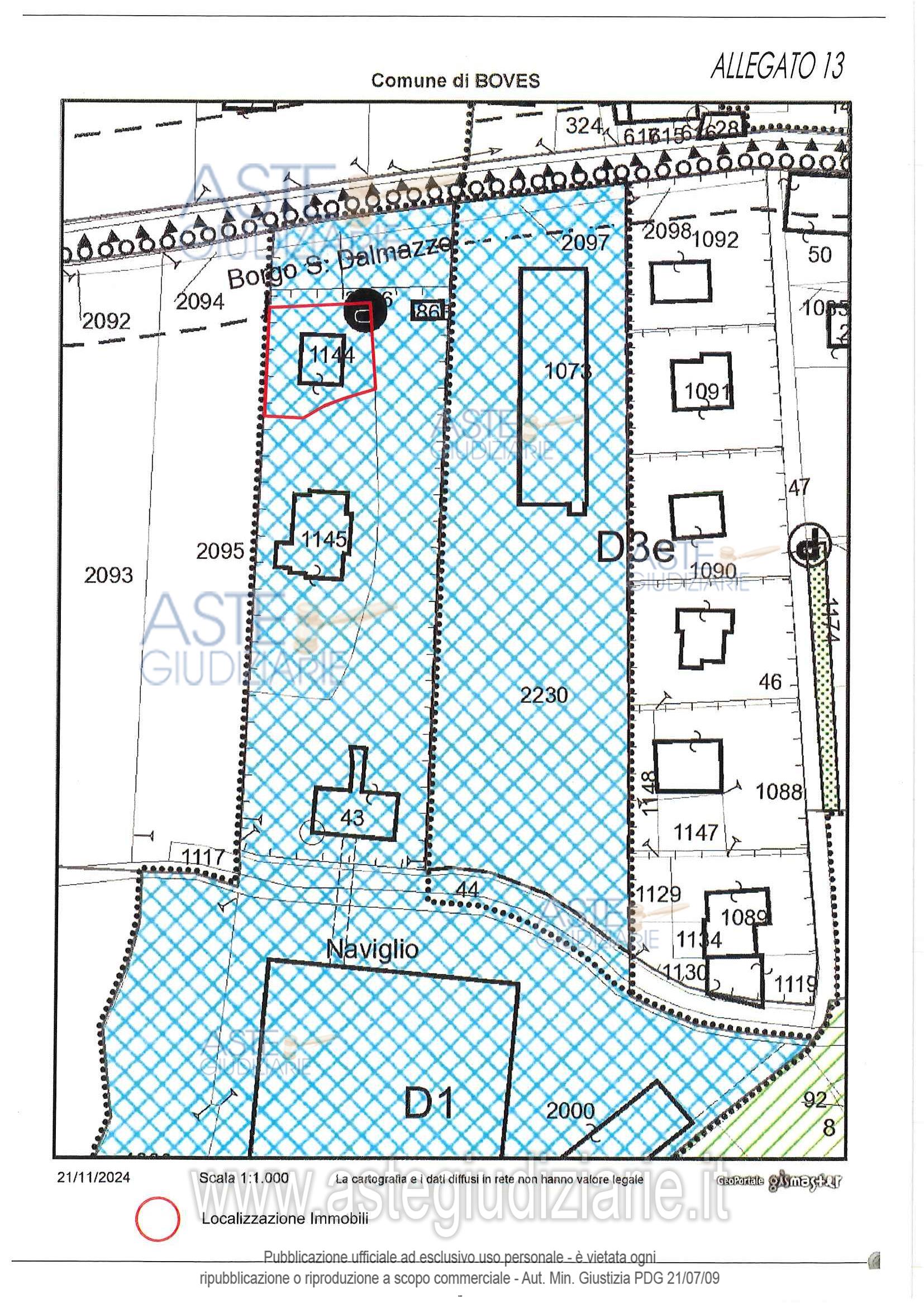
Appartamento Via Santuario, 3, 12012 Boves CN, Italia, 12012 Boves (CN)

5,00
125,00
1
0
€ 140.000
Vendita all'asta Senza incanto, con gara telematica asincrona - LOTTO UNICO: Piena proprietà dell’immobile consistente in una palazzina già ad uso alloggio custode dell’attiguo complesso industriale. Prezzo base € 140.000,00 (offerta minima € 105.000,00). Data inizio operazioni di vendita: 29/01/2026 ore 09:30. Curatore Dott. Piero Rabbia - Email "piero.rabbia@strabbia.it"; Tel. 0175 258700. Rif. Tribunale di Cuneo - Liquidazione giudiziale(cci) n. 26/2024

Superficie 125,00 mq
Vani 5,00
Bagni 1
Piano 0

Tipologia di vendita Giudiziaria
Modalità di vendita Asincrona telematica
Termine presentazione offerte 28/01/2026 ore 12:00
Data e ora inizio gara 29/01/2026 ore 09:30
Codice ID astegiudiziarie.it 4340516
5,00
125,00
1
0
€ 140.000

Ti interessa questa vendita?

north_east

Clicca qui per essere indirizzato alla scheda sul sito di provenienza

Bene di astegiudiziarie.it