highlight_off
Riferimento annuncio 305723 info

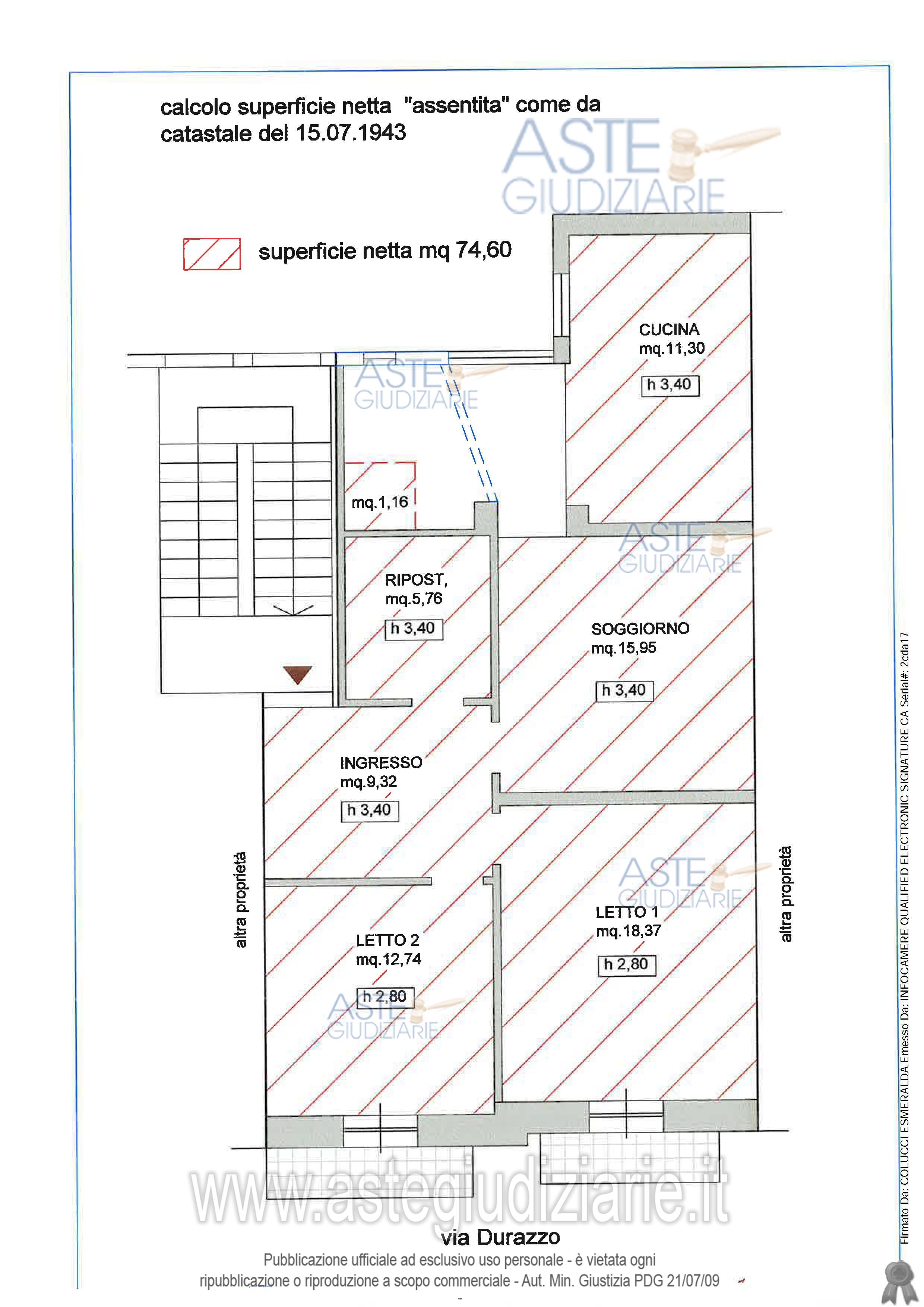
Appartamento Via Durazzo, 16, 70121 Bari BA, Italia, 70100 Bari (BA)

84,00
0
€ 114.225
Vendita all'asta Senza incanto, con gara telematica asincrona - LOTTO UNICO: Piena proprietà di abitazione al terzo piano, composta da vano ingresso, soggiorno, due camere da letto, ripostiglio, cucina, disimpegno e bagno. Prezzo base € 114.225,00 (offerta minima € 85.668,75). Data inizio operazioni di vendita: 11/02/2026 ore 17:00. Giudice Dott. Chiara Cutolo. Professionista delegato alla vendita Avv. Maria Consuelo D'armento - Email "darmentoconsuelo@libero.it". Custode Giudiziario Avv. Maria Consuelo D'armento - Email "darmentoconsuelo@libero.it". Rif. Tribunale di Bari - Espropriazione immobiliare (cartabia) n. 243/2024

Superficie 84,00 mq
Vani
Bagni
Piano 0

Tipologia di vendita Giudiziaria
Modalità di vendita Asincrona telematica
Termine presentazione offerte 01/01/1900 ore 00:00
Data e ora inizio gara 11/02/2026 ore 17:00
Codice ID astegiudiziarie.it 4328185
84,00
0
€ 114.225

Ti interessa questa vendita?

north_east

Clicca qui per essere indirizzato alla scheda sul sito di provenienza

Bene di astegiudiziarie.it