highlight_off
Riferimento annuncio 325091 info

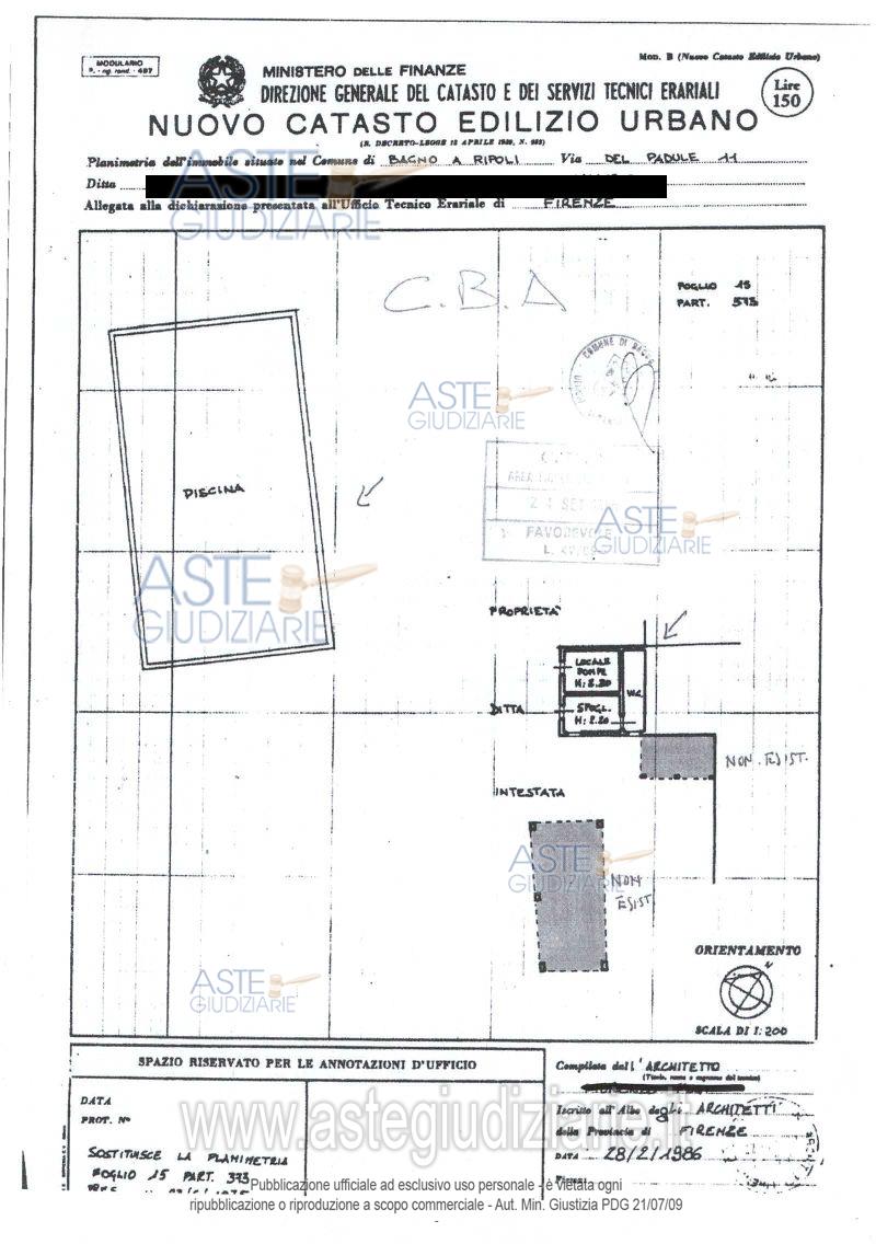
Appartamento Via del padule 33/35, 50012 Bagno a Ripoli (FI)

0
€ 4.042.000
Vendita all'asta Senza incanto, con gara telematica sincrona - LOTTO UNICO: Piena proprietà di villa storica denominata “Villa il Padule”, realizzata in corpo di fabbrica unico ed isolato, disposta su tre piani (seminterrato, piano terreno, piano primo oltre al piano ammezzato ed al sottotetto), con annesso giardino / parcocircostante ove è ubicata la piscina dotata di locali accessori al piano terra quali spogliatoi, sala pompa e wc . Prezzo base € 4.042.000,00 (offerta minima € 3.031.500,00). Data vendita 07/04/2026 ore 09:30. Giudice Giovanna Mazza. Professionista delegato alla vendita Avv. Rodolfo Foti. Custode Giudiziario Istituto Vendite Giudiziarie Di Firenze - Email "prenota.fi@isveg.it"; Tel. 0552340830. Rif. Tribunale di Firenze - Contenzioso civile n. 8054/2024

Superficie mq
Vani
Bagni
Piano 0

Tipologia di vendita Giudiziaria
Modalità di vendita Sincrona telematica
Termine presentazione offerte 01/01/1900 ore 00:00
Data e ora inizio gara 07/04/2026 ore 09:30
Codice ID astegiudiziarie.it 4343881
0
€ 4.042.000

Ti interessa questa vendita?

north_east

Clicca qui per essere indirizzato alla scheda sul sito di provenienza

Bene di astegiudiziarie.it