Riferimento annuncio 314441
        
    
    Appartamento Via Cantone di Sopra 13, 27010 Badia Pavese (PV)
                
                0
            
        
€ 49.800    
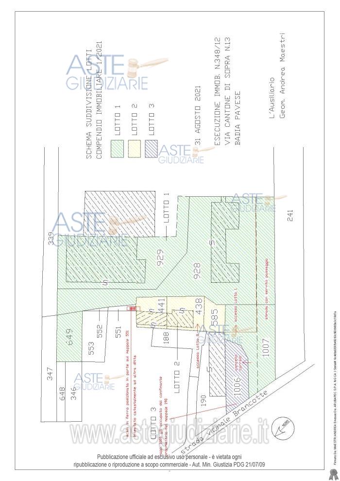
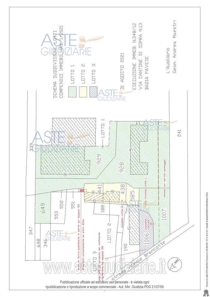
                Vendita all'asta Senza incanto, con gara telematica asincrona - LOTTO 2:  Casa bifamiliare a due piani con sedime pertinenziale . Prezzo base € 49.800,00 (offerta minima € 37.350,00). Data inizio operazioni di vendita: 20/11/2025 ore 15:00. Giudice Francesco Rocca. Professionista delegato alla vendita Not. Francesco Gallotti. Custode Giudiziario  Istituto Vendite Giudiziarie Pavia - Email "immobiliare@ivgpavialodi.it"; Tel. 0382539013.  Rif. Tribunale di Pavia - Esecuzione immobiliare post legge 80 n. 348/2012
            
   
| Superficie | mq | 
|---|---|
| Vani | |
| Bagni | |
| Piano | 0 | 
| Tipologia di vendita | Giudiziaria | 
|---|---|
| Modalità di vendita | Asincrona telematica | 
| Termine presentazione offerte | 01/01/1900 ore 00:00 | 
| Data e ora inizio gara | 20/11/2025 ore 15:00 | 
 
                         
                         
                         
                         
                         
                         
                         
                         
                         
                        