highlight_off
Riferimento annuncio 317183 info

Appartamento Via Sacco, 51, 09032 Assemini CA, Italia, 09032 Assemini (CA)

40,00
78,00
0
€ 92.700
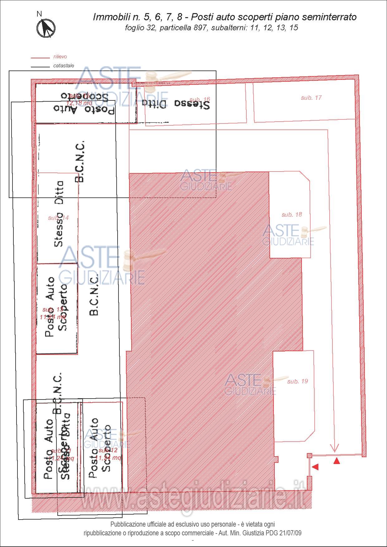
Vendita all'asta Senza incanto, con gara telematica asincrona - LOTTO 603: LOTTO 603 (6 D)-Diritti di piena proprietà per la quota di 1/1 su appartamento ad uso civile abitazione, categoria A/3 - posto al piano primo, ubicato in comune di Assemini (CA), con accesso via Sacco n. 51/D, consistenza 4 vani. L’appartamento è costituito da un ingresso con angolo cottura con balcone 2 da esso accessibile, disimpegno, bagno, camera 1 e camera 2, un balcone accessibile da entrambe le camere da letto. Oltre piena proprietà di posto auto scoperto (in perizia immobile n.8), categoria C/6, consistenza 12 m², localizzato nell’area esterna di pertinenza al livello seminterrato, cui si accede tramite il cancello carrabile, percorrendo interamente le due rampe che contornano la palazzina. Il posto auto è il primo, sulla destra, del livello seminterrato e risulta in aderenza al muro di sostegno in conglomerato cementizio armato realizzato sul lato Nord Est (confine con i mappali 1185 e 1206) e sul lato Nord Ovest (mappale 1185). Risulta altresì in aderenza con area di manovra sul lato Sud Ovest e con il posto auto n. 16 (sub. 16) sul lato Sud Est. Ha forma sub-rettangolare dimensioni 2,22 x 5,51 m². Prezzo base € 92.700,00 (offerta minima € 69.525,00). Data inizio operazioni di vendita: 04/12/2025 ore 12:00. Giudice Dott. Gaetano Savona. Curatore Dott. Alessia Guerzoni. Rif. Tribunale di Cagliari - Fallimentare (nuovo rito) n. 99/2017

Superficie 78,00 mq
Vani 40,00
Bagni
Piano 0

Tipologia di vendita Giudiziaria
Modalità di vendita Asincrona telematica
Termine presentazione offerte 03/12/2025 ore 12:00
Data e ora inizio gara 04/12/2025 ore 12:00
Codice ID astegiudiziarie.it 4337758
40,00
78,00
0
€ 92.700

Ti interessa questa vendita?

north_east

Clicca qui per essere indirizzato alla scheda sul sito di provenienza

Bene di astegiudiziarie.it