highlight_off
Riferimento annuncio 327841 info

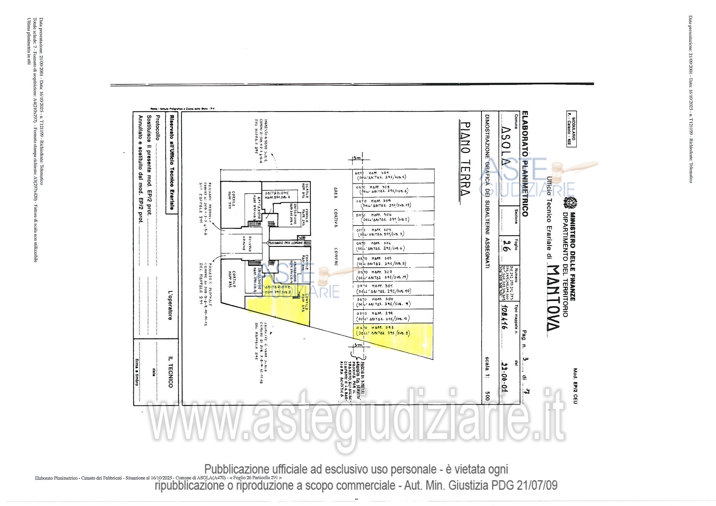
Appartamento Via Grazia Deledda, 46041 Asola MN, Italia, 46041 Asola (MN)

3,50
90,00
0
€ 54.825
Vendita all'asta Senza incanto, con gara telematica sincrona mista - LOTTO UNICO: APPARTAMENTO A PIANO TERRA CON AREA CORTIVA PERTINENZIALE E GARAGE DOPPIO. Prezzo base € 54.825,00 (offerta minima € 41.119,00). Data vendita 21/05/2026 ore 14:30. Professionista delegato alla vendita Dott. Dino Piccagli - Email "DINO.PICCAGLI@GESTIMELABORAZIONI.IT"; Cell. 0376263876. Custode Giudiziario Franco Procissi - Email "IMMOBILIAREMANTOVA@SOVEMO.COM"; Tel. 0376220694. Rif. Tribunale di Mantova - Espropriazione immobiliare (cartabia) n. 81/2025

Superficie 90,00 mq
Vani 3,50
Bagni
Piano 0

Tipologia di vendita Giudiziaria
Modalità di vendita Sincrona mista
Termine presentazione offerte 19/05/2026 ore 12:00
Data e ora inizio gara 21/05/2026 ore 14:30
Codice ID astegiudiziarie.it 4345937
3,50
90,00
0
€ 54.825

Ti interessa questa vendita?

north_east

Clicca qui per essere indirizzato alla scheda sul sito di provenienza

Bene di astegiudiziarie.it