highlight_off
Riferimento annuncio 325289 info

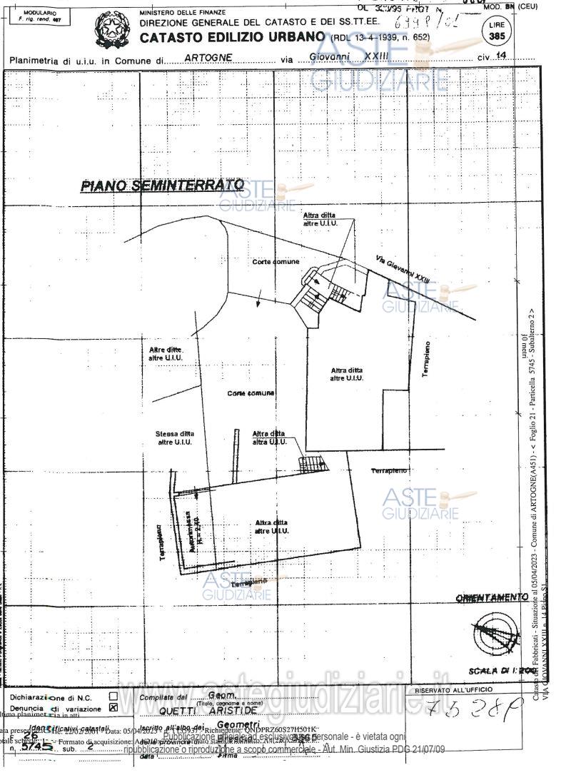
Appartamento Via Giovanni XXIII, 14, 25040 Artogne (BS)

0
€ 9.713
Vendita all'asta Senza incanto, con gara telematica asincrona - LOTTO 5: Piena proprietà di unità non abitativa adibita a ripostiglio con piccola corte di pertinenza esclusiva. Prezzo base € 9.713,05 (offerta minima € 7.284,79). Data inizio operazioni di vendita: 10/06/2026 ore 09:30. Professionista delegato alla vendita: Not. Luigi Zampaglione - Email "luigi.zampaglione@notariato.it"; Tel. 030/222849. Custode Giudiziario: Dott. Vittorio Corniani - Email "ivgbrescia@ivgbrescia.com"; Tel. 030/348410. Rif. Tribunale di Brescia - Contenzioso civile n. 10687/2022

Superficie mq
Vani
Bagni
Piano 0

Tipologia di vendita Giudiziaria
Modalità di vendita Asincrona telematica
Termine presentazione offerte 01/01/1900 ore 00:00
Data e ora inizio gara 10/06/2026 ore 09:30
Codice ID astegiudiziarie.it 4344366
0
€ 9.713

Ti interessa questa vendita?

north_east

Clicca qui per essere indirizzato alla scheda sul sito di provenienza

Bene di astegiudiziarie.it