highlight_off
Riferimento annuncio 331872 info

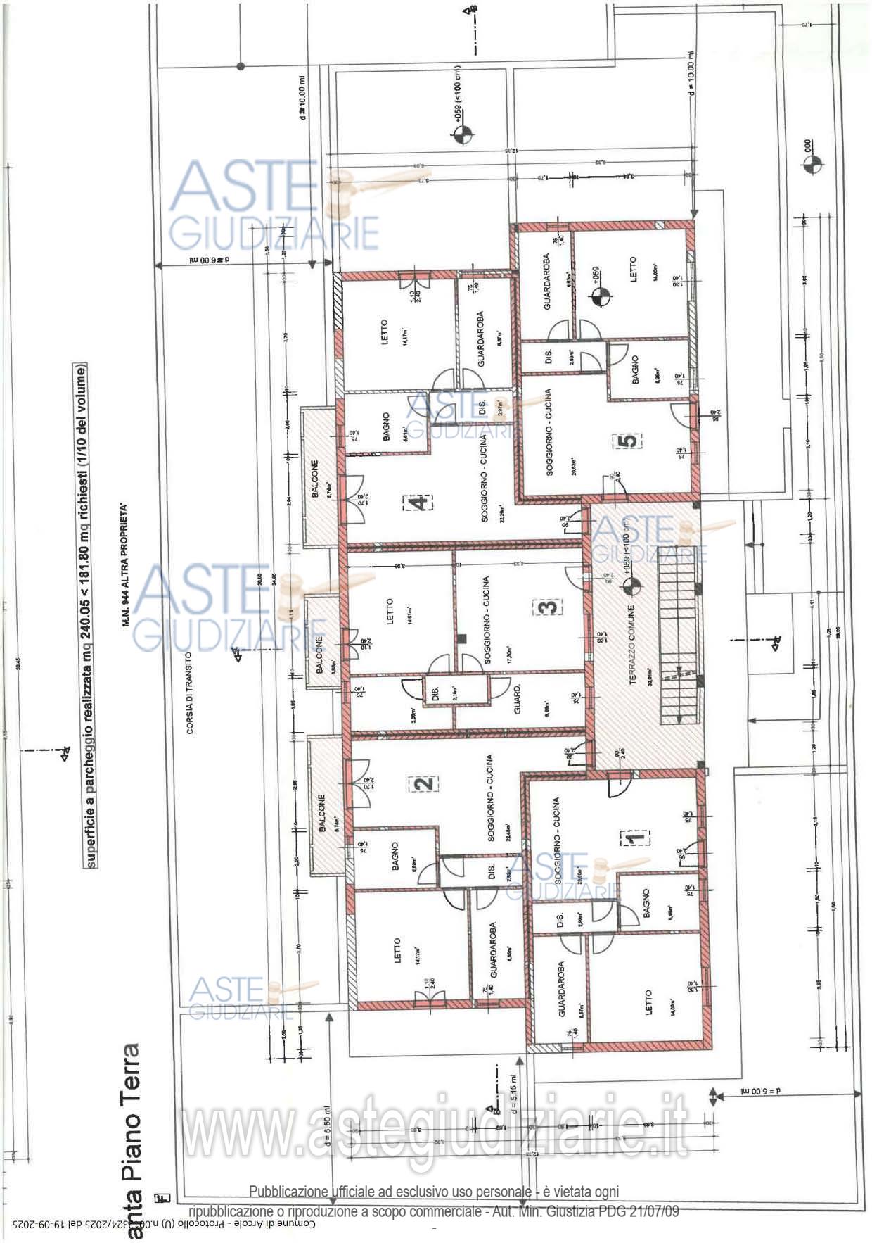
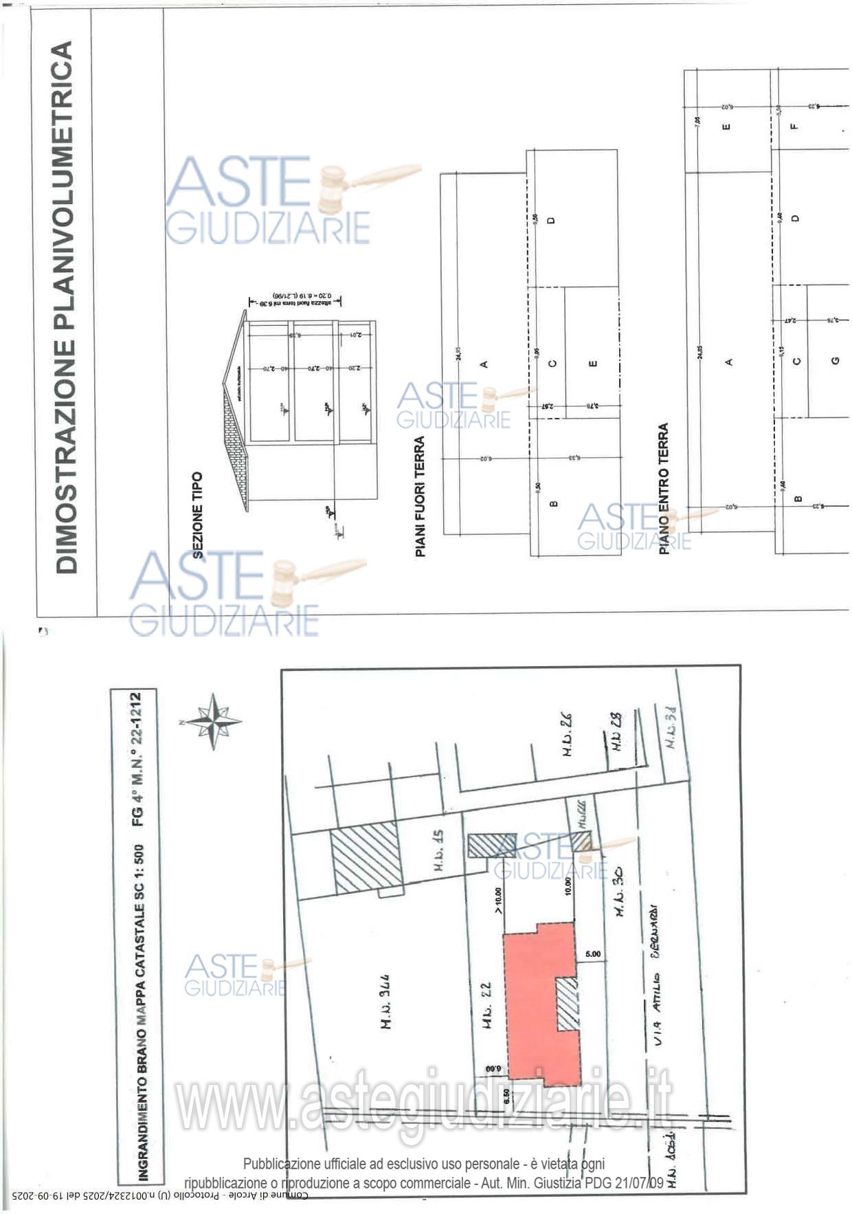
Appartamento Via Attilio Bernardi n. 49, 37040 Arcole (VR)

0
€ 70.800
Vendita all'asta Senza incanto, con gara telematica sincrona mista - LOTTO UNICO: LOTTO UNICO - Arcole (VR) Via Attilio Bernardi n. 49, piena proprietà di appartamento con corte esclusiva ed autorimessa. Sono compresi i proporzionali diritti di comproprietà su enti e spazi comuni(art.1117c.c.) compresa l’area di sedime e pertinenza del fabbricato, in particolare sub 21 BCNC sub.2-3-4-5-6-7-8-9-10-11-12-13-14-15-16-17-18-19-20-28; sub 24 BCNC sub.2-3-4-5-6-7-8-9-10-28; sub 26 BCNC sub.11-12-13-14-15-16-17-18-19-20; sub 27 BCNC sub.11-12-13-14-15-16-17-18-19-20-22-23. Prezzo base € 70.800,00 (offerta minima € 53.100,00). Data vendita 11/06/2026 ore 14:00. Giudice: Francesco Fontana. Professionista delegato alla vendita: Not. Floriana Zago - Email "notes@notariato.it"; Tel. 045/8006661. Custode Giudiziario: Avv. Matteo Gervasini - Email "matteogervasini@studiolegalegervasinisaretto.it"; Tel. 045/995348. Rif. Tribunale di Verona - Espropriazione immobiliare (cartabia) n. 140/2025

Superficie mq
Vani
Bagni
Piano 0

Tipologia di vendita Giudiziaria
Modalità di vendita Sincrona mista
Termine presentazione offerte 01/01/1900 ore 00:00
Data e ora inizio gara 11/06/2026 ore 14:00
Codice ID astegiudiziarie.it 4349573
0
€ 70.800

Ti interessa questa vendita?

north_east

Clicca qui per essere indirizzato alla scheda sul sito di provenienza

Bene di astegiudiziarie.it