highlight_off
Riferimento annuncio 309154 info

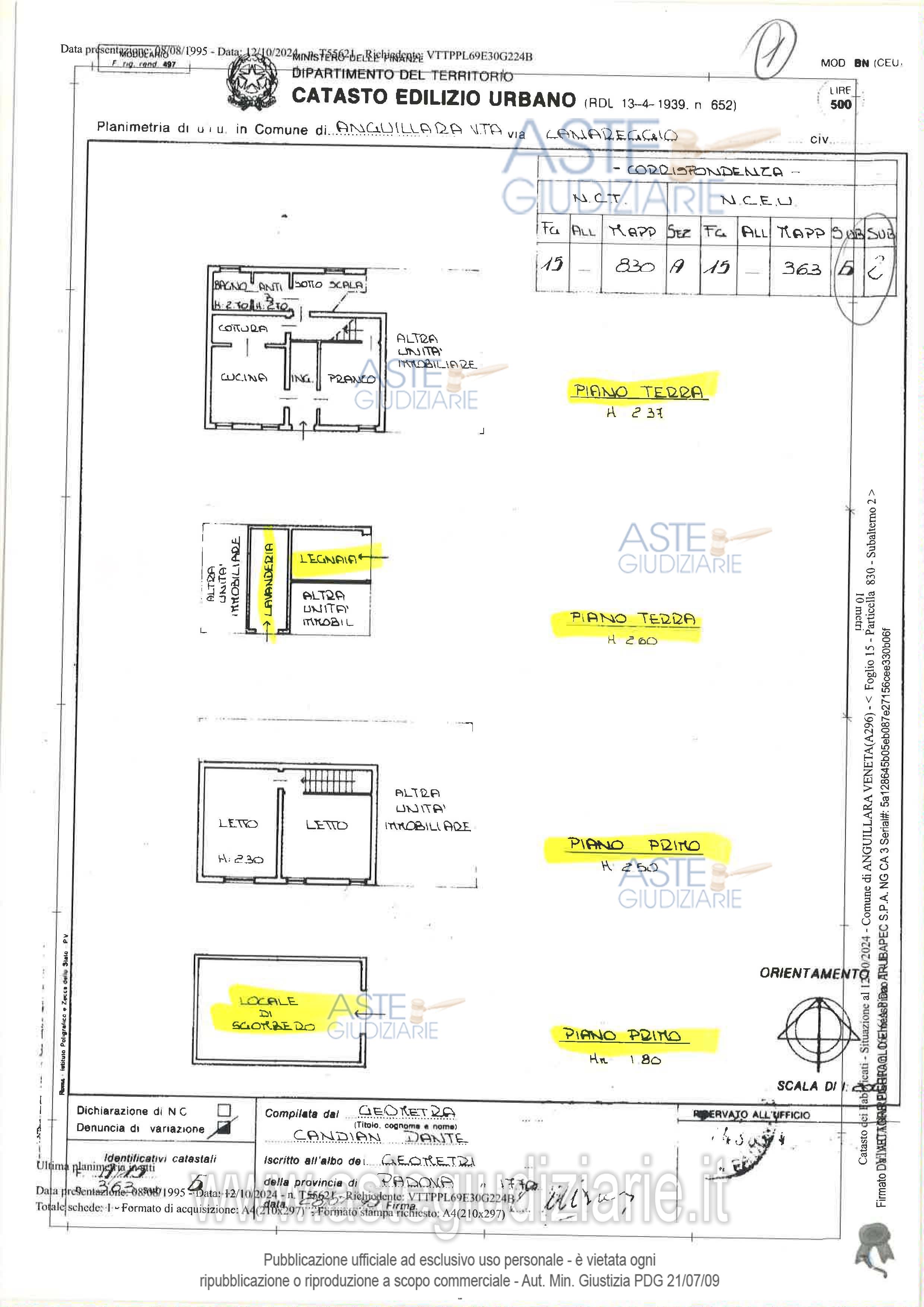
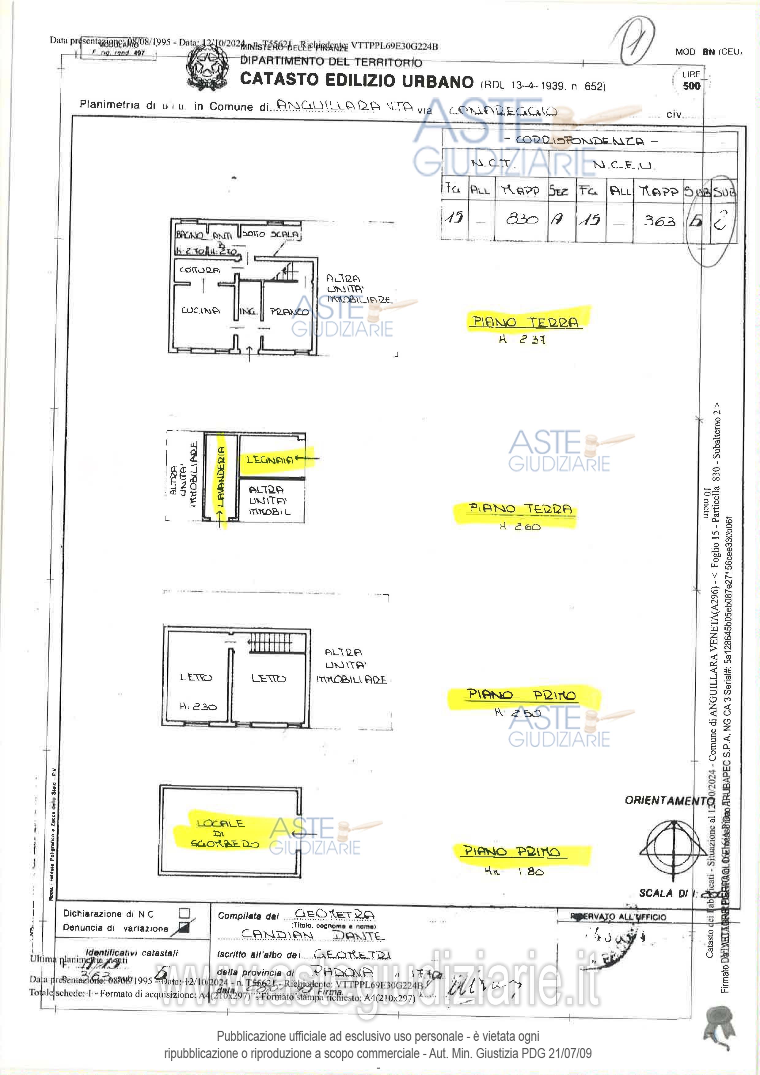
Appartamento Via Canareggio n. 16/A, 35022 Anguillara Veneta (PD)

0
€ 25.000
Vendita all'asta Senza incanto, con gara telematica sincrona - LOTTO 1: Lotto 1 - piena proprietà di unità immobiliare facente parte del fabbricato bifamiliare sito in Comune di Anguillara Veneta (PD), via Canareggio n. 16/A e, precisamente, l'appartamento disposto ai piani terra e primo con locale, in distacco, ai piani terra e primo ad uso sgombero-lavanderia, per una superficie commerciale complessiva di mq. 127. Libero. Prezzo base € 25.000,00 (offerta minima € 18.750,00). Data vendita 18/06/2026 ore 14:15. Giudice: Rossi. Professionista delegato alla vendita: Avv. Daniela Marzano - Email "avv.daniela.marzano@gmail.com"; Cell. 348/3191794. Custode Giudiziario: Avv. Daniela Marzano - Email "avv.daniela.marzano@gmail.com"; Cell. 348/3191794. Rif. Tribunale di Padova - Espropriazione immobiliare (cartabia) n. 340/2023

Superficie mq
Vani
Bagni
Piano 0

Tipologia di vendita Giudiziaria
Modalità di vendita Sincrona telematica
Termine presentazione offerte 01/01/1900 ore 00:00
Data e ora inizio gara 18/06/2026 ore 14:15
Codice ID astegiudiziarie.it 4330933
0
€ 25.000

Ti interessa questa vendita?

north_east

Clicca qui per essere indirizzato alla scheda sul sito di provenienza

Bene di astegiudiziarie.it