highlight_off
Riferimento annuncio 308784 info

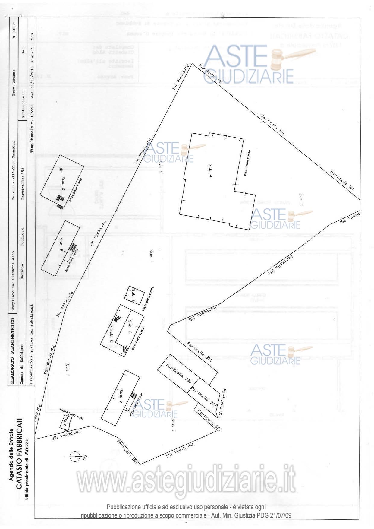
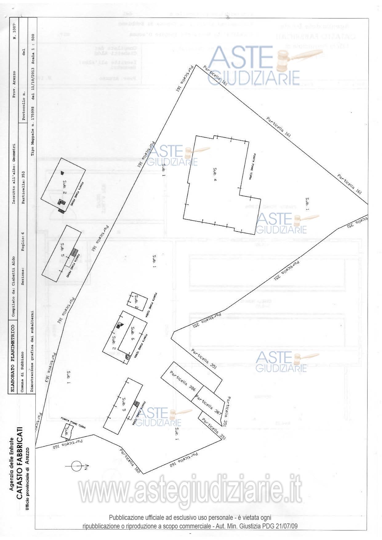
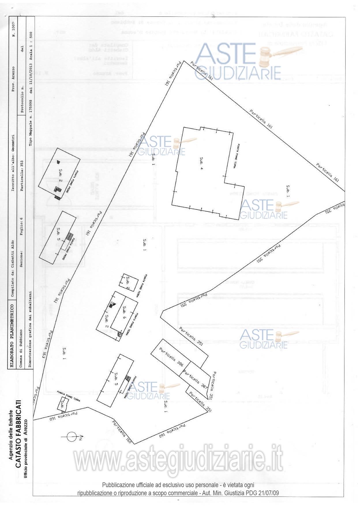
Altro Località Serboli e, in piccola porzione, alla località Le Motte in catasto La Mottaccia, 52010 Subbiano (AR)

0
€ 750.799
Vendita all'asta Senza incanto, con gara telematica sincrona mista - LOTTO UNICO: Compendio immobiliare di suolo e di fabbrica, costituente un'unità poderale comprendente un fabbricato abitativo e altri fabbricati accessori con le destinazioni appresso specificate, oltre ad impianti eolico e di biogas, nonché resedi pertinenziali ai fabbricati e dipendenti appezzamenti di terreno agricoli. Prezzo base € 750.799,36 (offerta minima € 563.099,52). Data vendita 10/06/2026 ore 10:00. Giudice: Elisabetta Rodino' Di Miglione. Professionista delegato alla vendita: Not. Marcello Zazzaro - Email "notares@notares.eu"; Tel. 0575/594507. Custode Giudiziario: Avv. Istituto Vendite Giudiziarie Arezzo - Siena - Email "visite.ivg@gmail.com"; Tel. 0577/318111; Cell. 339/7337017. Rif. Tribunale di Arezzo - Esecuzione immobiliare post legge 80 n. 253/2018

Superficie mq
Vani
Bagni
Piano 0

Tipologia di vendita Giudiziaria
Modalità di vendita Sincrona mista
Termine presentazione offerte 01/01/1900 ore 00:00
Data e ora inizio gara 10/06/2026 ore 10:00
Codice ID astegiudiziarie.it 4330642
0
€ 750.799

Ti interessa questa vendita?

north_east

Clicca qui per essere indirizzato alla scheda sul sito di provenienza

Bene di astegiudiziarie.it