highlight_off
Riferimento annuncio 252570 info

Altro Loc. Casone, 58020 Scarlino (GR)

340,00
0
€ 68.158
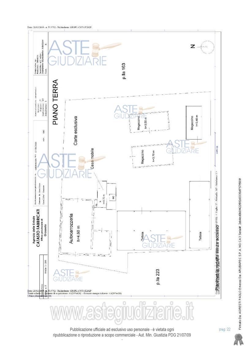
Vendita all'asta Senza incanto, con gara telematica sincrona mista - LOTTO UNICO: Un capannone ad uso carrozzeria. Una casa mobile. Tre magazzini (uno con la cabina di verniciatura). Varie tettoie. Prezzo base € 68.158,00 (offerta minima € 51.118,00). Data vendita 07/07/2026 ore 09:00. Professionista delegato alla vendita: Avv. Diletta Fusaro - Email "dilettafusaro74@gmail.com"; Cell. 338/1634422. Custode Giudiziario: Avv. Diletta Fusaro - Email "dilettafusaro74@gmail.com"; Cell. 338/1634422. Rif. Tribunale di Grosseto - Esecuzione immobiliare post legge 80 n. 43/2018

Superficie 340,00 mq
Vani
Bagni
Piano 0

Tipologia di vendita Giudiziaria
Modalità di vendita Sincrona mista
Termine presentazione offerte 02/07/2026 ore 12:30
Data e ora inizio gara 07/07/2026 ore 09:00
Codice ID astegiudiziarie.it 4286971
340,00
0
€ 68.158

Ti interessa questa vendita?

north_east

Clicca qui per essere indirizzato alla scheda sul sito di provenienza

Bene di astegiudiziarie.it