highlight_off
Riferimento annuncio 250259 info

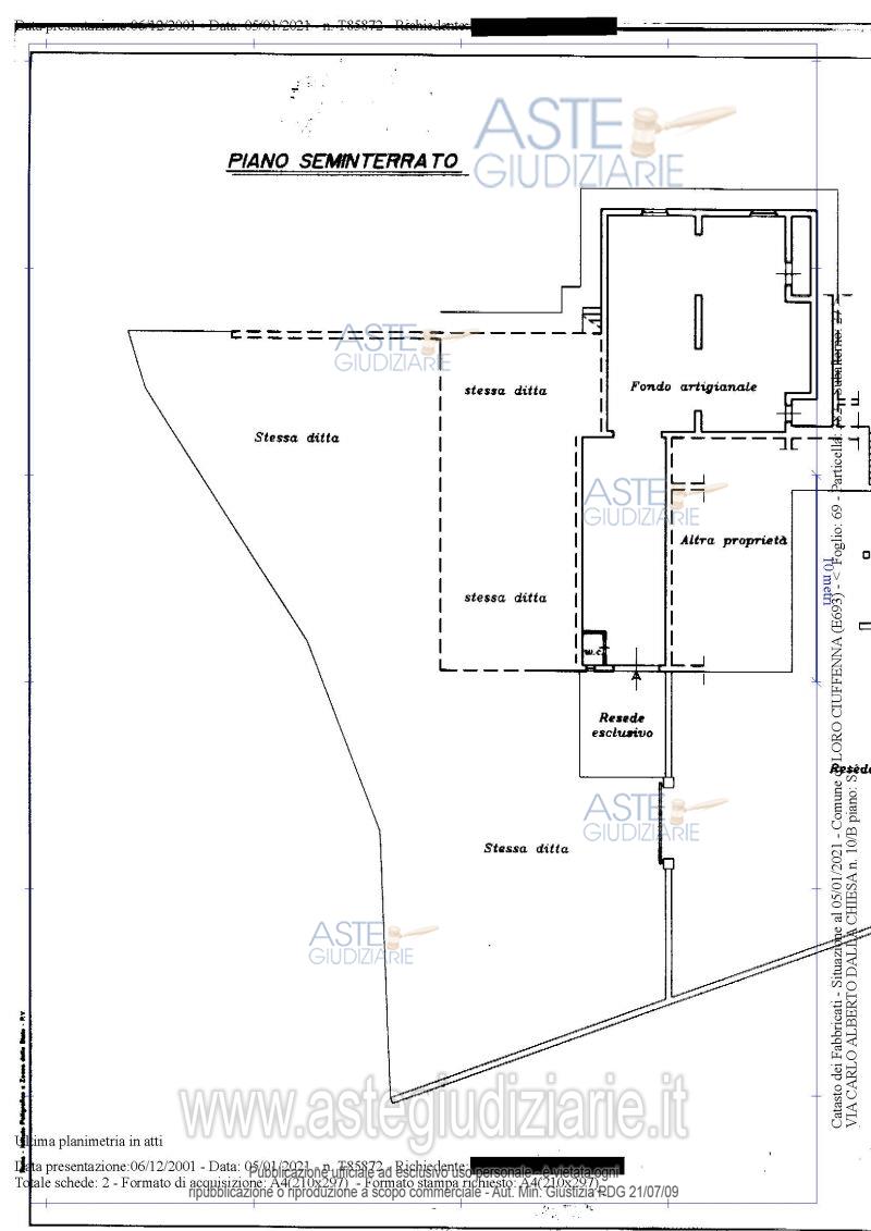
Altro Via Carlo Alberto dalla Chiesa n. 10/B,, 52024 Loro Ciuffenna (AR)

155,00
0
€ 29.901
Vendita all'asta Senza incanto, con gara telematica sincrona mista - LOTTO 2: Diritto di piena proprietà di porzione di maggior fabbricato di circa 155 mq ad uso residenziale/artigianale , sviluppata al piano seminterrato e costituita da una porzione immobiliare adibita a fondo artigianale, rappresentata da un unico ampio locale (a forma irregolare) adibito a magazzino, oltre due porzioni di scannafosso e piccolo servizio igienico corredata da antistante resede pertinenziale in proprietà esclusiva, il tutto integrato dalla condominialità pro quota sulle cose comuni per legge. Prezzo base € 29.900,80 (offerta minima € 22.425,60). Data vendita 19/05/2026 ore 09:00. Giudice: Elisabetta Rodino' Di Miglione. Professionista delegato alla vendita: Avv. Giulia Gerardine Mencucci - Email "giulia.mencucci@studiolegaleangiolini.it"; Tel. 0575/300065; Cell. 333/4149749. Custode Giudiziario: Avv. Istituto Vendite Giudiziarie Arezzo-Siena - Email "visite.ivg@gmail.com"; Tel. 0577/318111; Cell. 339/7337017. Rif. Tribunale di Arezzo - Esecuzione immobiliare post legge 80 n. 156/2020

Superficie 155,00 mq
Vani
Bagni
Piano 0

Tipologia di vendita Giudiziaria
Modalità di vendita Sincrona mista
Termine presentazione offerte 01/01/1900 ore 00:00
Data e ora inizio gara 19/05/2026 ore 09:00
Codice ID astegiudiziarie.it 4284765
155,00
0
€ 29.901

Ti interessa questa vendita?

north_east

Clicca qui per essere indirizzato alla scheda sul sito di provenienza

Bene di astegiudiziarie.it